ESTRUCTURAS ROMANAS DE SEXS (ALMUÑÉCAR, Granada)

Estructuras: Murallas, Criptopórticos y Piletas de salazones.

Material difícil de interpretar por interferencias culturales en el tiempo.

Antonio RUIZ FERNÁNDEZ

El territorio de Almuñécar fue ocupado y desarrollado por los romanos desde el año 206 a. de C., y en el transcurso de los siglos tenía que experimentar cambios en todo lo expuesto.

Se van a ir exponiendo los materiales de forma escalonada, comenzando por la parte sur del conjunto industrial. Pero antes enumeramos los aspectos de los materiales que conforman la industria desarrollada a través de siglos en este lugar.

El primer elemento a tener en cuenta en este trabajo es el agua. Y para eso conviene exponer que el terreno ocupado por este complejo se encontraba antiguamente casi rodeado por el mar. Todo parece indicar que los primeros colonizadores del territorio ocuparon lo que hoy es el casco antiguo de la ciudad actual. Pero no hay pruebas que lo demuestren. Se dice que los fenicios explotaron industrialmente las salazones. Pruebas, ninguna. Sólo tenemos el testimonio de elementos cerámicos en algunos lugares y de forma muy aislada. Si realmente en este lugar se levantó una industria fenicia, el agua era un elemento de ineludible necesidad. Pero, como se ha dicho al principio, el agua que se necesitaba tanto para el montaje de la industria como para los productos que se iban a elaborar, tenía que ser potable: y el agua de mar era totalmente inservible para ambos elementos. Y dada esta circunstancia, se puede pensar que el establecimiento de una factoría debía montarse en un lugar apropiado y dotado de esos medios necesarios. Por ello se ha pensado que el montaje en otro sitio era muy necesario, y se piensa que debieron ser los dos lugares extremos a Levante y Poniente del actual emplazamiento de Almuñécar: las cercanías de Monte de Velilla y la zona del Barranco del Noi, ambos dotados de agua dulce suficiente. Pues, hasta hace poco tiempo, ambos lugares proporcionaban ese elemento tan necesario. Es bien conocido el nacimiento de agua potable en Fuente Piedra, y el agua del Barranco del Noi citado. Y dicho esto, es lógico pensar que en estos lugares se pudieron establecer los fenicios -y también los romanos después- al comienzo de su llegada. Téngase en cuenta que tanto uno como otro lugar, ha registrado la aparición de necrópolis de Puente del Noi y Laurita, como los enterramientos fenicios en las faldas del Monte Velilla. Lógicamente, los asentamientos se ubicarían en sus cercanías, porque los fenicios no podían situar sus necrópolis en las ciudades, sino algo alejados de ellas.

Tras las investigaciones practicadas durante años y habiendo hallado materiales suficientes para establecer una secuencia aproximada de una cronología basada en la tipología de los elementos descubiertos desde el inicio de estos trabajos, pasando por las desapariciones de numerosos elementos, muy útiles para poder establecer lo que se considera materia arqueológica, bajo todos sus conceptos y variaciones, nos proponemos citar y calificar cada uno de ellos, con el fin de que no queden dudas acerca de las conclusiones a las que hemos llegado tras los largos períodos de investigación.

No cambiamos de opinión respecto a lo ya publicado de esta materia, pero sí se van a enumerar las pérdidas arqueológicas causadas por los abandonos y erróneas interpretaciones que se han vertido a lo largo de una etapa muy negativa en el esclarecimiento de determinados elementos arqueológicos que se han perdido por las equivocadas y descuidadas interpretaciones vertidas sobre el conjunto del complejo industrial de SEXS (nombre correcto de la transcripción del topónimo evolucionado del fenicio, pasando por el griego, y manifestándose definitivamente en la lengua latina).

Cuando los romanos se adueñan del territorio peninsular y ocupan, entre ellos, este lugar, deciden desarrollar su industria de pescado a gran escala, tomando como referencia la tecnología fenicia y desarrollándola a gran escala. Y sería tal que, a la vista de que la línea de costa se encontraba a la altura de Torrecuevas y la Avenida Costa del Sol, el agua necesaria había que buscarla en cotas más elevadas. Y deciden construir el procedimiento que siempre han desarrollado en sus factorías: buscan y encuentran agua lo suficientemente abundante como para llevar a cabo tal empresa. Hasta el momento sólo sabemos que el agua se encuentra canalizada y transportada por medio del tipo de conducción de todos conocido: un acueducto. Y lo llevan a cabo. Disponemos de todo un trazado de conducción que se remonta hasta la localidad de Otívar, siguiendo el lecho de río Verde, hasta llegar a la localidad final por medio de canal transportado por medio de puentes sucesivos según la configuración del terreno. Este es un tema que se cita porque es necesario aclarar cómo se consiguió el elemento-base del desarrollo industrial de Sexs.

Una vez aclarado este tema, tenemos que citar y mostrar el sistema de almacenaje que levantaron los romanos: los elementos conocidos como criptogalerías cerradas y construidas siguiendo el mismo nivel de la zona sobre la que se levantaran. En la actualidad se han descubierto alrededor de 60 galerías abovedadas, formando verdaderos anillos alrededor de la zona elevada de la ciudad moderna actual. Tenemos noticias, no confirmadas, de la existencias de elementos abovedados que siguen ocultos en las cercanías del actual castillo, y cuyas dimensiones, al parecer, superan a las de Cueva de Siete Palacios.

Otros de los parajes con galerías abovedadas se pueden encontrar en la periferia de la actual ciudad. Así, en el Monte de Velilla fue localizada y estudiada un galería aboveda de proporciones reducidas, pero en perfecto estado de conservación. Disponemos de fotos que la muestran, pero pensamos que o ha sido destruida en la construcción de una urbanización, o ha sido enterrada y ocultada. Otra de las galerías abovedada se encuentra en la carretera Almuñécar-Jete, muy cerca de Venta Luciano. Es de mayores dimensiones, pero prácticamente ha sido totalmente destruida en el ensanche de dicha carretera. Pero, afortunadamente, tenemos la foto de su existencia como prueba de su realidad. Lógicamente es muy normal que las villas rústicas romanas tuvieran almacenes de este tipo, pero la citada aquí es la única que la ha conservado.

La base de la industria, las salazones, se encuentra situada y montada en la parte inferior la la factoría. Y, considerando el conjunto una realidad mucho más amplia, hay que decir que las piletas de salazones, en primer lugar, se encuentran montadas sobre las cotas más bajas de este conjunto industrial. Pero hay que decir que las estructuras de piletas, en general, se encuentran en todo el terreno de esta localidad, o lo que es igual: pueden aparecer piletas desde la cota del Majuelo hasta la cota más elevada, que ronda los 48 m. Por ello se va a ir reflejando en la exposición de los materiales arqueológicos, la altura a que se encuentran con respecto a la cota más baja situada en el Majuelo. Y aquí se puede incluir ya la idea de que la antigua Sexi no era exactamente una ciudad romana, sino una macro-factoría de salazones.

Sólo cabe pensar en la situación ambiental de una factoría de estas dimensiones y tener que soportar un mes de altas temperaturas, precisamente de gran pesquería y elaboración de salazones, para darse cuenta de que la habitabilidad sería bastante difícil debido al proceso de elaboración de los productos pesqueros.

Y respecto a esta aclaración de la situación de la factoría en pleno rendimiento industrial, la pregunta obligada es dónde vivía, entonces, la población. La respuesta es simple: en las villas rústicas tanto las cercanas como las lejanas. La clase dirigente, los Caballeros, lógicamente tenían sus casas de campo, algunas bastante alejadas como Los Bañuelos (a unos 10 km). Las villas conocidas hasta el momento son: La Cerca, barrio de San Sebastián, zona de la Santa Cruz, cercanías de Las Peñuelas, zona de la Torre del Monje y los Bañuelos y se tienen indicios claros de la localidad actual de Jete. Podría haber existido una especial en la cima del Castillo, donde, por lógica, los romanos tenían que haber montado un bastión defensivo contra la piratería mediterránea y norteafricana, y que nos ha dejado sus rastros que incluso hoy se pueden ver, aunque en fotos, en las manipuladas excavaciones llevadas a cabo en el antiguo cementerio de la ciudad de Almuñécar (Castillo de San Miguel). Han sido borrados los restos romanos que han existido en ese lugar. Se verán las fotos. Aquí, por lógica de seguridad, tenía que haber una guarnición militar, como punto estratégico de carácter defensivo. No una villa de las mismas características que las otras, pero, a fin de cuentas, una plaza similar. Y de ello dan fe los numerosos restos que se han encontrado en ese desmonte del citado cementerio municipal. Ha primado lo árabe sobre lo romano para los arqueólogos que lo han dirigido. Un fraude histórico-cultural y arqueológico.

En cuanto al sistema de seguridad local y seguridad de las estructuras industriales, los romanos, sobre todo, diseñaron un sistema defensivo para responder a posibles invasiones y saqueos por parte de los piratas, como se ha dicho; pero lo que mejor trataron fue establecer un sistema de seguridad para proteger sus estructuras industriales debido a la diferencia de altura con que se levantaron a través del montaje de las redes de piletas y almacenes de conservación de productos elaborados.

Tanto la seguridad de ambos aspectos, como la habitabilidad y las estructuras industriales van a estar protegidas por un gran sistema de aterrazamiento montado teniendo en cuanta la propia configuración del terreno sobre el que se asienta. El sistema romano ha sido el más fuerte de todos los construidos en este emplazamiento industrial. Pero se dan formas defensivas de varios tipos debido a las modificaciones llevadas a cabo por las diferentes culturas que han pasado por aquí. De modo que podemos ver el sistema de murallas romanas, árabe, de época cristiana y moderna. Los sistemas de murallas que se encontraban más cerca de la zona marítima fueron las que sufrieron más el ataque de la armadas inglesa (1812) con motivo de la guerra napoleónica, situación que dejó en muy mal estado de conservación las murallas de Poniente, Levante y Sur, sobre todo. Pero hay que tener en cuenta que Sexs sufrió las consecuencias de un fortísimo terremoto que asoló el sur peninsular provocando aquí un deterioro del estado general de las estructuras romanas. Fue en el año 365 d. de C.

Este accidente natural provocó el deterioro tanto de las estructuras industriales de la salazones y un perjuicio serio en la muralla escalonada existente en al Majuelo. Tan solo quedan de esta parte, restos de ese escalonamiento que llegaba desde la zona del Castillo hasta la base de la factoría de este sector.

El trazado del sistema de amurallamiento que partía desde el Castillo, realizaba un recorrido como el siguiente: desde el Castillo final partía en dirección Norte. Fue roto probablemente en época medieval árabe, seguía por la calle San Crescencio en dirección a Calle Nueva. Aquí tenía un recorrido de unos doscientos metros por la parte interior de las casas actuales de este barrio, y empalmaba con otra muralla de doble muro al final de la calle Vélez (hoy desaparecida). Desde este punto, sólo tenemos los testigos de murallas que aparecen por el conocido bar «El Jarapo». Desde aquí se dirige hacia la Carrera de la Concepción, con una anchura de 1,20 m, pudiéndose medir en el interior del Bar Granada (ha desaparecido). Desde esta zona, enfila por la calle Angustias Vieja hasta su paso por el lugar donde se ha levantado la moderna Casa de la Cultura (fotos testigo) bajando por la calle Cuesta del Derrumbadero, donde se conserva, en el interior de una casa, un torreón medieval. Y desde este punto, se dirigía, pasando por la Huerta de los Müller, Callejón del Valdivia (Avda. de Madrid) y Huerta de los Frailes (junto al Convento), hacia la puerta del Mar, pasando por detrás del bar el «Choco» y cine Coliseo, como se verá en algunas fotos antiguas.

La muralla romana ha dejado algunos restos que se irán viendo en la exposición de materiales.

Llegados a la altura del antiguo cine Coliseo, subiendo por la cuesta del Carmen, encontramos la muralla romana característica, procedente del inicio de la calle San Joaquín, y pasando por delante de la Cueva de Siete Palacios, donde se cruza con un tramo que procede de Eras del Castillo y se une a este tramo y, de continuo, empalma con el tramo que sube del fondo de la Cuesta del Carmen.

Hay murallas de menor tamaño que discurren paralelas a las mayores, son utilizadas para cerrar circuitos de otras zonas. No se olvide que su finalidad era proteger los almacenamientos de la factoría. Desde el punto Este de la Cueva de Siete palacios, baja otra muralla que se dirige hacia el talud de la montaña que formaba el casco superior del castillo (barrio). Sobre ese talud se puede ver hoy esa muralla que, además, en su parte superior se va a montar un canal de conducción de aguas, que se dirigía por el reborde de ese talud, hacia el puente romano (destruido por los ingleses en 1812), con el fin de proporcionar agua a la factoría existente en la parte suprior del Peñón de El Santo, donde existe un depósito de agua de cierto tamaño y capacidad. Y, finalmente, ya se puede decir que se ha descrito, grosso modo, el trazado general de la red de murallas, aunque se han descrito con más relieve, lo que fue un sistema defensivo romano.

Aparte de esta consideración general de la muralla romana, se debe tener en cuenta que este sistema pretendía establecer una red de terrazas con el fin de fijar una seguridad a las estructuras industriales que se levantaron en todo el conjunto antiguo, para conseguir contención del peso añadido que esas estructuras suponían y su nivelación. Se supone que los propios romanos aportaron a estos terrenos gran cantidad de tierra para establecer el equilibrios necesario así como para su construcción.

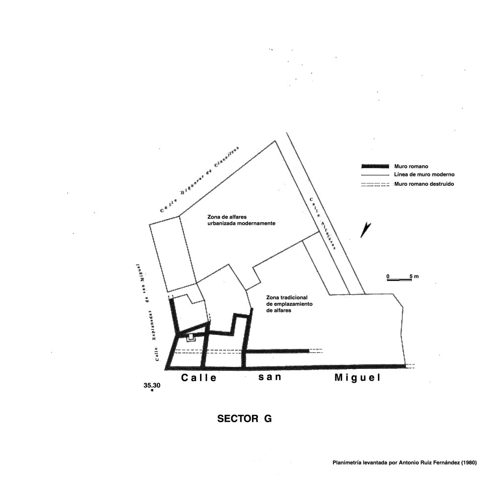
DOCUMENTOS FOTOGRÁFICOS Y PLANIMÉTRICOS

ZONA DEL CASTILLO DE SAN MIGUEL Y SU CONEXIÓN CON EL PEÑÓN DEL SANTO

SECTOR DE LA CIUDAD DONDE COMIENZA LA DESCRIPCIÓN DE LA ZONA INDUSTRIAL DE SEKS

Comenzamos por el conocido como Peñón del Santo1. Se va a describir el lugar y las circunstancias por las que ha pasado a través de la historia antigua en la época a que nos estamos refiriendo. Se comienza, desde este punto, la construcción de los estructuras industriales de esta factoría. Los elementos industriales que se van a citar se agrupan en tres tipos: Puente romano, sistema de conducción de agua, piletas de salazones, depósito de agua romano y criptopórticos usados como almacenes de los productos que aquí se elaboraron.

Plano general de Almuñécar, destacando las partes más importantes en negrita como lugar de materiales dignos de comentar históricamente.

Este puente romano, que unía en emplazamiento del Castillo con el Peñón del Santo, fue destruido por el bombardeo de una flotilla inglesa en el año 1812, en la guerra napoleónica. Su alzado ha sido reconstruido basándonos fundamentalmente en el plano militar anterior a su destrucción, y en las huellas bien conservadas de los restos que se pueden ver con claridad en la actualidad. Todo indica que tenía, por los datos aportados, tres arcadas y una galería cubierta en la parte superior por donde la guarnición militar o trabajadores de la factoría, se comunicaban con el Peñón; y por donde pasaba el canal del agua suministrada por los conductos paralelos al Castillo y cuyos restos aportamos para su confirmación.

En estos dibujos se muestran dos elementos importantes de la planimetría general del complejo: El Castillo medieval-moderno y el puente romano. El Castillo conserva ruinas romanas en su vertiente oeste; muralla escalonada que desciende hasta el Majuelo (hoy casi desaparecida), Depósito de aguas de ciertas proporciones, pequeña pileta de salazón y los numerosos restos del sistema escalonado de muralla. En el interior del Castillo quedan, pero enterrados, sistemas de pilas de baño romanas reutilizadas por los elementos humanos posteriores y cuyos restos han sido enterrados en la restauración (desaparecidas intencionadamente).

Hay materiales domésticos pero mal catalogados. El material básico de construcción se ha usado para obras modernas. Pero hay que decir que el sistema de murallas medievales que rodean al Castillo está construido con el clásico material árabe: grandes masas de tierra prensada mezclada con ripios. La mentalidad árabe considera que lo anterior pertenece a una cultura que está fuera de sus planteamientos religiosos y, por tanto, no se pueden mezclar con ellos. Hasta en el hipocaustum de las termas se ha deslindado lo árabe de los romano. Pero las estructuras de las pilas se han mantenido hasta tal punto que siguen guardando los tipos romanos con revestimiento de estucos romanos. Se sabe bien que los baños árabes eran cerrados, y no al aire libre como se encuentran éstos en el recinto donde se muestran. Se darán más detalles al explicar las siguientes fotos.

Foto 1. Plano militar del s. XVII.

Como bien se sabe, los elementos industriales hallados en esta parte del complejo industrial están formados por los antes citados. La forma que presenta el puente romano que unía este peñón y el Castillo de San Miguel, tenía tres cuerpos de arcadas y una extensión de ciento treinta metros aproximados con una altura de treinta y dos metros. Su anchura medía seis metros en la base de la Caletilla y algo menos en la parte superior. La cima del puente estaba cubierta por una galería abovedada por la que se comunicaban Castillo y Peñón. A través de la galería discurría también el canal de agua procedente de la muralla de Levante, del que se tiene constancia por la localización reciente de una parte de ese canal. El agua era almacenada en el depósito romano existente sobre el Peñón en la parte donde se han levantado dos escaleras de acceso a la cima, y cuya capacidad se considera suficiente para atender las necesidades de la pequeña factoría existente en este lugar.

Se sabe, por información antigua, que la cima de este Peñón terminaba en punta. No era plana como hoy se ve. Las estructuras eran mayores de lo que se ha podido fotografiar. Las líneas de muros (destruidos modernamente) sobresalen y quedan al borde del talud Sur, cosa que indica su continuidad y su situación anterior. Ejemplo de esto son las grandes rocas que se observan en la playa donde se encuentra la Pisada de la Vaca, y esta roca es una de ellas como el restos de las que se pueden ver ahora. La superficie del Peñón era mayor de lo que hoy se ve.

En el año 1945 esta zona fue excavada por J.M. Fontana y Tarrats, Gobernador, Civil de Granada (Nota de Historia Económica: «Las salazones y salsas de Almuñécar». Anales de Economía VI. 24. pp. 363-378. Su trabajo se encuentra en la biblioteca de La Rioja.

Las salazones no eran exclusivas del Majuelo. Las hubo en el Peñón del Santo y en varios lugares de su entorno. Y los restos de estructuras que se ven muy retocadas son pruebas de ello.

Conviene dejar bien claro que la comunicación entre las playas de Puerta del Mar y playa de San Cristóbal no existía, porque el puente separaba ambas playas, aparte de que la línea de playa se encontraba muy cerca de lo que hoy es Hotel Sexi (o edificio moderno ahora).

Foto 2. Peñón del Santo.

Se muestran en ella en ella los restos del puente romano en la subida hasta el nivel arquitectónico de la cima del Peñón del Santo. Se entiende que el camino de acceso puede ser el que se usara en tiempos medievales, aunque el camino usado podía ser por el interior de la galería cubierta que discurría por la cima del Puente. Este elemento fue el medio de comunicación con el Castillo. Lo que aquí se elaboraba era guardado en las galerías abovedadas que aquí se construyeron, como en los demás sitios del conjunto industrial y cuyas ruinas se verán después.

Foto 3. Puente romano.

Esta imagen se aporta para determinar una de las dimensiones del puente y el material usado en su construcción. En el aspecto primero se puede ver la anchura de la base, llegando a los seis metros, que lógicamente iría disminuyendo nivel a nivel. Ello se puede observar en las dimensiones de la base de los tres cuerpos de arcadas que se han podido medir. Y se demuestra que esa disminución es observable sobre el terreno y que, además, en la galería cubierta quedaría reducida a la mitad; pero el dato más fiable es la medida que nos presenta la llegada de dicha galería hasta su contacto con la cima del Peñón. En efecto, su medida apenas alcanza los tres metros de anchura y los dos y medio de altura. Pero conviene tener en cuenta que este hueco final de la galería ha estado ocupado por gente para guardar animales, y por ello, ha podido sufrir alguna modificación. En lo que era la cubierta superior de la galería se puede observa la existencia de opus signinum, elementos impermeabilizante para proteger de la lluvia.

Foto 4. Vista del Peñón del Santo y Castillo de San Miguel.

Esta imagen aporta la información del trazado y recorrido del puente romano. Y, como se ha dicho en la foto anterior, marca los distintos niveles de altura. En estas fechas, la cima del Peñón que se había allanado, y el paso a la playa de San Cristóbal aún era bastante dificultoso. En la parte superior derecha de la foto se puede observar la línea por donde discurría el canal de agua que se dirigía a ese punto.

Foto 5. Playa Puerta del Mar.

Esta imagen es elegida porque sirve para determinar dónde se puede situar en canal citado en la foto anterior. La parte superior derecha es el sitio donde se ha descubierto recientemente el citado canal, y se encuentra justo debajo de las casita blancas que se muestran en la imagen. Pasa por debajo del nivel del torreón del Castillo, y se dirige buscando la línea de nival más elevada del puente.

Foto 6. Playa Puerta del Mar.

Indicación de la trayectoria que seguía el canal del agua en dirección al Peñón. Se marca con puntos blancos y se incorporaría al puente por la base de la actual Tenaza del Castillo, construcción posterior que, con toda seguridad, rompería el canal del Peñón.

Foto 7. Peón del Santo y Castillo.

Imagen de detalle para explicar los puntos indicados: En la parte derecha alta se observan los restos del puente que em palman con los del puente romano. Restos del final de la Tenaza que se dirigía al encuentro del puente cuando se construyó. Como se indica en la imagen, puede verse un camino viejo que se construyó para poder pasar desde Puerta del Mar a la Playa de San Cristóbal. El paso lo impedían los restos que quedaban del puente destruido. Era muy difícil pasar de un lado a otro.

Punto inferior del puente, donde hasta hace bastante tiempo se impedía el paso a la playa de San Cristóbal. Se puede ver cómo se hizo un camino en rampa para poder facilitar ese acceso. Pero hay momentos en que esa vereda no existía aún y era muy dificultoso ese pasillo porque se encontraban con la muralla-base del puente que tenía varios metros de altura. (Recordamos que fue destruido por el bombardeo de una flotilla inglesa durante tres días en 1812).

Zona superior izquierda del puente donde se ha localizado el hueco de la galería romana, que ha quedado como testigo de que era una galería cubierta. Puede verse el punto final del Castillo en su cara sur. Nivel del mar para fijar la dificultad de paso a ambos lados del puente romano- Era algo superior a lo que hoy se observa.

Foto 8. Peñón del Santo con explanada y los restos del puente romano como testigos de su realidad después de ser bombardeado. Esta imagen muestra con claridad los restos del puente sobre la pendiente subida al Peñón.

Nota moderna: La construcción que hay casi encima del final de la galería cubierta es un garito moderno de vigilancia marítima. En otro momento de la historia de este peñón existió una ermita donde había una imagen de San Cristóbal, que dará nombre de santo al Peñón y a la playa de San Cristóbal.

Foto 9. Castillo de San Miguel y Tenaza de protección.

Esta imagen muestra la parte final del Castillo detallando e indicando el final de la Tenaza que se unía al puente romano. El relieve de las ruinas es tal que se ven los escombros como si estuvieran provocadas en fecha muy cercanas a la actualidad de las mismas, debido al bombardeo inglés. Se indican los restos del puente en la parte frontal, y dando casi al nuevo camino de paso, al área de Poniente. La vertiente de Poniente del Castillo fue muy tocada, pero lo que buscaron los atacantes fue destruir el paso desde el castillo al peñón, porque era muy fácil montar una batería como defensa.

Foto 10. Puente romano naciendo de la base en la playa de la Caletilla.

Esta imagen se ha considerado importante con respecto a los cimientos al puente romano. Se hace ver que la técnica romana buscaba, siempre que fuera posible, la roca madre para fijar las construcciones. Y precisamente en este lugar el puente echa sus raíces con una profundidad de más de dos metros. Como técnica constructiva, usaron un caementum muy resistente para contrarrestar la fuerte oxidación del salitre marino.

Foto 11. Camino de subida moderna al Peñón del Santo junto a los restos del Puente romano.

El uso de esta imagen aclara la dimensión de anchura de la base del puente: seis metros. Pero se sospecha que esta parte fue utilizada modernamente con «cantera» para construcciones particulares.

Foto 12. Parte final de la galería romana cubierta que llegaba al Peñón del Santo.

Aquí se muestra la cubierta abovedada de la galería del puente romano. Los asteriscos indican dónde se pueden ver los restos del material usado: opus signinum. Normalmente este era el techo de la galería.

Foto 13. A derecha, vista de las ruinas del Puente romano sobre el Peñón del Santo.

Se ve el lugar exacto donde se encuentran aún las luces de los tres arcadas de que dispuso esta edificación. Escalonadamente van disminuyendo de altura dando a ver que las arcadas son armónicas en dimensiones, disminuyendo la luz desde la cuarta a la primera. De este modo se ha llegado a la conclusión de que el puente dispuso de tres cuerpos de arcos de distinta medida. Con ello se equilibraba el peso de la construcción.

Foto 14. Luces de los arcos del puente.

Foto ilustrativa donde se aprecia la ubicación de las luces de los arcos del puente y su diferentes alturas. La altura total del puente era de 32 m.

Foto 15. Peñón del Santo. Parte final de la galería del puente.

Punto terminal de la galería romana sobre el peñón. Su anchura mide dos metros y medio. Su altura casi la misma medida. El grosor de sus muretes eran de 50 centímetros. Por ella discurría también el canal de abastecimiento de agua totalmente necesaria para el funcionamiento de la factoría montada en este espacio donde, además se podrán ver los restos de las galerías abovedadas aquí existentes. Se opina también que podría abastecerse de agua las naves que llegaban y salían de este centro comercial. Las grandes naves de carga no podían acercarse hasta el Majuelo por la falta de profundidad y probables temporales, con lo cual tenían que usarse pequeñas naves auxiliares para carga y descarga. Para el agua era más cómodo enviar agua desde aquí, aunque desde el Majuelo también se podría hacer pero con mayor dificultad.

Foto 16. Puente romano. Cima.

Esta vista de arriba abajo de las tres luces del las arcadas del puente manifiesta lo que se puede ver de los respectivos espacios: superior, medio e inferior, dejando ver que los muros han disminuido de volumen debido al uso de cantera de esta construcción.

Foto 17. Puente romano: luz de arco.

Imagen de detalle para ver la luz de este arco, al igual que el punto de arranque del mismo.

Foto 18. Peñón del Santo.

Esta imagen es complementaria con la anterior. Es, en su parte superior, la luz del arco que se había montado en este espacio. Pero lo más grave es el daño sufrido por el bombardeo que por el uso como cantera de materiales. La flotilla inglesa podía bombardear el puente con toda comodidad, porque se encontraba precisamente en la playa de San Cristóbal y su alcance de disparo fue casi frontal. (Ver dibujo del Archivo Histórico Militar para testimoniar lo expresado).

Foto 19. Peñón del Santo. Luces de arcos.

Aquí se puede ver, de izquierda a derecha dos luces de arcos consecutivas con ligeros puntos de arranque que indican el comienzo del arco. Se cree también que todo este testero ha sido usado de cantera hasta la misma roca madre, que queda al desnudo como se puede ver.

Nota. Los ingleses lo bombardearon, pero los propios lo saquearon, al igual que hicieron con el foro del Majuelo, donde había, y aún quedan restos, una solería de mármol blanco magnífica, y la demolición del depósito terminal situado donde está la iglesia…y más. Alguien que previó el saqueo del Majuelo, enterró las esculturas que aparecieron en los años 60 casi a la entrada del Callejón del Silencio.

Foto 20. Peñón del Santo.

Imagen de detalle del primer arco. Dimensión: 1. 20 m.

Foto 21. Peñón del Santo.

Situados casi de forma paralela junto al puente y depósito del peñón, encontramos dos de la galerías abovedadas en esta zona. Los indicios indican que eran cinco o seis. ( J. M. Fontana sólo estudió los materiales de su excavación). Aquí mostramos el inicio de una de las galerías.

Foto 22. Peñón del Santo.

Vista de la misma galería anterior que no se ve completa por los inoportunos árboles que han plantado delante. De largo mide seis metros y, según un murete todavía sin cubrir por las nuevas obras, unos dos metros de ancho. La altura: dos metros y medio.

Foto 23. Peñón del Santo.

Esta imagen muestra el arranque de la bóveda de esta segunda galería. El material es laja de piedra. Sus medidas son iguales a la anterior. No se ha detectado el uso del ladrillo en toda la construcción.

Foto 24. Peñón del Santo.

Imagen de detalle del arranque la esta construcción abovedada que se apoya sobre un muro de grosor más relevante, y que discurre paralelo a la dirección del puente romano. Desgraciadamente la solería del acceso moderno ha eliminado el muro que completaba esta galería, pero que nos permitía y lo ha hecho, saber las dimensiones de anchura de esta pieza de almacén.

Foto 25. Galería-almacén del Peñón del Santo.

Imagen de detalle que nos muestra como las construcciones romanas se anclaban sobre la roca madre, raramente sobre tierra. El aspecto de esta foto muestra que ha sido fuertemente agredido por el el bombardeo.

Foto 26. Peñón del Santo. Galería rota.

A continuación de la galería anterior se encuentra este material que nos indica la existencia de otro depósito justo al mismo nivel del material que precede. Tiene capa de revestimiento de opus signinum, señal clara de lo que se afirma.

Foto 27. Peñón del Santo.

Justo en línea con la construcción anterior, se observa la muralla que va en paralelo al puente romano; y es este muro el que sirve de apoyo al montaje de las galerías que aquí se levantaron. A izquierda de la imagen se observa el arranque de las galerías. Su extensión marca unos 15 m, pero que no se descarta que se prolongara hasta el borde del talud o algo más. Sabemos que el muro saliente sobre el precipicio indica su tamaño mayor de lo que se ve, pero que se ha derrumbado o por agresiones o por terremotos.. Y las grandes rocas hoy visibles sobre el fondo del precipicio lo indican: proceden del derrumbamiento sufrido con el tiempo.

Foto 28. Peñón del Santo.

Por fin, esta antigua foto muestra el segundo muro del montaje completo de las galerías en esta área. Se observa a izquierda de la imagen. Ese mismo muro que sobresale poco del suelo es que se vuelve a ver en dirección al talud, lo que nos informa del tamaño real que tuvo esta serie de galerías de la que quedan como testigos solamente dos. Ya no existe, como ha quedado dicho. La obras municipales lo han destruido al enlosar el camino de acceso.

Foto 29. Peñón del Santo.

Nueva foto antigua con más precisión para destacar los perjuicios arqueológicos sufridos a lo largo del tiempo: enlosado y vegetación sobre las ruinas que impiden ver los materiales.

Foto 30. Peñón del Santo. foto aérea.

No dispone de mucha definición, pero se puede ver el emplazamiento del depósito de agua y una construcción a continuación de forma contigua. Tiene forma rectangular. Tiene estructuras que no podemos bien definir, pero que probablemente forman parte de las galerías que se encuentra en línea. El muro que sobresale en el talud es visible, cosa que hace pensar en que esa terminación fue duramente afectada por el bombardeo inglés. Las grandes piedra caídas indican más de lo mismo. Y los bordes de la parte oeste del peñón está rodeado por muros que podrían formar parte del complejo montado sobre esta zona.

Foto 31. Peñón del Santo. Depósito de agua romano

La imagen muestra el interior del depósito de agua romano situado en la parte superior del peñón a un nivel más bajo para recoger el agua que le llegaba por el canal procedente de la zona de cueva de Siete Palacios. Se ve perfectamente el estuco de tonalidad blanquecina, algo deteriorado. (Sus medidas…Ver Seks, Almuñécar, Granada).

Foto 32. Peñón del Santo.

Imagen que muestra el muro citado antes sobre el talud del peñón al Sur. Algo falta que se ha perdido por la razones antes expuestas, pero que demuestra que las proporciones de este emplazamiento industrial era mayor de lo que hoy de ve.

Foto 33. Peñón del Santo.

Aquí se muestra de perfil el muro anterior saliente sobre el talud. Se ha salvado de caer o lo derriben.

Foto 34. Puente romano dibujado por el ejército.

Imagen del Archivo Histórico Militar, Muestra los siguientes datos: A izquierda, Tenaza del Castillo en su parte sur que conecta con el puente romano. En el cetro, planta del puente romano. A derecha; Complejo de estructuras romanas en el Peñón del Santo; fondo izquierda: Indicación esquemática de lo que pudieron ser la piletas de salazones del complejo del Majuelo. Además, se puede comprobar que la línea de playa se encontraba muy cerca de las salazones, y que el par no pasaba por debajo del puente romano en absoluto.

Foto 35. Castillo de San Miguel. Tenaza del Castillo. Puente romano y Peñón del Santo.

Imagen ampliada detallada de lo explicado en la foto anterior tomada de otra información proporcionada por el Archivo Histórico Militar (Cortesía de D. Victoriano del Moral): Tenaza del Castillo, puente romano, Peñón del santo, Majuelo y nivel del mar.

Foto 36. Tenaza del Castillo. Puente romano y Peñón del Santo.

Esta imagen muestra el empalme del puente romano con la Tenaza a izquierda, y con el Peñón del santo a derecha. A su vez se observa que el agua del mar se encontraba muy cerca del puente. Se puede pensar que el agua del mar de la caletilla pudiera comunicarse con la de San Cristóbal antes de que se construyera el Puente por parte de los romanos. Es bastante probable, y esa sería la razón por la que decidieran construir esa conducción que uniera el fortín del Castillo con el Peñón, ya que ambos disponían de estructuras industriales y defensivas.

Foto 37. Tenaza del Castillo. Puente romano y Peñón del Santo.

Llama la atención que los militares de época no remarcaran las estructuras romanas que existían en el Peñón del santo, ya que no se indican ni esquematizadas. Por ello se llega a la conclusión de que esas estructuras fueran tal vez utilizadas como elementos de ayuda a la finalidad que los militares pretendían. De hecho, en ese Peñón disponían de artillería para defensa de vanguardia del mismo. Razón por la cual los ingleses bombardearon toda esta zona fundamentalmente: Castillo y Peñón.

Foto 38. Paso de unión entre playas Puerta del Mar y San Cristóbal.

Primitivo camino desde Puerta del Mar hasta San Cristóbal. Pero aquí se ha destacado porque en su parte superior izquierda se encuentra parte del canal de conducción de agua para abastecer el Peñón del Santo en tiempos de los romanos.

Foto 39. Vista gel Castillo y muralla de Levante.

Vertiente sureste del Almuñécar. Situaciones de los centros a comentar. Se marca con indicación los lugares donde se han producido novedades por los descubrimientos de elementos arqueológicos importantes: Marcado el sitio donde se ha localizado un tramo del canal de conducción de agua dirigido hacia el Peñón del Santo: al fondo de la calle San Miguel Bajo.

CARACTERÍSTICAS Y ELEMENTOS INDUSTRIALES

El sector A dispone de los siguientes elementos industriales:

  1. Un canal de abastecimiento e agua para la industria y servicios.
  2. Dos o más galerías romanas de almacenaje.
  3. Un depósito de agua.
  4. Piletas de salazón que han desaparecido, y que fueron publicadas por D. J.M. Fontana Tarrasts
  5. Un puente romano de grandes proporciones.

Como conclusión se puede afirmar que todos los rincones y terrenos elevados de lo considerado casco antiguo fueron utilizados y explotados industrialmente por los romanos durante los siglos que permanecieron en este lugar

ELEMENTOS ARQUIECTÓNICOS MAL INTERPRETADOS DEL CASTILLO DE SAN MIGUEL Y SU ENTORNO

El plano que se muestra presenta una serie de estructuras que no tienen relación con las que se le atribuyen. Hay una fuerte reutilización de los elementos romanos por parte de los árabes y las guarniciones militares que se establecieron posteriormente en este lugar. Pero lo que más llama la atención es lo que recientemente se ha hecho con estas estructuras.

El Castillo de San Miguel no es una obra romana, es una fortaleza árabe y que persiste hasta nuestros días, convirtiéndose a partir del año 1851 en cementerio municipal por necesidad de espacio tras epidemia como el cólera. Recientemente ha sido desmontado y trasladado a las afueras de Almuñécar, en el lugar conocido como el «Magnífico», antiguo ingenio de azúcar.

Las primeras construcciones anteriores a los árabes son romanas. Hay indicios de elementos domésticos como termas y piletas de salazones. Un sistema de murallas muy resistentes que bordeaban la periferia de este recinto, pero que, en la actualidad, tan sólo podemos ver un lienzo de ella partiendo en dirección norte desde el conocido foso del Castillo, mezclándose con otros estilos constructivos de época árabe y cristiana recientes. También se han podido identificar termas romanas reutilizadas en época árabe, pero que dejan bien claro que el estilo no es el musulmán. El baño árabe siempre es cubierto. Éste es descubierto. Se han localizado depósitos de agua, pilas de baños romanos que extrañamente han sido ocultados en la nueva rehabilitación del Castillo. Hay, demás, fragmentos de fuste de columnas romanas, que también se han ninguneado y no se sabe su paradero. Pero lo que más cabe destacar es que el sistema de fortaleza fue bien evidente en época romana: Se construye, desde la zona de El Majuelo, una muralla escalonada que asciende hasta la parte más elevada del recinto del castillo, y cuyos restos pueden aún verse sobre el terreno actual. Se llega incluso a rellenar los agujeros, que se dejaban ver en el talud de algunos tramos de la estructura de esa gran muralla. La técnica de relleno es romana. Tenemos testimonio de ello.

Junto a la muralla romana de Poniente cabe destacar la existencia de dos depósitos, uno casi al mismo nivel que el resto de las estructuras del interior del fortín romano, y otro ligeramente más desplazado en dirección al mar. Nadie ha comentado la importancia de estos dos elementos industriales que están a la vista. Y lo que hizo que casi desapareciera esta gran muralla escalonada fue, probablemente, un catastrófico terremoto que tuvo lugar en el año 365 d. de C. Este fenómeno fue muy comentado en el Imperio por la gran pérdida que se produjo. Por otra parte cabe destacar que en la Guerra Napoleónica, esta parte del castillo sufrió también un bombardeo por parte de una flotilla inglesa contra las tropas francesas alojadas en ese castillo.

Foto 1. Puente romano que comunicaba Castillo y Peñón del Santo.

Alzado militar del puente romano levantado sobre el terreno. Falta el dibujo del alzado.

Foto 2. Imagen militar del Castillo, ciudad moderna y piletas de salazones.

Se puede ver en esta imagen el sistema de muralla periférico, del Archivo Histórico del Ejército. En él se marca la cadena de tramos murados y torreones alrededor de lo que era considerado ciudad-fortaleza. Su alcazaba se encontraba en la parte más elevada del casco urbano antiguo. La secuencia de los lienzos de muralla se fija en la configuración del terreno. De ahí que no se observe una línea recta continua a lo largo del rectángulo que, en teoría, debía conformar su trazado. Destacamos como más relevante para este trabajo: Lugar ocupado por la unidad del Majuelo como salazones (cuadrículas). Sistema defensivo con muralla menor en la parte de Levante. Terreno que conforma la Tenaza Tenaza del Castillo, posteriormente casi desaparecido.

Foto 3. Plano militar el Castillo donde se reflejan sus elementos estructurales.

En esta imagen del Archivo Histórico Militar se observa cómo se ha transformado el interior del Castillo pasando del característico árabe a un cristiano práctico. Si llegó a existir un palacio real, aquí ha desaparecido totalmente. Es estrictamente militar. Se conserva la fachada con sus cuatro torreones y la Tenaza de barbacana.

Foto 4. Castillo, Tenaza y peñones,

Este dibujo militar describe, con leyenda incluida, los elementos que integran lo que se considera defensa local.

Foto 5. Peñón del Santo, puente romano destruido y Castillo.

Foto de finales del siglo XIX que revela buen el estado en que se encontraba el camino que conducía desde la playa Puerta del mar a la playa de San Cristóbal. El nivel del agua del mar era, como se aprecia en la imagen, más alto que actual. La partes a comentar comprende desde el Sur del Castillo hasta el Peñón del Santo. A izquierda arriba: Punto final de la galería romana cubierta que llegaba a la cima del Peñón del Santo. En el centro de la imagen: Restos de las ruinas del puente romano que aún cortan el paso entre las dos playas. El camino se ha tenido que empinar para poder pasar de una playa a otra. También se observan los puntos que se identifican con las luces de los arcos el puente romano.

Foto 6. Panorámica del estado del pueblo a finales del siglo XIX.

Foto de finales del siglo XIX. Se indican los puntos a explicar desde el Peñón del Santo hasta los restos del alcazaba en la cima superior del casco antiguo de la ciudad moderna. De izquierda a derecha: Peñón del Santo, restos del puente romano destruido, paso obstaculizado de una playa a otra, parte sur del Castillo de San Miguel, Cuesta del Carmen, la muralla romana al final de la primera rampa de la Cuesta del Carmen, Alcazaba situado en la parte más elevada del casco antiguo de la ciudad moderna, Patio de Armas del Castillo de San Miguel, Terraplenes levantados para defenderse de los temporales del mar, Parte de la vega en estado semi pantanoso. Por esa razón se produjeron enfermedades casi epidémicas en la zona.

Foto 7. A Levante del Castillo se contempla el talud.

Los detalles que nos presenta esta imagen son la situación de las murallas de Levante, los restos de murallas derruidas, y la reconstrucción de la última defensa en esta zona, que aún persiste detrás de las modernas construcciones. Pero lo más significativo es el elemento de conducción de aguas en dirección al puente romano. Este elemento se sitúa en la parte superior izquierda y llegaba hasta el puente romano desde donde se dirigía hacia el depósito de agua romano del Peñón del Santo.

Foto 8. Muy cerca del Castillo puede verse sobre el talud un trozo grande del canal de conducción de agua hacia el El Peñón.

Esta imagen aérea recoge el punto donde se encuentra un tramo del canal romano justo al lado de una de las viviendas modernas de la calle San Miguel Bajo. Se observa que el cementerio municipal aún no se ha desmontado dentro del Castillo de San Miguel. Por la situación de ese tramo de canal y su orientación, parece indicar que su dirección hacia el punto de procedencia no pasa por el talud de la montaña del pueblo, sino que ha llegado hasta este punto después de haberse construido encima de él. O sea que el canal, a partir de este punto, probablemente ha sido roto construyendo encima de mismo.

Foto 9. Vista del canal anterior junto al lado de las nuevas casas.

Detalle de este tramo del canal embovedado modernamente y que continúa en dirección noreste para encontrase con la otra parte de canal que discurre por la cima de la Muralla romana de Levante.

Foto 10. Detalle de la cubierta moderna del citado canal.

Imagen de detalle de la cubierta moderna levantada sobre los muretes del canal. Este tramo fue convertido en aljibe para proporcionar agua a viviendas de nueva construcción.

Foto 11.

Detalle del canal donde se observa cómo la moderna cubierta se monta sobre los muretes laterales del canal. Su uso como aljibe, por su estado de conservación, da la impresión de haber estado tiempo abandonado y en desuso.

Foto 12. Estrada al canal romano (aljibe).

Entrada artificial al canal convertido en aljibe. Detalle.

Foto 13. Detalle de la entrada artificial al canal romano.

Como no se ha organizado ningún estudio de exploración en sus cercanías, se ignora por ese motivo cuál es la dirección que toma en sentido contrario buscando su entorno anterior. Trabajo que está por hacer. Tiene que haber restos de canal enterrados a través de su trayecto hasta la muralla de donde procede.

Foto 14. Lateral del canal donde se levanta la moderna cubierta que lo convierte en aljibe.

Foto 15. Detalle lateral del canal.

Interior del canal donde se aprecia el revestimiento estucado impermeabilizante. Al fondo de la imagen se ve la zona de desagüe o continuidad del canal. Ahora se encuentra cegado por los usuarios de ese aljibe.

Foto 16. Detalle lateral del canal.

Murete derecho del canal donde se ven las marcas del agua almacenada en su uso como aljibe con unas nueve señales de agua estancada. Es probable que lo hayan retocado los modernos usuarios.

Foto 17. Interior del canal.

Vista central del canal. Al fondo de la imagen hay una abertura por donde salía el agua utilizada por la gente que lo había convertido en aljibe.

Foto 18. Vista frontal del Castillo de San Miguel.

Foto de los años 40s del siglo pasado, donde se aprecia la existencia de los alfares situados en este nivel. Eran dos en esta área. Si la calle San Miguel se considera importante como un espacio demolido donde existió una extensa nave romana, hecho conocido por los derribos y las perforaciones, cimentaciones y canalizaciones de aguas residuales de las modernas casas que se construyen a lo largo de ella, se piensa que el espacio de los alfares fue exactamente igual, sobre todo si se tienen en cuenta los materiales arqueológicos que han ido apareciendo a lo largo de toda la calle San Miguel.

El hecho más importante para derribar estructuras tendría lugar cuando el Castillo era considerado como defensa del pueblo tanto en época árabe como cristiana u ocupada (ejército de Napoleón). Era muy importante mantener visible el espacio delantero para tomar precauciones ante un posible enemigo o ataque o ataque imprevisto. Por ello se consideraba crear un espacio o «tierra de nadie». Y eso pudo impulsar a destruir los fuertes elementos roanos de la calle San Miguel y otras. Hay pruebas de ello.

Foto 19. Zona del foso del Castillo.

Situación: Vertiente oeste del Castillo. Aparecen las murallas romanas y cristianas: Muralla romana con un grosos de 1.20 m. Se ve rota por necesidad del Castillo. Su punto de partida se inicia en la muralla escalonada oeste del Castillo, y pertenece al complejo montado por los romanos y su conjunto en todo ese espacio. Este tramo es parte de ese inicio de la muralla. Pero en la construcción del foso del Castillo quedó como parte del elemento medieval y modernamente roto para hacer, como hasta hace unos años, un vertedero de desahogo de todo el barrio del castillo. Continuación de la muralla con otra textura de construcción y materiales muy diferentes que se sitúa en época medieval no árabe. Vertedero usado desde el foso del Castillo y que se vertían residuos sobre el Majuelo. En la parte izquierda de la imagen se observan los restos de un torreón árabe muy deteriorado, mientras que los restos romanos se mantienen muy resistentes.

Foto 20. Restos de la Tenaza del Castillo en la parte de Levante.

Por debajo del nivel de la Tenaza del Castillo, en la vertiente de Levante, aparecen estos restos de muralla que no han sido analizadas con detenimiento, pero que por su aspecto a primera vista, dan la impresión de ser romana. En la excavación poco importó el muro en sí, sino los materiales que fueran localizados, ya que se buscaba establecer contacto con los materiales hallados por el arqueólogo M. Pellicer varias décadas atrás.

Foto 21. Restos de la Tenaza del Castillo a Levante.

Continuación del espacio excavado desde el tramo anterior. También se puede pensar que el canal que enlazaba con el puente romano dirección al Peñón del Santo, pasara por este punto, ya que se encuentra en una cota acorde con la registrada en el nuevo canal analizado en fotos anteriores de este sector.

Foto 22. Restos de la muralla romana escalonada de Poniente de los restos de elementos romanos del Castillo.

Esta imagen muestra, en su parte superior, un lienzo de muralla del Castillo, que tiene características de la época de los RRCC, o Carlos III. Pero justo debajo se observan grandes lienzos de muralla romana escalonada ya deteriorada por probable daño sufrido en el año 1812, y sobre todo, como consecuencia del año 365 (terremoto), que diezmaría estas estructuras defensivas. Recientemente se han retocado por jardineros y dificulta identificar su originalidad.

Foto 23. Muralla de Poniente del Castillo.

La intención de aportar esta imagen es hacer ver dónde está la diferencia técnica entre una estructura romana y otra cristiana. Es evidente que los añadidos modernos echan sus raíces sobre los fuertes cimientos romanos. Muralla cristiana montada sobre restos romanos. Sólo hay torreones árabes en la vertiente oeste. Las murallas se encuentran en la vertiente de Levante.

Foto 24. Muralla romana de Poniente.

Parte de la cima del sistema defensivo romano en la vertiente oeste del Castillo. Puede observarse un fenómeno ya antes explicado en otro apartado: las construcciones romanas se inician desde la roca madre. Aquí también se ve con claridad. En cuanto al alzado, hay yuxtaposición de estructuras romanas de distinta época que, a su vez, son retocadas con técnicas más modernas y quedan enmascaradas: En la parte izquierda de la imagen se ve un lienzo de muro romano enlucido con mortero moderno. Justo al lado se ve la estructura romana bastante deteriorada por retoques modernos. Y la roca madre como prueba de la potente cimentación romana.

Foto 26. Talud de Poniente del Castillo. Sobre él se había construida una muralla escalonada.

Esta imagen de la muralla romana, a oeste del Castillo, revela el estado de deterioro sufrido tanto por fenómenos naturales como terremotos, o daños relativamente recientes por la guerra: Se ven lienzos de muralla erosionado. Restos de la muralla romana escalonada que descendía hasta la finca del Majuelo. Estructuras romanas formadas por muros en forma de depósito de agua. Y restos de la muralla escalonada casi reducida a la roca madre.

Foto 27. Muralla romana de Poniente del Castillo.

Muralla romana de Poniente del Castillo en buen estado de conservación. Se observa como la estructura empieza a inclinarse para convertirse en escalonada más abajo. Un lienzo de muralla ha sido restaurada reciente. Este tramo gira noventa grados y se dirige hacia el Norte. Parte de la muralla discretamente está retocada conservando su técnica. Este espacio de la muralla contiene sobre el suelo gran cantidad de mortero romano, con un color blanquizco.

Foto 28. Muralla romana de Poniente del Castillo.

Este tramo de muralla registra en su base lo apuntado en la foto anterior: comienzo del escalonamiento descendente: Muro con enlucido y restauración moderna a izquierda. Aparejo clásico romano con cierto desgaste. En este punto se inician los diferentes escalones de la muralla. Aparejo algo irregular romano. Capa gruesa de mortero romano usado en la base de este sistema escalonado, destinado a darle más consistencia al situarse sobre la roca madre y para cubrir los huecos de terreno que se registren en su construcción.

Foto 29. Muralla romana de Poniente del Castillo.

Esta foto fue hecho en tiempos anteriores a los vistas en las explicaciones precedentes. Hay roturas antiguas, pero su autenticidad es clara. Hay parte bien conservada, pero con apariencias de restauración sin serlo. Aparejo romano algo carcomido por el tiempo. Aquí pueden verse dos escalones iniciales de la muralla. Mortero romano aflorando en superficie. Este sistema escalonado sufre cambios a través del tiempo, ya que se encuentra fracturado a lo largo de todo el lienzo de la muralla de Poniente.

Foto 30. Muralla romana de Poniente del Castillo.

Vista general del lienzo de la muralla romana de Poniente del Castillo. Parte del muro que sostiene los elementos romanos situados en el interior del recinto interno romano. En realidad todo este tramo visible forma parte de los elementos romanos existentes en el interior del Castillo. Trozo de la muralla que está emplazado justo encima de una pileta o depósito romano. Base de la muralla formada por mortero romano de cierto grosor para dar consistencia a lo que se construye encima. A izquierda de la imagen se deja ver el hormigón romano con nitidez en la base del sistema de construcciones que pertenecen al interior del Castillo.

Foto 31. Muralla romana de Poniente del Castillo.

Esta imagen se ha hecho para esclarecer realmente que la muralla romana de Poniente se ha construido escalonadamente. Por otra parte se hace recalcar que los diferentes lienzos que la componen se encuentra desplazados unos de otros. Como si se hubiera «quebrado» la línea de construcción e, incluso, momentos en que los tramos donde se aprecia el escalonamiento se desplazaran y dejaran a la vista capas interiores que están más «agarradas» la la roca madre. Esto lo podemos ver porque los jardineros aún no había tocado esta zona de un parque ornitológico levantado sobre él. Lienzo de muro en buen estado, pero descalzado en su base. Superposición de muros por ser de distinta época. Zona desprendida dejando ver su estructura interna sobre la roca en estado de descarnado por sufrir percances de temporales o sísmicos. Muralla de época cristiana e la cima (RR.CC o Calos III).

Foto 32. Muralla romana de Poniente del Castillo.

Imagen de detalle para indicar cómo sobresale una construcción sobre otra. Lógicamente se ve el material profundo bajo descarnado. Si embargo, a su lado izquierdo se puede apreciar un trozo que ha sido retocado modernamente.

Foto 33. Muralla romana de Poniente del Castillo.

Ampliación de detalle de la foto anterior para observar con claridad que ya se están haciendo modificaciones en las intervenciones alterando la autenticidad e lo romano. Mala restauración.

Foto 34. Muralla romana de Poniente del Castillo.

En la parte alta de la muralla romana hay un lienzo que ha dejado al desnudo el aparejo de base de la misma. Ésta es la técnica del opus incertum al descubierto. Y puede verse cómo están escalonados los componentes de esta estructura.

Foto 35. Muralla romana de Poniente del Castillo.

Foto en color para identificar con nitidez que se trata de una auténtica demostración del opus incertum usado en esta construcción.

Foto 36. Muralla romana de Poniente del Castillo.

Justo debajo del lienzo de muralla cristiana, puede verse el inicio de la muralla romana escalonada y su ensamblaje sobre la roca madre. La parte izquierda de la imagen está desnuda por posible derribo debido a las agresiones de todo tipo ya citados. A derecha la muralla escalonada se ha derrumbado a consecuencia de accidentes ya citados anteriormente.

Foto 37. Muralla romana de Poniente del Castillo.

La imagen mostrada revela la altura a que se construyó la muralla de Poniente del Castillo, pero ya desde época romana, precisamente no reciente. Casi sobre el precipicio encontramos un depósito de agua lleno de escombros antiguos. Justo a su lado volvemos a ver el escalonamiento de la muralla romana y otro espacio derruido. En consecuencia estas estructuras no se vinculan al Majuelo sino al interior de lo que hubo antes que el Castillo, o sea, otras estructuras industriales romanas. A izquierda se aprecia muy bien el escalonamiento de la estructura de la muralla de Poniente.

Foto 38. Muralla romana de Poniente del Castillo y depósito de agua romano.

Foto de detalle del depósito anterior, donde se puede ver el relleno de escombros. A su lado derecho, el inicio de la muralla escalonada.

Foto 39. Muralla romana de Poniente del Castillo.

En imagen de detalle, se observa el relleno interior, el estuco muy deteriorado y el estado de sus componentes de alzado sobre la roca madre.

Nota. De cronologías no se puede hablar debido a las diferentes modificaciones que se hacen sobre él a través de los siglos que este elemento estuvo en plano uso. Tan sólo se puede aproximar.

Foto 40. Interior del Castillo en época romana (adulterado posteriormente).

Se muestra en esta imagen el interior de una de las pilas de baño de la termas halladas en el Castillo. Los estudio ya publicados hablan de ello y las califican como árabes. Pero, a la vista de lo que se conoce como árabe, resulta un tanto sorprendente que unos baños árabes funcionen a cielo abierto. Choca con la tradición histórica de los clásicos baños árabes que, como es sabido, son cerrados y no a descubierto.

Ese es un aspecto. Los materiales, por otro lado, dan quebraderos de cabeza al calificarlos, porque la estructura de las pilas, tanto en diseño como en materiales, dicen algo que no indican que sean árabes, son romanos tal vez modificados con el tiempo.

Foto 41. Interior del Castillo en época romana (adulterado posteriormente).

En esta imagen del interior del Castillo tenemos el espacio de las termas con una de la pilas de baño que, a su vez, contiene dos pequeñas destinadas para aguas a distinta temperatura. Se ve al fondo de la imagen la muralla árabe clásica con adarve, pero sin almenas. La pila central tiene forma rectangular. Su revestimiento está hecho con estucado blanquizco. Sus pilas en una de sus esquinas se corresponden con la tipología que generalmente presenta el tipo romano. Los espacios laterales son algo que ha sido retocado probablemente cuando este lugar se ha utilizado con cementerio, montando sobre ellos.

Foto 42. Interior del Castillo en época romana (adulterado posteriormente).

Esta parte de las termas está ocupada por una pila grande en la que parece que las pequeñas han desaparecido por las razones expuestas en la foto anterior. Pero la máquina retro ha destrozado también gran parte de este elemento. Han sido arrancados completamente grandes lienzos de más de tres toneladas en el levantamiento de este cementerio. La reconstrucción es nueva, sin corresponderse con la supuesta original. Esto supone un fraude arqueológico.

Foto 43B

Imagen de detalle de la primera pila con las dos menores dentro de ella. La pila pequeña de primer plano muestra ranura para entrada o salida de agua. Pero es un mera suposición, porque la pila adjunta no lo tiene. Pero la pila tiene entrada y salida por la parte superior. El aparejo es romano y estucado como elemento impermeabilizante.

Foto 44. Interior del Castillo en época romana.

Vista de detalle de la segunda pila menor. Se inspeccionó con cuidado y no había indicios de que se comunicara con ninguna: ni mayor ni menor. Los remates de las pilas romanas suelen mostrar redondeo de su forma inferior y suelen mostrar estuco. En este caso, sólo estuco impermeabilizante. Pero estos elementos han pasado por varias culturas con sus correspondientes alteraciones de estilo y uso. Las formas romanas puras aparecen enterradas u ocultas, como se verá.

Foto 45. Muralla romana de Poniente del Castillo.

En esta imagen volvemos a la parte superior de la muralla romana de Poniente y tenemos este muro que contiene en su interior espacios que se van a destinar a depósitos o piletas de salazón. Sorprende algo porque es una cota muy elevado para esos elementos industriales, pero ahí están.

Foto 46. Muralla romana de Poniente del Castillo.

Según se avanza por el muro visto antes, encontramos una abertura sobre el trazado de ese muro. Al fondo está el gran muro que irá en dirección Norte. El suelo se encuentra cubierto con el caementum en superficie.

Foto 47. Muralla romana de Poniente del Castillo.

Situación de una pileta de salazones perteneciente al mismo complejo que ha debido existir dentro del Castillo. Entrada a un espacio con entrada o paso hacia una pileta. Puerta natural de obra y pileta el fondo de la imagen.

Foto 48. Muralla romana de Poniente del Castillo.

Pileta interior con revestimiento de estuco u opus signinum. Está todo muy desgastado, y corre riesgo de que la parte superior se derrumbe. Hoy ya se encuentra taponada.

Foto 49. Muralla romana de Poniente del Castillo.

Para determinar mejor el material de su estructura, aportamos una foto en color realizada posteriormente.

Foto 50. Muralla romana de 1,20 m de grosor que sale del área del Castillo y se dirigen hacia el Norte.

Continuación de la gran muralla romana procedente de la muralla romana del Castillo. Se muestra esta imagen donde el muro que la forma tiene un grosor superior al metro-veinte. Hoy ya se ha trazado y construido una carretera de acceso al Castillo y este lienzo se encuentra enmascarado con argamasa moderna. Otra faena contra el patrimonio.

Foto 51. Vista de la misma muralla anterior desde abajo.

El lienzo de muralla romana anterior, antes de que lo revistieran con materiales modernos, muestra su estado antiguo y el retoque dado recientemente con un añadido en la parte superior. Pero en estos momentos también esto ha cambiado pero a peor.

Foto 52. Muralla de Poniente en dirección hacia el Norte.

Imagen antigua de este mismo lienzo en otro punto de su trazado.

Foto 53. Interior del Castillo al desmontar el cementerio.

Vista general del levantamiento del cementerio del Castillo y los efectos desastrosos provocados por la máquina excavadora. Emplazamiento del hipocaustum. Punto donde termina el levantamiento de la plancha de hormigón romano donde se fijan los baños. Espacio donde se construyen las pilas. Muros de contención de las estructuras romanas de las termas a derecha. Consecuencias del desmonte de la zona de las termas, con trozos de plataformas de hormigón romano. Muros de probables almacenes modero añadidos con el tiempo. Muralla árabe con adarve y sin almenas, a derecha. Molino romano de mano sobre el suelo, en los arrastres de la máquina, a derecha.

Foto 54. Desmonte del cementerio dentro del Castillo con color.

Foto anterior en color para distinguir la variedad de tonos de los materiales removidos..

Foto 55. Interior del Castillo desmontado.

Aportación de foto para mostrar el desmonte de la zona de las pilas de las termas romanas. Material de hormigón romano integrante de la zona de las termas romanas.

Foto 56. Interior del Castillo desmontado.

Estado de la desmonte con máquina. Muro de contención de la zona de las pilas de las termas romanas, y decimos romanas porque están hechos con mortero romano de alta dureza por su composición. Corte dado por la máquina sobre el emplazamiento de los baños romanos. Parte del material desmontado arrancado por la máquina, a derecha.

Foto 57. Interior del Castillo desmontado.

Vista de la zona más castigada en el levantamiento del cementerio. Fragmento procedente del desmantelamiento de pilas romanas. Molino de mano romano removido por la máquina.

Foto 58. Interior del Castillo desmontado. Hipocaustum.

Hipocaustum romano-árabe destruido por el abandono y robo de material en que se encontró después de excavar.

Foto 59. Interior del Castillo desmontado. Pila romana con revestimiento de estuco y opus signinum..

Pila romana semiesférica hallada justo al lado del hipocaustum. Conserva el tono rojizo del opus signinum. Ha desaparecido en la restauración moderna del Castillo.

Nota. Se ha hecho con el consentimiento tácito y culpable de las arqueólogos que han estudiado estos materiales y lo han hecho desaparecer enterrando y tapando el lugar donde ha aparecido.

Foto 60. Interior del Castillo desmontado.

Imagen detalle de trozos de capas de revestimiento de opus signinum en el fondo de la pila romana de la foto anterior. Enterrado y desaparecido. No se cita para nada en la publicación.

Foto 61. Interior del Castillo desmontado.

Imagen fotografiada hecha antes que fuera destruido el hipocaustum. El cajón de encuadre donde se levantan los falsos arquitos del hipocaustum está hecho con mortero romano. Los ladrillos son árabes. También reutilizado posteriormente.

Foto 62B

Vista de la zona de alimentación del hipocaustum. La técnica de construcción es el ladrillo de grosor normal y alto uso de caementum.

Foto 63. Interior del Castillo desmontado.

Foto hecha cuando quedó a descubierto el conjunto del hipocaustum.

Foto 64. Interior del Castillo desmontado.

Zona de alimentación de agua o desagüe. Probablemente hubiera tubería de plomo. Este elemento ha aparecido en los alrededores. Se tiene constancia de su existencia.

Foto 65. Interior del Castillo desmontado.

Imagen en la que se aprecian las huellas de los enterramiento del cementerio. El muro anterior está formado por bloque de hormigón romano para poder soportar las altas temperaturas del hipocaustum.

Foto 66. Interior del Castillo desmontado.

Sección de la zona de Levante del Castillo donde se puede observar la existencia de una estructura árabe que probablemente se utilizó como lugar de almacenaje. En la parte superior se observa, sobre el corte dado por la máquina, el material perteneciente a la parte oeste de las pilas de las termas romanas.

Foto 67. Interior del Castillo desmontado.

En el corte dado por la máquina quedó a descubierto este gran trozo de estructura romana sobre el talud provocado por la máquina. Se ve el comienzo de una pila con su revestimiento de opus signinum, que también ha desaparecido. Se encontraba sobre la roca madre como se puede ver.

Otra ocultación de la verdad del Castillo por parte de los arqueólogos oficiales.

Foto 68. Tenaza del Castillo.

Imagen final del reducto del Castillo con su tenaza defensiva que se unía al puente romano. La infracción urbanística es evidente. Basta con verla.

Elementos contabilizados en la zona del Castillo y entorno.

1.- Piletas de salazones en esta zona: 1.

2.- Depósitos de agua: 1.

3.- Murallas romanas como sistema defensivo 1, formado por larga cadenas del Poniente del Castillo.

4.- Canal de conducción de agua romano procedente del Levante y de largo recorrido: 1.

A simple vista da la impresión de que se trata de una corta aportación al sistema investigado, pero, en realidad, es uno de los mayores ejemplos de la presencia industrial romana en Sexs, excluyendo el gran acueducto; y la muralla de poniente constituye uno de los sistemas defensivos más grandes y originales de la localidad, sobre todo cuando se trata de un sistema poco frecuente de muralla escalonada con un desnivel que puede llegar a los 40 metros.

Nota. Como se viene explicando a través de todo este trabajo de investigación arqueológica, aquí no se pretende establecer un sistema de estudios y elementos paralelos. Tan solo se exponen los datos y las imágenes de la investigación de Sexs. No se pretende comparar con ningún yacimiento del Mediterráneo ni Atlántico o africano, porque no es el objetivo de este trabajo. Se informa de lo que hay y se ha encontrado. Los paralelismos serán cosas de otro trabajo paralelo, no de éste en particular.

ELEMENTOS INDUSTRIALES Y GALERÍAS LOCALIZADOS EN ESTA ZONA

El espacio de estudio de esta zona se ciñe a las calles Cuesta del Carmen, Angustias Moderna y Calle Nueva del Carmen, calle Cueva de Siete Palacios

En primer lugar tenemos que decir que las citadas calles no responden, como el resto, a ningún esquema de trazado urbano clásico romano, porque no existe. Las calles de hoy fueron inventadas a partir de la ocupación posterior después de la retirara de los romanos

Los elementos romanos localizados son estructuras abovedadas, unas completas y otras reutilizadas en las nuevas viviendas. Las calles son el resultado del derribo de series enteras de galerías, que serán usadas como vivienda habitual desde épocas antiguas. En época romana no había calles, sólo pasillos para acceder a los elementos industriales. No hubo un plan hipodámico para urbe. Y a ello se debe que hayan en la actualidad un ensortijado de retorcidas calles, cosas que está causada tanto por la destrucción de galerías como por las irregularidades del terreno que son notorias. Y el hecho de que haya calles simétricas tan sólo se debe a que había series de galerías encadenadas y en línea recta, cosa que se puede probar a la vista de los restos que se conservan en la zona de Levante, y poco en las de Poniente. Ello explica que las casas de estas zonas muestren alzados de una sola planta desde antiguo.

Piletas de salazones no se ha descubierto aquí hasta el momento. Pero lo que sí se manifiesta con bastante claridad es el sistema de amurallamiento destinado a la configuración del terreno para establecer terrazas de zonas que van a ser destinadas a la construcción de los sistemas de almacenaje de todos los productos que se van elaborar y exportar desde este lugar hasta el Mediterráneo medio y fundamentalmente Roma.

Y uno de los elementos fundamentales para el desarrollo de la industria es el agua. En esta zona se ha detectado una canalización importante que abastecerá la zona de Levante. Tal conducción parte desde la cima de Eras del Castillo, se dirige hacia la pendiente de la Cuesta del Carmen, y se encamina hacia el Puente Romano para abastecer de agua el Peñón del Santo y sus salazones. Y creemos que también las partes bajas del conocido paseo del Altillo. Muy cerca de tal paseo se encontraba la muralla romana construida con sillares de toba. Pero, insistiendo en la parte superior de la calle Cuesta del Carmen, tenemos que insistir en cómo se conducía el agua hasta el citado Puente Romano. Y es que el canal del agua fue instalado sobre la muralla de Levante, dirigiéndose en el citado sentido hacia su punto terminal. El sitio por donde pasaba el canal procedente de Eras del Castillo, ha sido taponado por los propietarios de las nuevas construcciones; pero, a pesar de ello, podemos ver el canal en el borde del murallón romano, y cómo continúa a través del terreno que linda con la muralla.

Recientemente ha aparecido un tramo de canal de proporciones considerables, y la importancia que para la industria debió tener. Mostramos la novedad porque es primordial en la demostración de cómo los romanos condujeron el agua hasta la antigua zona del Castillo de San Miguel y, por ende, hasta el depósito situado sobre el Peñón del Santo, a través del puente cubierto con galería. Por el tramo nuevo descubierto, sabemos que iba descubierto, según hemos podido comprobar.

Relación fotográfica de las calles citadas

Foto 1. Cuesta del Carmen.

Esta imagen muestra la fuerte pendiente de la Cuesta del Carmen, que ya se distinguía en las fotos de finales del siglo XIX, en un estado de gran dificultad para acceder. En la parte izquierda de esta calle, en su interior, hay un sistema de muros de considerable grosor, como elemento de contención y contrapeso de la propia calle. Al fondo de esta subida aparece la muralla romana. Altura que se divisa desde abajo en la muralla del fondo. Indicación de la parte de la calle donde el gran muro se encuentra en su parte interior.

Foto 2. Cuesta del Carmen.

Segunda parte de la cuesta del Carmen. Toda la hilera de casas de la derecha se apoya sobre la fuerte estructura romana que está justo detrás. Fila de casas adosadas a la roca. La parte izquierda de la calle no tiene casas en su primera parte porque detrás se encuentra otra muralla medieval y con un torreón algo visible. Sobre la misma calle puede verse la roca madre en la que se asientan tanto las construcciones romanas como las modernas superpuestas.Foto 3. Cuesta del Carmen.

Inicio de la muralla romana con una base muy reforzada por su forma y aparejo. Se apoya sobre roca madre y se levanta hasta una altura de doce metros con ligera pendiente para contrarrestar el empuje de su peso, pero se deduce que por detrás está apoyada sobre roca madre tal como ocurre en las murallas de Poniente del Castillo de San Miguel en la zona del Majuelo. Es un sistema de terraza para facilitar el montaje de los elementos industriales y de almacenaje.

Esta parte de la muralla no se inicia en este punto, sino que es prolongación de la parte de muralla que se encuentra debajo de la Cueva de siete Palacios, sobre la que se apoya toda una cadena de casas modernas en la calle Baja del Carmen. Además, cuando esta muralla se acerca a la calle Cueva de Siete Palacios, justo en el cruce con ella, desciende el nivel de altura de la misma. Y se cruza con la muralla que se sitúa debajo de las estructuras modernas (romanas transformadas) de esa calle, como se verá. Sin duda forma parte de ese anillo de muralla.

Entra dentro de la lógica industrial romana diseñar una estructura de cadenas amuralladas alrededor de todo el empinado estado del suelo de Sexs. Hay bastante desnivel, en unos lugares más que en otros, y por ello deciden crear anillos de murallas para dar seguridad y estabilidad a todos los sistemas industriales que se van a ir construyendo a lo largo de los años que duró este emplazamiento romano. Y ello nos lleva a pensar que tuvieran que ir rellenado los espacios existente cuando se levantan las murallas en todo el sistema que se pretende sea industrial. Por tanto, se hará acopio de elementos de relleno para poder emplazar el sistema de piletas, estructura que forzosamente lo necesita; mientras que las galerías, después de examinar su estructura, se ha averiguado que se encuentran sobre roca viva. Es una norma que se va a aplicar de forma generalizada en todo el conjunto como se irá viendo. Las galerías romanas no tienen suelo artificial, sino roca madre. La razón es simple: se trata de evitar la humedad que pueda perjudicar el almacenamiento de los géneros almacenados. Esto se convierte en una constante generalizada.

Foto 4. Cuesta del Carmen.

Esta imagen muestra en su parte superior cómo sigue inclinándose para convertirse la muralla en una especie de escalonada, como en el Majuelo. Y su altura llega a alcanzar más de los doce metros por el retranqueo obligado del terreno. Desde otra parte más elevada se podrá comprobar tal retranqueo.

Foto 5. Cuesta del Carmen.

Estado más antiguo del punto de arranque de la muralla romana en Cuesta del Carmen. (Hoy día está muy abandonada), pero se diferencia claramente la base del inicio de su altura..Foto 6. Cuesta del Carmen.

En esta imagen del mismo tramo se comprueba la falta de cuidado y abandono del Patrimonio Cultural. El matorral está haciendo un daño irreparable y no se evita. No hay consciencia de ello.

Foto 7. Muralla romana entre Cuesta del Carmen a izquierda y calle Cueva de Siete Palacios, a derecha.

Esta imagen proporciona una vista, desde arriba, de la muralla romana en su trayectoria hacia el final de la Cuesta el Carmen. Como se ha dicho en las primeras fotos, este tramo de muralla se observa en las fotos de finales del s. XIX.Foto 8. Cuesta del Carmen.

Se muestra esta imagen para observar cómo las casas modernas se apoyan sobre la muralla.

Foto 9. Cuesta del Carmen.

En el tramo casi final de esta cuesta se observa sobre el suelo cómo se montan las casas modernas sobre la roca madre a lo largo de más de 50 m. A la izquierda de esta imagen se ven casas de discreta altura. En su parte interna, detrás, se encuentra una muralla de origen medieval con torreón incluido que está visible.

Foto 10. Cuesta del Carmen.

Este tramo de subida es el final de la Cuesta del Carmen. En el destaca: existencia de roca madre sobre la que se monta la casa de la izquierda. en la esquina siguiente hay un paso a un pequeño patio donde va a aparecer, al fondo, la muralla de Levante sobre el talud. A continuación hay un espacio que marca el punto donde se encuentran galerías en sus interiores que conectan con otras que se dirigen a la calle Cueva de Siete Palacios. Y al fondo de la imagen se ve una calle que cruza en paralelo a otra que discurre en altura superior: Calle Angustias Nueva y Calle Angustias Moderna, ambas con galerías en sus interiores, como se verá más adelante.

Foto 11. Cuesta del Carmen.

Para poder acceder a los espacios ocupados por galerías abovedadas ha sido necesario rellenar un especio suprior que se monta sobre el muro romano que sube desde la parte más baja de la Cuesta. Es la única entrada posible para acceder a las cuevas-galerías. Pero en este punto de acceso, la muralla ha sido muy rebajada para conseguir el acceso.

Foto 12. Cuesta del Carmen.

Esta imagen, que se continúa con las dos anteriores, marca cómo la roca madre ha tenido que ser rota en superficie para poder pasar y construir incluso en época romana.

Aquí se encuentra el paso para acceder a la muralla de Levante. Lo cuestionable es si este lienzo se muralla empieza aquí, o la muralla anterior penetraba, cosa más lógica, y se continuaba a través y por encima del talud de Levante, que es lo más razonable. Y el canal del que se viene hablando desde los las dos primeras partes de este trabajo: Peñón y Castillo, canal recientemente localizado, que podía discurrir por la muralla citada en cuesta del Carmen, pero por un nivel más elevado y que procedería, en su recorrido, del tramo de muralla que pasa por un nivel inferior a Cueva de Siete Palacios, o sea, casi medio metro más bajo que el nivel de la calle San Joaquín.

Y ¿qué alimentaba a este canal? Estamos seguros de que se hacía desde el depósito terminal del acueducto romano situado donde hoy se encuentra la iglesia parroquial. Y desde este punto, el agua, entubada, descendía hasta la Plaza del Ayuntamiento, penetraba en donde se encuentra un canal que se citará después, sitio donde han aparecido tuberías de cerámica romana y donde casi a la mitad de su recorrido, se inicia el ascenso hacia la parte superior, cerca de Cueva de Siete Palacios, que se encuentra en buen estado de conservación, en dirección a las construcciones superiores del gran conjunto. Así que se tendría un recorrido como el que sigue: Depósito romano terminal-Plaza del Ayuntamiento-Casa de los Mateos-Müller- (frente al Ayuntamiento)-subida hasta la cota 48 en Eras del Castillo-salida de aquí y llegada canalizada al canal de la muralla de Levante. Este sería el trayecto para poder entender el recorrido lógico.

Adelantamos que hay varias salidas del deposito terminal de la iglesia que se verán más adelante, como es lógico.

Foto 13. Cuesta del Carmen.

Foto para volver a conectar con lo expuesto anteriormente y no perder la conexión de la trayectoria que van a seguir tanto la muralla romana como el canal en cuestión que, como se ha visto ya anteriormente, discurre en solitario, sin muralla. enfilada hacia el puente romano y Peñón del Santo, como se ha visto.Foto 14. Cuesta del Carmen.

Imagen única: Este pequeño patio con la muralla Levante al fondo, ya no existe: se ha construido completamente sin que nadie lo prohíba. Al fondo está la muralla que presenta una ligera curva para cambiar de dirección y dirigirse a la entrada de este patio. Como se puede ver, se encuentra taponada, o sea, el canal que discurre por encima de ella a sufrido un taponamiento moderno.

Foto 15. Muralla de Levante en Cuesta del Carmen.

Hay un gran talud salvado por la gran muralla romana al fondo de esta imagen. Puede observarse en la imagen que el taponamiento es anterior a la construcción que se ve detrás. La anchura de este canal se especifica con la imagen que se dará sobre el canal.

Foto 16. Cuesta del Carmen. Detalle del canal para comprobar los materiales usados.

Mostrando una imagen más cercana, se puede comprobar cómo son los muretes laterales, su grosor aproximado y el color del enlucido interno. Hay estuco y opus signinum. El grosor de la muralla que soporta el canal en su parte más elevada, llega a medir un metro y veinte centímetros, lo que le da una gran consistencia. Igualmente ese canal sobre la muralla experimenta un desnivel descendente de un 5% con el fin de que el agua discurra suavemente en dirección al puente romano sobre el Peñón del Santo. Con esa pendiente en sentido suroeste llega un momento en que el canal pierde su pendiente y se sitúa sobre el suelo de la roca madre, tal como va a ocurrir en su trayectoria con el canal construido ya sobre ella.

Foto 17. Cuesta del Carmen. Muralla romana sobre el talud.

Esta vista del canal taponado muestra el momento en que la muralla, que entraba en el patio antes citado, es rota por la nueva construcción tiempos atrás, según se observa en la cubierta con tejas de esa construcción. Se tapa el canal por necesidad de la construcción moderna en este punto donde se indica que la muralla, procedente del anterior tramo, cruza la calle Cuesta del Carmen y se dirige al talud para continuar hacia el puente romano.

Las nuevas casas que se ven pegadas a la muralla han roto parte de ella, pero no se puede confirmar a simple vista.

Foto 18. Calle Angustias Nueva.

Esta parte de la calle Angustias Nueva tiene un trazado casi rectilíneo, y es otra de las que proceden de la eliminación de series de sistema abovedados para poder hacer calles desde antiguo, o sea, desde la época cristiana, no árabe.

Todas estas casas tienen en su interior estructuras romanas transformadas. y no se nos permite entrar a comprobarlo. Sólo alguna ha sido comprobada positivamente. La mayoría, no. En muchos casos, se ha podido hacer por descuido de los dueños. o porque se encontraban abiertas y poderlas ver; cosa que se aprovechaba para tomar sus medidas y las respectivas fotos que aportamos en más de setenta fotos. Al inicio de esta calle hay una galería que se permitió fotografiar y medir.

Nota. Los árabes no ocupaban los espacios habitacionales de culturas diferentes porque consideraban que las viviendas, que no eran suyas, eran impuras.

Foto 19. Calle Angustias Nueva.

Justo a la entrada de la calle San Miguel se observe este muro de apariencia romana muy encalado, que va paralelo a la dirección de la muralla de Levante. Está ocupado su interior, pero probablemente como almacén.

Foto 20. Calle Angustias Nueva.

Continuación del muro antes visto. A su lado se encuentran las casas construidas junto a la muralla.

Foto 22. Cuesta del Carmen.

Se vuelve a la primera parte de la Cuesta del Carmen para mostrar un torreón medieval que, al parecer, es de época más moderna, no árabe por su diseño forma parte de muralla árabe, El hecho es que esa muralla, que debió existir, apenas deja rastros de su alzado. Pero existió como indica el torreón.

Foto 23. Muralla romana de Levante.

Imagen algo antigua que permite ver lienzos de muralla romana que ha sido levantada en las sucesivas etapas romanas. Se ve el inicio o continuidad de la muralla romana con el canal en su parte superior. A su derecha las casas modernas se han asentado sobre estructuras de muros antiguos que muestran una mayor debilidad estructural. Pues estos muros debilitados son los que se dirigen hacia el torreón antes citado, que se encuentra sobre la Cuesta del Carmen. Hoy día todo ese lienzo está construido y es muy difícil de ver.

Foto 24. Castillo y Muralla de Levante.

Esta imagen deja ver la muralla romana de Levante por donde discurre el canal de agua y su dirección hacia el punto donde ha aparecido la continuidad del mismo canal en dirección al puente romano y Peñón del Santo. Como es lógico, el canal de la muralla va perdiendo altura hasta llegar a la zona donde continúa el mismo hacia el punto indicado antes. Por inercia, el desnivel entre ambos puntos debe salvarse disminuyendo la cota del canal con una pendiente que no supere el 5%. Ello hará que el agua llegue sin mucha fuerza.

ç

Foto 25. Canal de la muralla de Levante muy cerca del talud de la calle San Miguel Bajo.

Canal recientemente hallado en el talud de la calle San Miguel Bajo. Es la continuidad del visto sobre la muralla romana. Ha sido usado como aljibe, modificando su cubierta. Ésta era abierta al aire libre. Ignoramos que tuviera cubierta de medio cañón. Quizás la observación de sus muretes sobre los que monta la cubierta moderna, pueda aclarar esa situación, porque al aire libre se expone a la contaminación y acumular más posos. No se conoce en toda la trayectoria del acueducto romano que haya algún tramo sin cubierta.

Foto 26. Castillo, casas pequeñas antiguas y muralla de Levante.

Esta imagen se adjunta para indicar el nivel a que ha circulado el canal desde la muralla, pasando por las faldas del Castillo, hasta llegar al puente romano y Peñón.

Foto 27. Muralla romana de Levante.

La razón de mostrar esta imagen se se debe al estado en que se ve la muralla romana de Levante. Se encuentra alterada en su aparejo y deja ver agujeros que indican su abandono o daños anteriores provocados (años 60).

Foto 28. Muralla romana de Levante.

Foto de detalle de la muralla para mostrar su estado de conservación. Se señala cómo se han ido adosando a ella las casas modernas sin respetar la protección que merece, Su aspecto ha sido mejorado restaurando los huecos aparecidos con el tiempo. El opus incertum es su técnica de construcción. El nuevo canal descubierto discurre por su cima.

Foto 29. Muralla romana de Levante.

Este lienzo muestra su aparejo más antiguo. El aparejo aún no ha sido restaurado y se observan huecos en el alzado como prueba. Aun persiste que se siga utilizando el entorno para uso doméstico privado. Casas modernas adosadas. A izquierda se ve el techo de tejas que es por donde le llegaba el canal procedente de la zona de Eras del Castillo. Desaparecerá y se abrirá el patio. Debajo hay in contramuro tapado por la maleza. No se puede examinar porque está en el talud y es peligroso entrar por la altura.

Foto 30. Muralla romana de Levante.

Según nos acercamos al canal nuevo, la muralla se va apareciendo más deteriorada hasta confundirse con las viejas casas de antaño. Las casas adosadas a la muralla es una constante. Se ven indicios de un torreón medieval adosado añadido posteriormente. Casas adosadas. Muralla que baja en altura y deja ver una especie de respiradero, como si le quitaran agua al canal que va por encima.

Foto 31. Muralla romana de Levante.

Esta foto marca claramente la potencia de grosor que tiene la muralla de Levante: 1.20 m. El espacio por donde discurre el canal se encuentra algo enlucido. Se ven añadidos por los actuales dueños de casas. Pude observarse la considerable altura que tiene la muralla en este tiempo.

Foto 32. Muralla romana de Levante.

Esta imagen viene a colación porque muestra la aparición, aunque muy deteriorada, de la muralla de distinta factura, que se dirige hacia la Cuesta del Carmen a nivel superior. A izquierda de la imagen en nivel superior se ve la rotura de la continuidad de la muralla porque en ese punto se realiza el enlace con el canal que viene desde Eras del Castillo.

Foto 32. Calle Cueva de Siete Palacios en sus diversos tramos.

En esta imagen se vuelve a la parte superior de la cuesta del Carmen y se entra en la calle Cueva de Siete Palacios. A izquierda se ve un muro de contención romano. Este paso es artificial. Paso artificial que inicia la calle citada en época moderna. A derecha se ve parte de la llegado de la muralla procedente de la parte baja de Cuesta del Carmen.

Foto 34. Calle Cueva de Siete Palacios en sus diversos tramos.

Muro de sujeción de una serie de galerías abovedadas que se encuentran en esta plataforma. Todas tiene el mismo módulo de anchura, largura y altura, pero están muy deterioradas por el mal cuidado y porque están ocupadas por gente muy humilde.

Foto 35. Calle Cueva de Siete Palacios en sus diversos tramos.

Lo más destacable de esta imagen son los pequeños bloques de viviendas que se han montado sobre fuertes estructura romanas y que están afrontadas. Sorprende que se haya dado tanta altura en un espacio protegido que no se respeta. A izquierda de la imagen, en un nivel algo inferior se encuentra el murallón romano misto al inicio de Cuesta del Carmen, con una altura de 12 m.

Téngase en cuenta que esta calle es artificial, se ha construido derribando estructuras romanas como en todos los existentes.

Foto 36. Calle Cueva de Siete Palacios en sus diversos tramos.

En este punto se inician las series de calles (que no lo eran) paralelas cuyas casas se encuentran hechas sobre la base de una galerías que, bien se ha conservado en su interior, bien han sido enrasadas y modificadas según las necesidades de los ocupantes. Lo que sí queda bien claro es que las calles han sido creadas rompiendo series encadenadas de estas galerías, como se notará en los restos que quedan en algunas de ellas.

Foto 37. Calle Cueva de Siete Palacios en sus diversos tramos.

Esta imagen muestra la espalda de una calle con galerías que se verán enseguida. Su anchura es la del módulo de la galería más común en este sector.

Foto 38. Calle Cueva de Siete Palacios en sus diversos tramos.

Detalle de la foto anterior para comprobar las dimensiones reales que tienen estas casas-galerías. Miden exactamente los mismo todas: largo, ancho y alto,

Foto 39. Calle Angustias Nueva.

La parte izquierda de la imagen muestra las fachadas consecutivas de unas casas que tienen en su interior galerías romanas abovedadas o restos de ellas. La propia anchura de la calle, homogénea, indica que toda ella ha sido derribada desde muchos años atrás para poder hacer accesible todas las casas-galerías. O sea, lo que parece una calle que responde a un plan urbanístico, no lo es, como se verá con más claridad en otros espacios. Aquí se cumple la constante de módulos de las casas existentes en estas alturas del pueblo moderno: El dato más corriente es la largura de las galerías y, sobre todo, la altura.

Las filas de casas antiguas que mantienen las mismas alturas, significan que la estructura interna de la casa moderna no le permite construir encima porque la galería, con sus medidas, no se lo permite. Y el hecho de que empiecen a aparecer más alturas significa que las galerías han sido enrasadas o modificada, como se verá más adelante.

En esta imagen conviene comentar algo que se ve sobre el inicio de la primera casa: su pared está blanqueada, pero en su interior se encuentra enlucida. Pero su aspecto ahora muestra que está bufada, y ello es consecuencia de que estructura interior es romana, y eso hace que cualquier añadido posterior a la argamasa romana sea rechazada por la composición de la argamasa moderna, que tiene cierta cantidad de salitre. Este fenómeno se verá con más claridad en otras calles de este mismo entorno.

Foto 40. Calle Angustias Nueva.

Inicio de la calle. La cal usada empieza a descarnarse y caerse por el citado fenómeno interno del muro. Se marca el fenómeno de los módulos de las casas porque todas tienen estructuras romanas en su interior. La calle sigue teniendo la misma anchura que al final. Y se hizo destruyendo desde antiguo la cadena de galerías que aquí existieron.

Foto 41. Calle Angustias Nueva.

Se sigue cumpliendo el módulo de las medidas de las fachadas y casas. Al inicio, la primera casa tiene algunos trozos de bufados por el componente salitre interno; la cal y enlucido se caen por efecto químico. al fondo de la calle va a ser posible ver y estudiar una de las galerías que no se ha utilizado como casa, o se ha dedicado para otro uso. Hay dos galerías adosadas, pero la exterior ha sido muy modificada.

Foto 42. Calle Angustias Nueva.

En esta imagen se observa el fenómeno del bufado exterior, pero lo más notorio es que, como la foto se ha hecho de noche, puede verse perfectamente el muro de la galería sobresaliendo desde el nivel de altura del muro que da a la calle. Este hecho indica que la galería, como mínimo, ha sido enrasada para poder construir habitación encima o, al menos, una terraza, como se puede ver. Este fenómeno doméstico es muy habitual en la parte superior: Eras del Castillo, como se verá.

Foto 43. Calle Angustias Nueva.

En este espacio se ve un hueco a izquierda que indica que su contenido ha sido modificado o destruido para abrir un acceso mayor hacia el interior, Asi tenemos casa montada encima de galería. Un hueco abierto para poder acceder. Ahí ha existido una galería de la que quedan solo los muros laterales o de fondo. Y construcción moderna montada sobre una galería paralela a la calle, como son todas.

Foto 44. Calle Angustias Nueva.

Puerta moderna de entrada a la galería que se encuentra en su fondo. Construcción moderna lateral. Muro de fondo construido a base de los escombros de una galería que ha sido destruida para abrir paso.

45. Calle Angustias Nueva.

Galería romana completa, con los fondos cerrados para no intercomunicarse. El módulo es el habitual en toda esta calle: 2.30 x 6 x 3.50 m. Hay que destacar que la cubierta o bóveda fue construida algo rebajada. La cimbra para montar la bóveda con su impronta no se puede ver porque ha sido muy encalada durante muchos años. Alguna de ellas sí la conserva en otro sector.

Con relación a los muros laterales cabe notar que muestran claramente cuál era la altura de ellos porque tienen un diseño algo basto. No encajaba muy bien la cimbra en el montaje de la bóveda. La galería no tiene suelo. Tiene roca madre como solería. Esto se debe a que, como su función era servir de «granero» para guardar los productos que aquí se elaboraban, tenían que eliminar la humedad y ello implicaba evitarla.

Los romanos conseguían este propósito eliminando la luz y la humedad, y mantener así una temperatura constante en todas las estaciones del año. Tal vez por esta cualidad se han conservado una gran cantidad de galerías romanas en todo el recinto industrial del conjunto.

Otro elemento que falta por ver es la entrada. Se ha comprobado que las galerías no están intercomunicadas; están aisladas unas de otras. El acceso lo tenían en la cubierta: un agujero circular o rectangular sobre su bóveda. Todas lo tienen, aunque en alguna no aparezca por razones de su estructura, como es Cueva de Siete Palacios, y alguna más de forma aislada. El objetivo de los romanos en esta industria era conseguir una temperatura constante todo el años. Y el procedimiento era el que se ha indicado.

Foto 46. Calle Angustias Nueva.

A la izquierda de la imagen hay estructuras que pertenecen a la calle interior. La anchura de los elementos romanos no daba espacio para abrir por ambas calles. Por eso no se ven puertas de acceso en su mayor parte.

Foto 47. Calle Angustias Moderna.

Esta calle es la más relevante en datos relacionados con lo que se viene comentando. En primer plano aparece una importante información: la calle no tiene casi suelo. Es roca madre lo que se ve en superficie. A izquierda se ve cómo tienen que poner varios escalones para acceder a la casa. Ello se debe a que el nivel del suelo está a al que da la roca.

Las galerías están sobre roca madre, como se ha dicho antes. Y aquí se suceden una serie de casas que tienen en común estar hechas aprovechando el espacio interior de una o dos galerías. Por esta razón, cuanto más antigua es la calle, más original será la estructura romana que se encuentre en ella.

Foto 48. Calle Angustias Moderna.

En esta imagen se muestra el otro extremo de la calle. Y aquí se ve por primera vez el fenómeno de la rotura intencionada de una gran cadena de galerías romanas para poder abrir calle y crear un acceso nuevo. No existía calle. Hubo que hacerla de este modo: rompiendo galerías abovedadas. A izquierda de la imagen se ve el final de uno de los muros de galería, quedando como testigo de lo que queda como parte de la serie encadenada a lo largo de toda esta calle. Y a derecha de la misma, hacia el centro, puede verse un resto de muro perteneciente a uno de los laterales de las galerías que han sido destruidas para abrir esta calle. Irrefutable. Su anchura es exactamente la de la calle. Anchura de la calle, igual a anchura de la galería.

Foto 49. Calle Angustias Moderna.

Final de la exposición de esta calle, con el muro testigo de la red de galerías en su parte izquierda, según esta imagen. Y, a derecha metros más adelante, muro romano adosado a otra galería, testigo de una de las galerías que han sido rotas para abrir calle.

ELEMENTOS CONTABILIZADOS EN EL SECTO D

1.-Murallas defensiva romanas y medievales o modernas. 2. Romana y moderna.

2.- Canal de agua romano: 1,

3.- Sistemas de galerías romanas abovedadas. 15 aproximadamente, entre las ocultas y abiertas.

4.- Piletas sa salazones no se han detectado.

ESTRUCTURAS INDUSTRIALES Y ALMACENAJE LOCALIZADAS EN EL SECTOR E

Nota sobre este plano. Este plano ha sido utilizado por inexpertos para reconstruir (a su entender) lo que pudo ser el teatro romano de una ciudad romana, porque están convencidos de que esto era una ciudad como todas. Es totalmente falso e ilusorio hacerse tal planteamiento. Aquí sólo se puede ver que una serie de galerías por azar se encuentran alineadas de tal forma que dan la impresión de formar un semicírculo, como si se tratara de la base semicircular del clásico teatro romano. Sin más descalificar tal opinión, invito a que examinen estas estructuras presencialmente y, después de examinarlas con detalle y conocimientos, se atrevan a seguir manteniendo tal opinión. Se tiene que decir que hasta profesores de la universidad han admitido tal opinión sin haberlo cotejado y comprobado. Por cortesía omito los nombres de las personas que han utilizado este plano para montar tal opinión que es desafortunada.

El autor.

Foto 1E. Calle Angustias Moderna.

A medio recorrido, a derecha de la imagen, se ve un muro romano que se encuentra adosado al de la vivienda del mismo sitio. Ese muro cerraba la calle porque pertenece a una galería que ha sido rota para abrir calle por necesidad. Aquí no existía ni cardo, ni decumanus. No hay ninguna estructura hipodámica ni romana evolucionada. No existe esquema urbanístico de ningún tipo. Y se han hecho modernamente muchas construcciones para canalizar esos residuos tan necesario. Son la salazones y sus canales de limpieza los que discurrían la mayoría de las veces por superficie, como se vera en la parte de Poniente.

No hay cloacas romanas, ni hay una ciudad romana. Hay otra cosas muy diferentes: una gran industria de salazones en la que trabajan esclavos y gente procedente del Norte de África, como ocurría en Baelo Claudia. En la parte baja de la ciudad actual se han construidos pozos de agua «potable» con cierta intensidad, pero casi siempre en la zonas bajas.Foto 2E Calle Angustias Moderna.

Esta imagen es un detalle de la foto anterior para poder explicar lo que se viene diciendo sobre las calles artificiales: este muro, partido por la puerta de entrada a la casa, no pertenece a la galería interna de esta casa, sino a la galería rota para abrir paso donde no había calle, sino galerías que, a lo sumo, se separaban con un espacio entremuros y poder facilitar la entrada a las galerías, entrada que se hacía por la cubierta, usando el agujero que se va a ver en casi todas las galerías. Tal pseudo paso se verá en la parte que contiene más galerías encadenadas que discurren por la calle Espaldas de San Miguel.

Foto 3. Calle Angustias Moderna.

Detalle de la foto anterior para remarcar la alineación de este muro partido y que pertenece a la nave destruida, no la interior, que no se ha podido fotografiar.

Foto 4.Calle Angustias Moderna.

Esta imagen ha podido ser recuperada y muestra el taponamiento de una galería que se encuentra en la misma calle, y que, en su interior contiene una galería que ha sido utilizada por el ayuntamiento para pasar por ella el alcantarillado entubado de la plaza superior. Cuando se vio no se pudo fotografiar, pero está ahí oculta.

Foto 5. Calle Angustias Moderna.

Continuación del tramos mostrado antes. La casa que hace esquina en esta imagen marca el inicio de las galerías que van alineadas hasta su final. Esta casa es un ejemplo de las galerías internas con alteraciones en su uso como vivienda. Es la misma línea de uso de estas estructuras, pero algo transformadas. El efecto óptico hace ver su anchura algo mayor de lo que realmente es.

Foto 6. Calle Angustias Moderna.

Esta galería enrasada se encuentra justo en la casa esquinada como se ha dicho antes. Esta modificación es la que se viene utilizando a través de casi toda la cadena de galerías, pero que no se han podido inspeccionar por falta de autorización de los dueños. Pero se sabe que están ahí por la información recibida. Aquí se trata de un trozo de la bóveda de la galería en cuestión.

Foto 7. Calle Angustias Moderna.

La alineación de la calle no es una casualidad. Cuando se fueron ocupando estas estructuras era obligado mantener la alineación. Los muros romanos son muy resistentes y era difícil romperlos. Optaron por mantenerlos y adaptarse a ellos. Sin embargo, con el tiempo, algunos decidieron derribar la parte mas débil, como es la cubierta abovedada, y levantar habitaciones encima, que es lo que incluso se viene haciendo ahora también. Sus módulos, sin embargo, no se pueden alterar. Se aumenta la capacidad, pero tan sólo hacia arriba.

Foto 8. Calle Espaldas de San Miguel.

Esta calle forma parte de la llamada Espaldas de San Miguel, porque se extiende casi paralela a San Miguel. Pero sufre en su trazado algunas modificaciones obligada por la configuración del terreno, que es accidentado. La roca madre es decisiva sobre todo para mantener una línea homogénea en su trazado. Aquí se puede observar: Línea de galerías encadenadas y que giran obligadas por el terreno. Muro de galería que ha sido rota por el uso moderno. Apertura de un pasillo rompiendo la estructura de muro romano para acceder a galerías interiores. Calle hecha a base de derribos de estructuras.

Foto 9. Calle Espaldas de San Miguel.

En esta imagen aparecen las estructura romanas bastante alteradas por uso indebido. Hay una serie de galerías de las que una ha sido transformada en lavadero y posteriormente en capilla religiosa. En la parte superior de esa galería hay restos de haber existido una estructura superior sobremontada por otro elemento cuyo destino se ignora. Es un espacio cuyo interior es galería transformada en habitáculo moderno. Abertura desde la calle con rotura incluida del muro que viene desde el «lavadero» para dar paso artificial a un pequeño patio cuyo espacio es el que ocupaba otra galería pequeña cuya roturan de paso a otra situada más hacia el interior, como se va a ver. Lavadero público cuyo origen es una galería romana rota con este fin.

Foto 10. Calle Espaldas de San Miguel.

Esta imagen muestra en lo que han quedado transformadas dos galerías paralelas. La parte de la escalera es la primera y la capilla, la segunda nave (que conserva su bóveda). Pero el aparejo romano ha quedado muy bien definido en lo que queda de fachada de la ermita. Y esta serie ha sido derribada en parte porque hacía falta para crear calle donde no había. Pero encima se observa que la construcción continúa, cosa que hace pensar que había otra estructura encima.

Foto 11. Calle Espaldas de San Miguel.

Se incluye esta imagen para observar con claridad como el pico ha abierto esta puerta artificial rompiendo un muro romano muy consistente en este elemento de almacenaje.

Foto 12. Calle Espaldas de San Miguel.

Imagen del pasillo abierto a golpe de pico. Se ve la consistencia del muro por su anchura. A continuación de ve el pequeño patio, antigua galería rota para dar paso a otras más adentradas. El pasillo mide unos 60 cm.

Foto 13. Calle Espaldas de San Miguel.

Detalle para observar: Estructura interna del muro paralelo a la calle (artificial) con una consistencia y dureza difícil de romper. Es un opus incertum con un caementum de dureza secular, como todo lo romano con visos de futuro.

Foto 14. Calle Espaldas de San Miguel.

Vista desde dentro hacia la calle. Base del muro roto. Muro interno de galería.

Foto 15. Calle Espaldas de San Miguel.

Vista frontal de la entrada a una galería interior que ha sido convertida en ermita. La parte superior muestra indicios de que continuaba su estructura a niveles de construcción de mayor altura.

Foto 16. Calle Espaldas de San Miguel.

Detalle de la parte superior de la pequeña galería para hacer notar su antigüedad por la forma algo deteriorada de su cubierta externa. En la parte superior se observa la continuidad de muros encima.

Foto 17E

Vista de la bóveda interna de esta galería. Obsérvese cómo se ha descarnado y caído el caementum de la estructura. El fondo blanco es un muro de separación de otra galería contigua que se continúa en la casa siguiente. La cadena de galerías en todo el castillo es continua. Si aparece rota es por causa de acción antrópica.

Foto 18. Calle Espaldas de San Miguel.

Detalle interior para resaltar cómo se ha deteriorado la cubierta de la galería.

Foto 19. Calle Espaldas de San Miguel.

Desde el pequeño patio interior, al lado de la reducida galería, se pasa a otra situada más adentro que conserva sus muros aunque la cubierta ha sido enrasada porque se ha construido encima recientemente. Es una nave paralela a la calle principal, que está situada, en plano, bastante cerca de una galería conservada en muy buen estado de conservación que se va mostrar en la exposición.

Foto 20. Calle Espaldas de San Miguel.

A continuación de lo anterior expuesto, gira la calle en sentido norte. Las casas que se ven de fachada se encuentran a un nivel de altura tal que han tenido que levantar grandes escalones porque la roca obliga a contrarrestar el desnivel. Téngase en cuenta que las galerías no tienen más suelo que la roca madre, y ello obliga a los ocupantes modernos, no árabes, a usar escalones altos en prácticamente todo el recinto donde se han encontrado.

Foto 21. Calle Espaldas de San Miguel.

A este nivel de calle se puede comprobar lo dicho antes. El suelo de la galería ocupada como casa necesita enlosarla para evitar humedad y equilibrio por la irregularidad del suelo. Efecto químico: el opus incertum del muro romano que en este punto hay, junto con la composición del material interior de opus caementicium, ha provocado que la cal o enlucido usado modernamente para cubrir esta pared, ha sido rechazado por el fenómeno anti-salitre que los romanos usaban en su elaboración. Se trata de un uso de arena de playa, y el revestimiento clásico romano lo ha rechazado. En otras galerías se ve, por no estar en caladas, que el óxido tiñe de un tono rojizo el aparejo de la bóveda. Este proceso se ha visto confirmado en el inicio de la calle Espaldas de San Miguel.

Foto 22. Calle Espaldas de San Miguel.

Como contrapunto a la foto anterior se muestra el momento anterior en que ese trozo de fachada aparece encalado, cosa que después será expulsado por el mortero romano.

Foto 23. Calle Espaldas de San Miguel.

En la parte izquierda de la imagen se muestra el muro romano ya encalado, que después se desprenderá. Galería habitada. Es obligado el escalonamiento por el desnivel del terreno rocoso sobre el que se asienta. La irregularidad del enlucido de sus paredes revela que los muros son de la galería interior. No han sido levantados para construir una vivienda moderna.

Foto 24. Calle Espaldas de San Miguel.

Continúa la calle con un suelo irregular sin alineación. Como todas las demás, el desorden urbanístico es una constante con raras excepciones. Las casas están sometidas a los elementos de almacenaje de toda esta zona. Lo único regular es el interior de las viviendas, porque su diseño se cambia desde el exterior, es decir, la calle. Cuando las galerías han sido destruidas por razones de habitabilidad, la calle se deforma aún más. Esa es la razón principal para entender que toda la secuencia que discurre paralela a calle San Miguel se haya considerado como única, aunque haya bastante sinuosidad en el recorrido.

Foto 25. Calle Espaldas de San Miguel.

Se está en la bocana final de la calle Espaldas de San Miguel, que viene desde la galería primera detectada en Espaldas de San Miguel hasta este punto, o sea, se inicia justo donde termina la calle Antigua. Es una entrada a esa calle mediante la rotura de muros romanos.

Foto 26. Calle Espaldas de San Miguel.

Esta calle se va a dirigir ya en otro sentido: llega hasta le misma Eras del Castillo. Aquí vuelven a verse los mismo módulos de medidas de las casas debido a que tienen galerías abovedadas en su interior.

Foto 27, Calle Espaldas de San Miguel.

Alteraciones de la calle porque se ha trazado siguiendo las exigencias del terreno en su acenso hacia Eras del Castillo, volviendo a aparecer los cambios de nivel del terreno. Y, en efecto, para poder acceder a viviendas, se tiene que construir altos escalones de acceso, porque su situación obliga.

Foto 28. Calle Espaldas de San Miguel.

Obsérvese la alineación de las casas: son todas de la misma medida por el uso de galerías en sus interiores. Este tramo de calle es, como muchos otros, artificial. Tiene las medidas de galerías romanas clásicas en esta zona.

Foto 29. Calle Espaldas de San Miguel.

A continuación se ve un trozo de muro que cerraba este acceso a Eras del Castillo. La indicación es el resto de ese muro romano que se continúa con el situado en paralelo en la casa siguiente, pero, con el tiempo, ha desaparecido de este paso ya hace muchos años. Y ahora lo acaban de hacer desaparecer para siempre. Este paso se hizo rompiendo al menos tres galerías antes de llegar a Eras del Castillo.

Foto 30. Eras del Castillo.

Esta casa tiene en su interior una galería transformada; pero, en su exterior aparece un muro recortado por necesidad de acceso, que está indicando que no pertenece a su interior, sino a un muro de la galería de la que formaba parte y que ha sido rota para abrir paso en esta calle.

El procedimiento de derribar galerías es una constante desde que la población modesta se dedicó, por necesidad, a ocupar los espacios superiores y también los inferiores, como se verá,

Nota. Esta casa con aspecto se ser parte de las cadenas de galerías romanas, ya se ha hecho nueva. Urbanismo ha dado permiso para reformar y construir algo que ya no tiene nada de lo que fue: se ha destruido todo, se ha hecho fachada moderna y «bonita», Un verdadero ataque al Patrimonio Cultural Local.

Foto 31. Eras del Castillo.

Esta vista de conjunto de todos los elementos que han sido muy modificados para facilitar el acceso a Eras del Castillo, pueden verse con claridad: Anchura de la calle de ahora, con capacidad para indicar que dos galerías se han destruido en su abertura de paso. Muro de fondo de la galería destruida, a izquierda, con una altura considerable de casi dos metros. Muro romano testigo, como resto, de la galería a la que pertenece. Fachada lateral de la galería interior en esta casa en estas fechas muchos años atrás, Ya no existe.

Nota del autor. Cuando se lean estas informaciones sobre cómo han evolucionado las estructuras y formas que se contemplan en el casco viejo de la ciudad de Almuñécar, pensarán que se está exagerando la situación. Pues no. Se invita a que lo comprueben. Almuñécar sigue siendo una variante industrial de enormes dimensiones hasta tal punto que casi nadie lo admite, tanto conocedor de la historia como personas que la desconocen. Se está investigando o se viene investigando desde décadas atrás. Lo mostramos es lo que había y ahora no existe ya. No se inventa nada. Se califica un elemento por sus características, pero con la imagen delante, y no con ideas inventadas.

Foto 32. Eras del Castillo.

Esta imagen se ha repetido, en detalle, porque es clave para indicar que constituye la línea de separación de dos galerías romanas en línea: la que se encontraba delante y la que está detrás formando parte de la casa posterior habitada.

Foto 33. Eras del Castillo.

Es es el inicio o final, según se mire, de dos series de galerías paralelas situada en la zona de Eras del Castillo, espacio bastante amplio y complejo. Esta zona, en época árabe estuvo ocupada por lo se ha venido considerando alcazaba de la ciudad en tiempos de ocupación. Ahí los restos que aparecerán en excavaciones practicadas en una de las partes de esta plaza. Los restos han desaparecido.

Lo extraño es que hayan perdurado las estructuras romanas sobre este terreno, como las series de galerías que se tienen a la vista. Pero muy cerca de esta plaza se conservan una estructura romana en forma de torreón que debió formar parte de algo de mayor representación y carácter defensivo. Pero no que nada romano, salvo un torreón que mide unos diez metros de altura.

Foto 34. Eras del Castillo.

Plaza Eras del Castillo. Barrio humilde. Las indicaciones señalan los extremos de las series de galerías que se han venido registrando. Todos los elementos construidos que se ven aquí tienen en sus interiores estructuras romanas reconvertidas y manipuladas. La plaza fue excavada en parte. Por eso no se dispone de una información completa o aproximada a lo que fue un alcazaba árabe. Al parecer, teniendo en cuenta nuestra opinión, se concluye que los romanos debieron tener sus estructuras defensivas porque en uno de los extremos de esta plaza y casi superando este nivel (cota superior 48) existe una construcción ya citada que, por tradición popular, se la llama «El Torreón», cuya base se encuentra en el extremo interno de una de las derivaciones de la calle San Joaquín, llamada San Joaquín II. Sin dudarlo, se piensa que era un lugar estratégico que debió tener su guarnición, al igual que el Castillo de San Miguel y otros espacios que requerían vigilancia militar ante la piratería mediterránea.

Foto 35. Eras del Castillo.

Imagen de las más antiguas en un lateral de Eras del Castillo. En ella se ha levantado plataforma para facilitar el acceso a las casas porque las galerías interiores tiene el suelo de roca madre sin modificar. A izquierda de la imagen había una antigua galería tan deteriorada que la han derribado totalmente. Detrás de ella hay una galería con una nave central y dos colaterales.

Foto 36. Eras del Castillo.

Encrucijada de pasos artificiales. 3.- final de la subida desde la parte final de Cueva de Siete Palacios y acceso a Eras del Castillo. 3.- Acceso a una serie de galerías situadas a ambos lados de esa callejuela. Al final de la misma aparecen estructuras relacionadas con calle Angustias Moderna.

Foto 37. Eras del Castillo.

Esta fachada lateral muestra parte de los cimientos de las galerías que se encuentra dentro. Pueden verse en el suelo parte de los cimientos de la antigua estructura romana que es de opus incertum.

Foto 38. Eras del Castillo.

A raíz del suelo, este muro muestra los restos antiguos que le han servido de apoyo para la construcción moderna, pero también ha usado el aparejo romano como se puede observar en la parte de la esquina de esta imagen.

Foto 39. Eras del Castillo.

Al final de esta calle -que es artificial- se encuentra la plaza Eras del Castillo como elemento principal; pero lo que muestra el primer plano de esta foto son las casas, todas de una planta o alguna terracita, que contienen en su interior galerías romanas; por lo que muestran casi todas las mismas dimensiones y, sobre todo, la altura. Las que tienen habitación en alto han sido modificadas enrasando su bóveda o destruyéndola. Sin embargo no muestran altos escalones de acceso porque aquí el fenómeno es inverso: las galerías bajan escalonadas.

Foto 40. Eras del Castillo.

Esta plaza tiene su explicación por la necesidad de tener un acceso desde arriba a los interiores de todas las casas que se encuentran en su entorno, amén de que se tenía con construir un canal de desagüe desde su parte superior porque en tiempos de lluvias no había aliviadero alguno. Y tal aliviadero se puede observar entre los números en la esquina central de la imagen. Y justo debajo de de esa esquina se encuentra una galería romana anteriormente citada por donde los Servicios Municipales introdujeron las tuberías de desagüe antes citadas. Y esta cita nos recuerda que la cadena de casas rectilíneas que se encuentran debajo en la calle Angustias Moderna, mantiene una relación directa con este nivel.

Foto 41. Eras del Castillo.

En esta placeta artificial, hecha siguiendo la técnica medieval de romper estructuras, se muestra en la esquina de fondo, el lugar por donde se ha montado el desagüe moderno de lluvia y aguas residuales de las viviendas de esta placeta. En la esquina central se indica la salida del agua para la que se ha usado el espacio de una galería abovedada que se encuentra justo debajo y que da a la calle Angustias Moderna. En la derecha de la imagen hay un muro moderna montado sobre una galería que se encuentra debajo y da a la calle Angustias moderna. El suelo es moderno y debajo hay roca madre.

Foto 42. Eras del Castillo.

Esta imagen señala el camino de la vía de desagüe en superficie de esta placeta. Al fondo y final de observa el filtro de desagüe penetrando en la cueva que se encuentra debajo del agujero para salir subterráneamente al nuevo alcantarillado de la calle inferior, Angustias Moderna. Sobre la pared derecha de la imagen se deja ver el aparejo de las galerías de las casas alineadas de la calle Angustias Moderna.

Foto 43. Eras del Castillo.

En esta imagen cabe destacar el muro de la fachada izquierda, donde se ve cómo sobresale el muro en su base, pero que no es de la galería interior de la misma casa, sino de la siguiente, que ha sido destruida tal vez por necesidad de espacio para acceder a las dependencias laterales consecutivas.

Foto 44. Eras del Castillo.

Muro de material moderno levantado sobre otro de origen romano. A izquierda se puede observar una bajada artificial moderna a uno de los pequeños huertos-jardín con subida desde la casa a la terraza que se encuentra encima. Pero se puede observar que los muros fuertes (romanos) están ahí formando parte de las galerías que han sido rotas para este desahogo doméstico. Esta casa con huerto da a la calle Angustias Moderna y es una de las que tienen galerías interiores o más de una, porque el huerto no está por casualidad sino por derribo de estructuras romanas.

Foto 45. Eras del Castillo.

Están numerados los puntos claves de este espacio doméstico, pero, en realidad, lo único que se puede considerar son sus estructuras murales. porque son las que marcan nuestra finalidad sobre comentar qué es lo que tenemos a la vista; son galerías-almacenes. Lo que sorprende es que esta zona tan amplia no ha dado ningún material de salazones. Ello lleva a pensar que la zona de Levante se destinó más al almacenaje que a la fabricación de productos de pesca. Y la zona de Poniente se destina principalmente a la manufacturación y parte al almacenaje o mixto

Foto 46. Eras del Castillo.

En esta imagen se puede comprobar lo que se viene afirmando acerca de la existencia de las galerías interiores en las casas, a la vista de estas fotos de interiores. Nada más evidente y demostrado. Estas imágenes de los interiores desde un punto elevado nos hace ver lo que realmente hay dentro de las casas en toda esta zona. La imagen comentada muestra dos casas con sus respectivos huertos y sus muros que lo avalan.

Foto 47. Eras del Castillo.

En la misma zona y visible desde la plaza del inicio de esta parte, se encuentra otro de los huertos dentro de casa, con sus respectivos muros interiores aunque estén parcialmente cubiertos por las plantas.

Nota. Una buena excavación dejaría aclarado para siempre qué es lo que ha existido desde el siglo V de de nuestra Era como herencia del mundo romano y por qué resulta tan insólito y no comparable a ninguna otra zona del Mediterráneo.

Foto 48. Eras del Castillo.

Como variación de las imágenes anteriores, éstas han dedicado sus espacios, de igual o mayor tamaño, a levantar intrincadas estructuras con elementos modernos añadidos. El fenómeno terraza se sigue utilizando en sus galerías y los muros romanos que quedan aún de pie, no dejan de serlo por su estructura material principalmente.

Foto 49. Eras del Castillo.

En esta imagen queda bien evidente: muro romano de fondo revestido y muro moderno montado. Pero el de primer plano es inconfundible: se trasluce el aparejo interior romano.

Foto 50. Eras del Castillo.

A propósito de este paso hacia la calle Cueva de Siete Palacios, se gira a izquierda para adentrarse en el plano de esta zona, donde existe la citada problemática de la supuesta ubicación del buscado teatro romano de Sexs.

Foto 51. Eras del Castillo.

Como se viene diciendo, estas calles actuales son el resultado de la abertura por necesidad, de paso entre el intrincado laberinto de estructuras romanas. A derecha: muro de casa con galerías en su interior. Se encuentra junto a otra situada a la salida este de la Cueva de siete Palacios, que se verá en la zona de la Cueva. Y es una cadena curva de estructuras que se dirigen hacia Eras del Castillo.

Foto 52. Eras del Castillo.

Aquí se indica la continuidad en rampa de lo anterior. Saliendo por la puerta Este de la cueva de Siete Palacios, se sube finalmente a la zona de Eras del Castillo, el punto más elevado del complejo. Si se observa el ascenso, las casas necesitan varios escalones porque el suelo de la galería lo requiere, dado el desnivel a que se encuentra. Dentro de la puerta se encuentran galerías emparejadas pero retocadas modernamente y que se sitúan encima de parte del espacio de las galerías de Cueva de Siete Palacios. La Galería más reciente se descubrió recientemente y está incompleta por transformación modernas.

Foto 53. Eras del Castillo.

Esta calle en rampa se dirige a la zona superior en Eras del Castillo. Y es de observar la altura que se ha tenido que aplicar para el acceso a las casas por razón del suelo de la galería interior. Es necesario superar los dos metros para poder acceder. Detalle sobre escalón que se ve en la fachada izquierda de la imagen. Sin embargo, la fachada de la derecha está a casi ras del suelo, porque la parte más usada se encuentra justo detrás de la casa que da a la otra calle y por donde está en acceso principal. Los módulos no cambian: una o dos galerías forman la capacidad doméstica utilizada por su dueños.

Foto 54. Eras del Castillo.

Vista desde otro espacio de la calle en anterior. Se muestra para hacer ver lo que se encuentra en su fondo superior. Es una galería de ciertas proporciones con dos interiores colaterales. Se taponó cuando sus dueños dejaron de vivir ahí. Lleva muchos años así. En el número se continúan hacia la plaza que se encuentra justo encima de Cueva de Siete Palacios, donde van verse una gran cantidad de galerías grandes y pequeñas, pero se verán en una con más concentración de elementos romanos.

Foto 55. Calle Angustias Moderna.

En esta imagen las galerías se suceden en estas casas de forma escalonadas para salvar los desniveles. Los realces han sido construidos por los propietarios, porque la diferencia de altura se había conseguido mediante las roturas realizadas en la ocupación de estos espacios. Es una clara intervención antrópica. Todo este pasillo central se ha abierto a golpe de pico porque era imposible crear un ambiente de habitabilidad si no se hacía. En la parte frontal de la imagen se tuvo ocasión de ver una galería con la bóveda desmontada o que se habría caído, y que después acabó convertida en casa moderna. pero sus muros fueron reutilizados en el alzado. Fui testigo de esa actuación. A izquierda de la imagen los muros de las casas son de galerías que han sido modificadas, pero no de forma moderna: las galerías se encuentran en los interiores.

Foto 56. Calle Angustias Moderna.

Esta imagen se sitúa en años anteriores. Se trata de una mejora de la vivienda. Pero lo que sí se debe analizar son los materiales de derribo de algún muro de la casa. Hay Sillares de piedra caliza toba. Parte de esta fachada puede ser de época romana, aunque da la impresión de que no. Los materiales usados en la reparación no son de nuevo uso, sino romanos reutilizados.

Foto 57. Calle Angustias Moderna.

Esta imagen muestra, a todas luces, que en el alzado de esta casa se ha utilizado material romano, o sea, se ha levantado un muro aprovechando los escombros de un derribo anterior. Claramente es un sillar de piedra toba probablemente procedente de otros edificios derruidos y usados como cantera.

Foto 58. Calle Angustias Moderna.

En este mismo lugar las casas que se encuentra de frente, dada la altura a la que se encuentran las galerías, tienen que usar escalones altos de acceso porque la pendiente los obliga, pero los muros exteriores manifiestan en su estructura de qué está hecho su aparejo externo.

Foto 59. Calle Angustias Moderna.

Esta pequeña casa ocupa exactamente el espacio de una galería. En su interior hay muros romanos que le dan consistencia a toda su estructura.

Foto 60. Calle Angustias Moderna.

Paso artificial realizado con rotura de las estructuras. Restos sobre el suelo que sobresalen del muro de la casa en la que se encuentran. Igualmente, restos de elementos destruidos para dar paso a viviendas que se encuentran en el rincón bajo de este pasillo. Pasillo hecho a pico para poder acceder. Muro romano muy encalado y que muestra en su base los restos de roturas que forman parte del mismo derribo situado enfrente. A izquierda, paso artificial rompiendo varios muros o galerías romanas. Esta es la zona donde se manifiesta con más claridad cómo han sido rotas varias galerías por necesidad de paso.

Foto 61. Calle Angustias Moderna.

La imagen muestra la creación de paso artificial, un muro roto hasta casi la roca madre, suelo que cerraba todo este paso y se encadenaba a las galerías de enfrente y un curioso agujero de desagüe sobre la base de la galerías, construido y abierto a un nivel superior del suelo.

Foto 62.

En esta mismo zona se puede ver cómo sobresale del muro de galerías interiores la plataforma sobre la que se montaban estas galerías en un suelo tan irregular. Se puede ver con toda claridad que esta calle de paso es totalmente abierta a pico para poder pasar. Se ven los restos en los materiales que lo confirman.

Foto 63. Calle Angustias Moderna.

Vista general de este paso-calle con las ruinas sobre el suelo a ambos lados. Este punto se puede comentar porque la foto prueba su existencia. Hoy ya ni existen los restos de rotura de paso por este lugar.

Foto 64. Calle Angustias Moderna.

Pasillo-corredor abierto a golpe de pico, para acceder a vivienda o galería, Es más que evidente que se trata de galerías modificadas o rotas en superficie por necesidad de ocupación como vivienda de las formas aquí existentes.

Nota. En este pasillo se encontraba una casa de las consideradas normales en este tipo de vivienda. El Ayuntamiento de estas fechas ha autorizado construir nueva vivienda y las estructuras que se ven aquí han dejado de existir. Nuevo atropello al Patrimonio Histórico-Cultural de la ciudad.

Foto 65. Calle Angustias Moderna.

En esta imagen cargada de restos romanos, es donde se ha practicado y llevado a cabo el atropello cultural ya irreversible. Las galerías interiores han desaparecido para siempre por permisión municipal. Pero las fotos son testigo de su existencia.

Foto 66. Calle Angustias Moderna.

Según se viene por el pasillo artificial anterior, encontramos esta bajada con escalera artificial para llegar hasta una de las galerías que se encuentra en el interior de estas estructuras. Los restos de mampostería romana son evidentes. No obstante, tiempos atrás, para la ejecución de tales obras, se rompieron estructuras antiguas.

Foto 67. Calle Angustias Moderna.

En ese mismo espacio de la foto anterior, girando a izquierda se ven los muros romanos rebajados por la construcción moderna. Esos muros forman parte de las galerías ocultas en los interiores de las casas que dan a la calle Angustias Moderna. Lógicamente el espacio vacío que se ve aquí no es otra cosa que una galería que ha tenido que eliminarse para facilitar el acceso de la nueva vivienda.

Foto 68. Calle Angustias Moderna.

Comunicada con el pasillo roto anterior, vemos a esta galería romana convertida en cocina de una vivienda. Su estado de conservación es bueno quizás por estar muy escalada. Es una pieza de las que mejor se han conservado. Lo que sorprende es que los alicatados que tiene en ambos lados no hayan sido rechazados por la estructura interna de los mus muros romanos, como ha ocurrido en otros sitios del conjunto. Aquí se puede apreciar muy bien las medidas que tenían estas estructuras romanas, pero tan solo se pudo tomar la imagen.

Foto 69. Calle Angustias Moderna.

En línea con la galería anterior hay otra habitación que forma parte de la casa, y que es una galería ya sin bóveda, probablemente para poder montar sobre sus muros la habitación que se ha construido encima, cuyo acceso se ve con una escalera.

Foto 70. Calle Angustias Moderna.

En esta imagen se muestra el interior de una casa que contiene un pequeño huerto. Se puede ver el antiguo y original muro romano que da apoyo a toda la casa y alguna otra colindante, Se ven las comunicaciones entre casa y huerto. Se han utilizado materiales de derribo romano para estas modificaciones.

Foto 71. Calle Angustias Moderna.

Muro interior en el huerto, de origen romano: Suelo del jardín; muros de separación entre huerto y las casas que dan a la calle Espaldas de San Miguel. Justo detrás se encuentra la galería que ha sido transformada en ermita.

Foto 72. Calle Angustias Moderna.

Espacio de separación entre el huerto y las casas colindantes.

Foto 73. Calle Angustias Moderna.

Muro romano que separa el huerto de las casas.

Foto 74. Calle Angustias Moderna.

Éste es el primer y único caso en el que hemos podido acceder a unos de los pequeños huertos interiores de este conjunto de galerías. En su interior se detectan los muros limítrofes con las estructuras que lindan con las casas vecinas, y que se relacionan materialmente con todas ellas, puesto que los muros fijan las medianerías.

ELEMENTOS CONTABILIZADOS EN ESTA ZONA

Después de el recorrido por este espacio y su descripción pormenorizada, se llega a la conclusión de que tan sólo registra elementos de almacenaje. Estructuras industriales no se han detectado ni siquiera destruidas o en mal estado. Pero hay que decir que tal vez, en los patios interiores que se han visto, podría haber aparecido algo si se hubiera permitido realizar un exploración con excavación. Y elementos defensivos tampoco, ya que el sistema de murallas se encuentra alejado de la zona explorada, y el terreno no lo exige dada su distancia de separación.

Galerías localizadas y visitadas: 17 Existentes, pero con problemas de explorar, aproximadamente más de cien, pero en los interiores de las casas. No se permitía la verlas, pero todos los datos de módulos eran bien visibles y ponderables para valorarlas. Si se leen las indicadas en plano, se podrá tener una idea aproximada del número existente.

Es lógico entender que las estructuras de almacenaje aparezcan en la zona de Levante, y la mayoría de los sistemas industriales, en la zona Oeste y Norte.

ESTRUCTURAS INDUSTRIALES LOCALIZADAS EN EL SECTOR F

La sección de la parte del pueblo que aquí se expone, desde el punto de vista del número y calidad de los elementos arquitectónicos que muestra, se puede considerar uno de los más representativos por la calidad y variedad de las formas de galerías que van a ir apareciendo. Y por la forma y estructura de los aparejos que se podrán ver, desde el punto de vista cronológico puede considerarse de los más antiguos. Otros, como la zona de Morería Alta y Baja, en la vertiente Oeste sin embargo en la investigación, ha dado como resultado elementos abovedados cuyo aparejo dispone a considerarlos más tardíos en su aparición y catalogación. Pero la zona de la Plaza constituye la razón de ser y existir de todos los demás, ya que es el encargado de mostrar algo para explicar lo imprescindible que era para que todos los demás existieran: La traída del agua y su distribución, y esto aparte de la zona de la Iglesia, que será quien proporcione el citado elemento a todo el conjunto industrial de la gran factoría de Sexs.

Dicho esto, se inicia la exposición de los elementos de la zona marcada en el plano informativo.

Foto 1. Calle San Miguel.

La calle San Miguel es la más amplia de todo el barrio del Castillo. Pero no es un espacio que se considere originario o moderno. No es eso. Se trata de la galería más grande que ha existido en el casquete superior. Tiene unas proporciones mayores que la cueva de siete Palacios. Cuando se hicieron las canalizaciones de alcantarillados nuevos, aparecieron muros de proporciones fuera de lo normal. Todo fue destruido y llevado a vertedero. Se supone que dejarían bastante material enterrado. Pero hace pocos años se derribó una de las casas de la fachada izquierda de la imagen, y hete aquí que apareció el muro maestro de una construcción romana por sus características, y dio que pensar y discurrir sobre su significado. Se trataba realmente del muro lateral de esa supuesta y lógica gran galería montada en ese lugar. El nuevo muro a raíz de suelo, recorría -porque se veía su prolongación- toda la calle. Entonces se fueron examinando la estructura de las casas que se encuentran en esa calle y se vio que el punto donde se apoyan es el mismo en todas. Pero quien mejor lo expresa es la imagen que se mostrará después, y se aclarará un dato ofrecido: la Cueva de Siete Palacios era cuatro veces mayor de lo que hoy se ve. Y se verá en fotos y reflejado en planos.

Foto 2. Entrada a calle Espaldas de San Miguel.

Imagen de acceso a una cadena de galerías de cierta extensión. Entre la calle San Miguel y Espaldas de San Miguel hay un desnivel superior a la altura de galería. Y justo por debajo de esa serie de galerías, se encuentra la gran cadena de calle San Miguel, que debieron ser de mayor altura por la que se ha dicho en foto anterior.

La calle Espaldas de San Miguel ha sido hecha como las demás: destrucción de galerías para abrir paso. Se podrá ver con claridad.

Foto 3. Calle Espaldas de San Miguel.

Al inicio de la calle, en esta imagen se muestran dos elementos: una galería al fondo en buen estado de conservación, y restos de otra pero frontal, que fue de mayor envergadura. Entre las indicaciones se muestra lo que queda de la primera: sólo el muro de fondo (encalado) y los salientes de los muros laterales que formaba el cuerpo central de largura de la galería. Se supone que esta galería cortaba totalmente el paso a la que se encuentra detrás. No estaban comunicadas.

Foto 4. Calle Espaldas de San Miguel.

Esta imagen muestra el paso moderno de acceso a la galería de atrás. Se ha hecho utilizando los materiales de la galería rota. La galería destruida es mayor que las que formas de Cueva de Siete Palacios. Fondo de la galería destruida, de frente y encalada porque anteriormente se utilizó como vivienda moderna. Muro lateral apoyado sobre la galería de atrás que forma parte del torreón romano cuya base principal se encuentra en el fondo de uno de las ramales de la calle San Joaquín II. En la cima de este torreón se pueden ver estructuras de hormigón romano. Se cree que era más alto de lo que se puede ver. Su altura más fiable será mostrada más adelante en la zona de Cuevas de Siete Palacios.

Foto 5. Calle Espaldas de San Miguel.

En esta imagen se presenta la fachada de la galería de fondo con un aparejo de piedra vista tipo opus incertum bien conservado. Es el opus incertum clásico. La entrada que se ve, lógicamente se ha hecho a golpe de pico. Se sabe que estas edificaciones no disponían de acceso directo, como una casa, sino un tanto oculto, que se verá a continuación.

Foto 6. Calle Espaldas de San Miguel.

Una vez en el interior de la galería se ve la cubierta no muy encalada y con el muro de fondo que la separa de la estructura que se encuentra detrás en calle San Joaquín.

Foto 7. Calle Espaldas de San Miguel.

Esta foto en color nos aclara que se vean con cierta evidencia tanto el encalado escaso de su interior como los rasgos que dejó la cimbra de construcción sobre su bóveda. y también restos claros de oxidación producidos por el agua que se podía filtrar y que, de hecho, ocurrió. Se cree que sería porque las estructuras superiores han sufrido abandono con el tiempo y, sobre todo, tras el abandono de esta plaza romana a la caída del Imperio. Este fenómeno se ha comprobado en Cueva de Siete Palacios antes de que se impermeabilizara.

Foto 8. Calle Espaldas de San Miguel.

Esta galería requiere no sólo el comentario anterior, sino también una explicación sobre qué es lo que ocurre en ella, como se ve en la imagen. Se ha llegado a la conclusión de que esta galería es anterior a las estructuras anejas a ella por el siguiente hecho: Se ha construido un torreón (romano) justo al lado de ella; pero necesitaba dicha construcción una base de apoyo fuerte. Pues bien, se decide apoyarse en algo para dar consistencia y lo hacen partiendo la galería afín, como se puede ver en la imagen. La otra parte de esta galería, ya partida, se encuentra al otro lado de esta construcción, y está donde se ha dicho antes: en calle San Joaquín. Se comprobará esto cuando se exponga lo que se encuentra en dicha calle.

Foto 9. Calle Espaldas de San Miguel. En el centro de la bóveda de esta galería se encuentra el punto de acceso. Es muy raro que se encuentre una sin abertura en el techo. Donde hay varias bóvedas como Cueva de Siete Palacios, la mayoría no tiene abertura. Aquí vemos una especie de tapón rectangular. No se ha encontrado ninguna galería que teniendo acceso arriba, esté vacío el espacio de anclaje. Todas las galería abovedadas tiene tapón de obra en el techo. Ninguna tiene puerta de entrada. En cueva de Siete palacios parece que hay una puerta, pero no lo es. Se trata de un paso de un conjunto de naves a otro que se encuentra ligado a la Cueva.

Foto 10. Calle Espaldas de San Miguel.

El espacio neutro situado entre dos muro de la parte exterior de la galería, fue ocupado por una persona como vivienda durante muchos años. Hoy ha sido despejado ya y queda como un vacío de separación entre las serie de galerías, o un pasillo externo para acceder a las mismas.

Foto 11. Calle Espaldas de San Miguel.

Según se dijo al inicio de esta serie de galerías, el hueco que se ve es un pasillo de acceso y tan sólo se pueden ver los muros laterales, que no pertenecen a galería sino a un acceso a estos elementos. Y a derecha de esta imagen se ve que se inicia una callejuela que no es otra cosa que el espacio creado para poder pasar a través de todas estas estructuras a lo largo de la cadena de galerías, pero que no es pasillo antiguo sino calle moderna de acceso.

Foto 12. Calle Espaldas de San Miguel.

La galería existente en este espacio era grande. Ha sido destruida por la explicación de crear espacio de paso. Y hasta tal punto fue tocada que la pared izquierda del pasillo es moderna porque se ha derribado gran parte de los muros romanos que cortaban este acceso por su dimensiones, pasando sobre las formas que se ven a derecha de la imagen. Estas galerías grandes llegaban hasta encontrarse con el gran conjunto de calle San Miguel.

Foto 13, Calle Espaldas de San Miguel.

Vista del paso artificial realizado con derribo de estructuras romanas, como galerías iguales a la anterior. Paso artificial (hoy muy remodelado). La pared izquierda es romana, y la pared derecha, moderna. Muro moderno levantado sobre ruinas romanas. Todo esto ha ha cambiado recientemente.

Foto 14. Calle Espaldas de San Miguel.

Mismo pasillo artificial anterior, pero visto desde el punto opuesto. Ha sido algo remodelado en parte. En primer plano se tiene un estrechamiento de muros romanos que han sido rotos para poder pasar en la creación de una nueva calle.

Foto 15. Calle Espaldas de San Miguel.

A mitad del pasillo artificial abren una entrada, también artificial, para acceder, mediante otro pasillo, a la cadena de galerías antes citada y que van alineadas. Lo que significa que todo el espacio libre que resta también estaba construido con galerías del mismo módulo y forma de las galerías generales. Y este acceso marca sobre su suelo señales claras de las divisiones de espacio para tales estructuras. Hoy estas construcciones interiores se encuentran en manos privadas tales que no se pueden visitar, y no se sabe siquiera si se conservan como se vieron a la hora de realizar este trabajo de investigación arqueológica haces varias décadas.

Foto 16. Calle Espaldas de San Miguel.

Este pasillo divide en dos el espacio que estuvo ocupado por galerías. Los indicios se encuentran en el suelo del terreno, y que tiene de base roca madre. Las puerta laterales que se ven son el acceso a galerías de las que alguna ha podido ser estudiada y catalogada.

Foto 17. Calle Espaldas de San Miguel.

Espacio de separación entre galerías en este mismo pasillo. Su aparejo está completamente construido con sillarejo casi sin argamasa. En su interior sí hay caementum para dar cohesión a la estructura. Está poco encalado. La altura de este pasillo original romano es de más de seis metros, aunque en la foto no se aprecia bien.

Foto 18. Calle Espaldas de San Miguel.

Esta galería se encuentra paralela a los muros del pasillo intermuro anterior. Sus medidas son inferiores a las de la primera de las galerías en este sector. Se encuentra enlucido y encalado.

Foto 19. Calle Espaldas de San Miguel.

Esta imagen muestra el interior del muro romano de la calle artificial y del acceso a las galerías. Es lo que se considera como puerta de entrada, pero por dentro. Se han construido al menos dos alturas en este espacio. Pero toda la base está formada por elementos romanos.

Foto 20. Calle Espaldas de San Miguel.

Al fondo del pasillo artificial visto antes, hay una entrada a la galería con puerta abierta a golpe de pico. En su interior se encuentra esta pieza romana muy encalada. Sus medidas son las más normales dentro de las variaciones que se producen en los módulos y además no es rectilínea sino que gira en su diseño unos grados a izquierda. Y, como se ha dicho en su finalidad de uso desde el principio, gracias a que la gente humilde es quien las ha ocupado, estas estructuras de uso tan continuado y sin paralelos morfológicos existentes, han podido sobrevivir hasta nuestros días.

Foto 21. Calle Espaldas de San Miguel.

En esta imagen se muestra el otro extremo de la misma galería. E indicamos que no están comunicadas con las siguientes. Su acceso es por entrada en la parte superior de su bóveda, aquí no visible porque se encuentra demasiado enlucida y encalada. Su suelo es moderno porque, como se viene explicando, su base está sobre roca madre, precisamente para evitar la humedad.

Foto 22.

Con esta foto de detalle se quiere insistir en la base de la calle: prácticamente inexistente. Aflora la roca madre y los muros romanos se montan sobre la misma. Y se ve muy bien como han tenido que romper la estructura romana para poder pasar a ocupar esa zona.

En estos momentos ese paso se encuentra muy retocado por la remodelación de las calles del pueblo. Esta foto se puede considerar histórica porque raramente se podrá volver a ver el estado primitivo de esta «calle».

Foto 23. Calle Espaldas de San Miguel.

Contemplada desde el fondo opuesto, se observa que esa calle se ensancha y nos muestra la anchura que le corresponde a una galería que ha sido destruida como se verá. A izquierda tenemos el muro de la galería destruida. De frente el alzado bastante elevado de las que se encuentran en el espacio descendente de la parte anterior y que tienen galerías, pero no de esta secuencia que se inicia aquí. A derecha, punto de acceso a otra galería interior que conecta en línea con las anteriores. En el centro, indicación del centro de la galería destruida que ocupaba todo este espacio. Se cree que eran dos consecutivas por los restos que se ven.

Foto 24. Calle Espaldas de San Miguel.

Imagen de detalle. El banco de asiento que se ve debajo del muro romano frontal es moderno. Justo a su derecha está la entrada hacia dos galerías interiores: una convertida en habitáculo, y la la que va hacia el interior, como dormitorio. Sus medidas son las mismas.

Foto 25. Calle Espaldas de San Miguel.

Esta imagen muestra la fachada de la casa que tiene en su interior dos galerías medianas: al exterior elementos de la primera parte de su interior. Muro romano enlucido con mortero moderno de la galería que hay en su interior. Al fondo en altura se ve un resistente muro romano que se eleva desde las galerías interiores. Estas construcciones daban a la parte sur de Eras del Castillo que se encuentra detrás.

Foto 26. Calle Espaldas de San Miguel.

Entrada artificial a las galerías interiores. El muro es divisorio entre las construcciones en pendiente y las de rellano, como ésta última.

Foto 27. Calle Espaldas de San Miguel.

Galería abovedada romana en el interior de la calle artificial. Sus medidas son del mismo módulo frecuente en esta zona. Se utiliza como dormitorio. La antesala de esta pieza es otra galería transformada a la misma entrada de este espacio.

Foto 28. Calle Espaldas de San Miguel.

En ese mismo espacio que antes se ha considerado base de una galería grande, se puede comprobar cómo en una de sus muros que dan al interior de la calle, se nota un escalonamiento para indicar que era de grandes proporciones, tal como ocurre en Cueva de Siete Palacios. Aquí se puede añadir que, por su parte exterior, daba a calle San Miguel, precisamente donde hay constancia de una cadena de galerías de grandes proporciones como se verá en Cueva de Siete Palacios. La parte de este muro que se ve destruido se hizo para ganar espacio desde la casa situada en la calle San Miguel, que se encuentra detrás.

Foto 29. Calle Espaldas de San Miguel.

Imagen que marca el final del muro anterior y cierra lo que fue la galería en este espacio. Aquí hay un cierre similar al visto anteriormente en todo este espacio,

Foto 30. Calle Espaldas de San Miguel.

Vista de todo este fenómeno arquitectónico donde se puede ver en el muro romano de la galería rota, a derecha; al fondo, muro romano de una galería rota; paso artificial mediante rotura del muro de fondo de la galería. En la parte izquierda de la imagen se encuentra la puerta moderna de acceso de otras galerías pequeñas en línea con las anteriores; y a derecha, se aprecia el muro romano derribado para levantar una casa moderna que da a calle San Miguel.

Foto 31.

Entrando por la puerta artificial de la foto anterior, vemos la bóveda de esta galería que ha sido rebajada con un falso techo, y no han destruido la bóveda a pesar de que se ha construido un piso encima. El módulo de dimensiones está dentro de los tipos más corrientes.

Foto 32. Calle Espaldas de San Miguel.

Este pequeño baño forma parte de la otra galería de esta secuencia, ambas consecutivas. Aquí, la parte ocupada por la bóveda ya no se ve porque el rebaje de la misma no permite los arranques de la misma, o sea, el espacio que abarca una cimbra.

Foto 33. Calle Espaldas de San Miguel.

Pasado este corte de galerías en calle artificial, se observa cómo se ha abierto paso por este punto, y los restos de aparejo quedan bien patentes sobre el muro en suelo. En este sentido la roca madre tiene una escasa capa de hormigón moderno casi totalmente desgastada.

Nota. Hay que decir que este trabajo se lleva haciendo con la toma de los datos que se muestran desde los años setenta del siglo pasado. Y, por tanto, conviene aclarar que en los años que han mediado, todas o casi todas estas estructuras han sufrido las inclemencias de los malos tiempos, alterando los interiores de las galerías, eliminando restos superficiales muy importantes como testigos de la la existencia de algo que marca una etapa de la historia local difícil de catalogar, porque no se dispone de información similar, o si ha existido en otro lugar, ha desaparecido. En resumidas cuentas: no se dispone de elementos paralelos para poder establecer si este fenómeno arquitectónico es único o tiene otros similares o iguales. Por lo pronto, no se ha detectado nada.

Foto 34. Calle Espaldas de San Miguel.

Esta imagen completa a otra anterior, la 30 para señalar con más claridad los muros romanos encalados y la altura que alcanzan. Encima de ellos se han montado algunas estructuras modernas (desde 1 a 6).

Foto 35. Calle Espaldas de San Miguel.

Aquí se muestra la otra cara del paso artificial, pero para indicar el paso hacia otras de las galerías que marcan esta zona. En realidad en puerta a derecha sobre-elevada se señala la entrada a otras de las galerías interiores de la cadena de esta falsa calle. Se han roto muchas e importantes galerías romanas en este recorrido de los almacenajes.

Foto 36. Calle Espaldas de San Miguel.

El interior de estas dos galerías muestra una parte con la bóveda enrasada, o bien cubierta con un entarimado de madera que no deja verla, y en la falsa puerta se ve el muro compartido entre amabas con cierto grosor (60 cm). Su anchura queda a la vista (2,50 m), sobre todo a la entrada artificial de la galería interior. El grueso del muro de la entrada está indicando la existencia de dos encadenamientos de galerías en paralelo en este tramo de espacio que tiene una base muy irregular por ser un terreno rocoso y quebrado.

Foto 37. Calle Espaldas de San Miguel.

Interior de la primera parte de la galería. Tiene estructura curva en su alzado y cubierta abovedada. El enlucido de sus muros y bóveda es bastante antiguo porque apenas se ha modificado en su historia. En estos momentos tan solo se utiliza como apero o almacén de de material del campo. Su módulo es diferente a los anteriores, Es intermedio.

Foto 38. Calle Espaldas de San Miguel.

Punto opuesto de la misma galería, que experimenta en su alzado un pequeño giro hacia la izquierda, motivado por la configuración de la roca madre que va en esa dirección. El giro se puede ver, bien marcado, en la planimetría de esta zona.

Foto 39. Calle Espaldas de San Miguel.

Situados ya en la calle artificial, salidos de la galería, se observa que los muros de las galerías de enfrente sobresalen del suelo situándose el muro moderno encima de él, pero sin cubrirlo del todo en la parte izquierda de la imagen. Ello significa que este trozo de calle fue anteriormente otra galería y ha sido destruida para poder ocupar. y, a la vez indica que la casa de la derecha tiene en su interior otra u otras galerías, porque el muro a ras de suelo penetra en su interior.

Foto 40. Calle Espaldas de San Miguel.

Esta imagen deja bien claro lo dicho antes. A izquierda se ve el citado muro en la base del muro de la casa. A derecha de la imagen, en el interior está las dos galerías antes citadas y vistas. La calle que cruza bajando se dirige hacia Calle San Miguel. (Recordamos que no hay calles de plan urbano).

Foto 41. Calle Espaldas de San Miguel.

Vista de detalle sobre la imagen anterior. Tanto el suelo de esta calle como la que desciende hasta San Miguel están solo pintadas con cemento gris. La roca madre aflora desde el suelo. Hoy ya no existe.

Foto 42. Calle Espaldas de San Miguel.

Vista de la escabrosa bajada de la calle artificial con escalones que son muros romanos rotos desde antiguo y roca madre. Arriba, al fondo, puede verse que se produce un fuerte desnivel. Ahí se marca el final de las galerías anteriores. Continúan en las casas de enfrente a un metro de diferencia de altura. El muro de enfrente de la imagen sostiene la masa de Eras del Castillo, que se encuentra detrás. A partir de esta área resulta difícil localizar otras estructuras similares, pero se sabe que dentro de esas casas hay galerías que no se han podido fotografiar.

Foto 43. Calle Espaldas de San Miguel.

Esta imagen, en el muro romano de fondo muestra casi una muralla romana encalado que tiene detrás de su apariencia una pequeña ventana que acusa que dentro hay un espacio ocupado por galerías probablemente transformadas. La casa de su lado derecho sí tiene galerías que no se han podido visitar. Todo esto es lo mismo: una estructura encadenadas de galerías romanas.

Foto 44, Calle Espaldas de San Miguel.

Esta imagen se ha elegido porque el muro frontal transparenta las piedras del opus incertum de su estructura. Arriba, a izquierda, un ventanuco deja ver algo del interior, lo que significa que dentro hay espacios que son prolongación de los anteriores que se vienen describiendo.

Foto 45. Calle Espaldas de San Miguel.

Estas casas con escalones tienen en su interior otras galerías que son la continuación de las que tiene enfrente. En la parte derecha de la imagen se ve un murete cuya procedencia es la misma que forma parte de la red de galerías rotas a consecuencia de abrir calles donde no existían.

Foto 46. Calle Espaldas de San Miguel.

A partir de esta imagen se van a comentar los restos de estructuras romanas que han quedado a descubierto y pueden pertenecer a restos de un edificio público, como un templo. En estas fechas la casa que hace esquina responde a una construcción que se ha levantado sobre ruinas anteriores y no muestra la consistencia que tienen otras. El resto de edificación ha quedado como unas gradas que han podido corresponder a un templo.

Foto 47. Calle Espaldas de San Miguel.

A partir de esta esquina, muy reconstruida con los materiales de derribos en el mismo lugar, se inicia de forma progresiva unas grada que probablemente han sido recortadas y modificadas con el tiempo.

Foto 48. Calle Espaldas de San Miguel.

En este trayecto de la calle artificial, se ve un acceso construido para la casa que hay detrás. Las piedras son material reutilizado, probablemente de derribos locales.

Foto 49. Calle Espaldas de San Miguel.

El centro de la imagen muestra un pequeño muro originario evidenciado por su forma de construcción del aparejo. La reposición de la calle artificial parece haber afectado a su tamaño. Hay arreglos con hormigón moderno.

Foto 50. Calle Espaldas de San Miguel.

En este punto se inicia la parte de la grada construida con piedra caliza toba. Es claro y notorio que la casa que hay detrás se apoderó de este graderío y quedó, casi seguro, en su interior. Otros restos de construcción se van a ver en la periferia de esta edificación y no precisamente pequeño.

Foto 51. Calle Espaldas de San Miguel.

Esta imagen de las gradas es la que muestra con claridad su forma y las hiladas de sillares que se muestran en lo que de ella queda como testigo. Es evidente que la casa que hay detrás de las gradas se monta y recorta lo que aquí hubo. Con el tiempo y el abandono ha sido retocada por la gente de la zona.

Foto 52. Calle Espaldas de San Miguel.

Paso de calle artificial. Recientemente aquí se ha realizado una pequeña excavación en la que se han encontrado materiales de varias épocas antiguas. Pero lo que nos trae al caso es la casa que se encuentra enfrentes de la gradas antes vistas. Si se observa el muro de su alzado, en la base, se puede ver un muro original romano que sobresale en el suelo. Es señal de que aquí han existido, o existen dentro de estas casas, galerías encerradas. Pero sorprende que se hayan construido estructuras romanas justo enfrente de un probable edificio público, como un templo. Lo que hacer pesar que son construcciones de diferentes etapas del conjunto, o sea, con una cronología diferente, dentro de la evolución que se ha tenido que producir por tanto tiempo de permanencia en estas tierras.

Foto 53. Calle Espaldas de San Miguel.

Esta imagen muestra un cruce de pasos artificiales en un lugar plagado de estructuras romanas. Así, se puede ver en cómo hay que elevar el punto de acceso porque no es posible entrar en las casas por la gran diferencia de alturas del terreno. Arriba se observa el detalle del muro romano sobresaliendo en el suelo junto al alzado de la casa que se encuentra montada sobre él.

Foto 54. Calle Espaldas de San Miguel.

Esta es la entrada de la citada casa con sus muros montados sobre estructuras romanas. No se puedo comprobar si realmente sobrevivían galerías en su interior u otras formas diferentes. Pero las medidas de base son muy similares a los módulos usados en la construcción de una galería normal. Esta zona ha sufrido muchas alteraciones por derribos modernos. Aquí han aparecido restos importantes de elementos decorativos de edificación pública. Pero no se tiene certeza de a qué pertenecen, aunque son romanos ciertamente.

Foto 55. Calle Espaldas de San Miguel.

Esta especie de placeta hecha con el derribo de muchas estructuras, es el ensanche artificial de la calle Espaldas de San Miguel. De izquierda a derecha se puede identificar cada una de sus partes: A izquierda: construcciones romanas cuyo acceso está en calle San Miguel. De frente: situación de casas con probables galerías transformadas. En el centro: área que muestra una placeta donde sin duda han sido derribadas varias galerías. A derecha: espacio donde ya se han visto galerías en su interior en explicaciones anteriores. Fondo derecha: construcción moderna montada sobre las gradas romanas y que deben tener en su interior galerías o restos del derribo de un posible edificio público romano y peana sobrealzada para permitir el acceso a las galerías interiores de casas modernas.

Foto 56. Calle San Miguel.

Calle San Miguel. La más espaciosa del casquete superior del conjunto. Se adelantó en imágenes anteriores que este espacio estuvo ocupado por una galería que abarcaba su totalidad. Los cimientos de la estructuras romanas convertidas en casa han revelado que forman parte de una serie de galerías de mayores dimensiones que Cueva de Siete Palacios, sobre todo al comprobar las medidas que muestran los muros descubiertos en el derribo de una de las viviendas de esta calle. Ya se adelantó al principio que en las reposiciones de los alcantarillados modernos aparecieron muros que fueron rodeados para montar las tuberías porque resultaba penoso romperlos. Las herramientas usadas se rompían al intentarlo. Cosa que indicaba que se había tropezado con el potente hormigón romano. (Este mismo problema se tuvo en la calle Bilbao cuando se encontraron con un espigón de puerto). La parte derecha es la que manifiesta con más claridad las construcciones que aquí se hallaban. La izquierda es la más reducida.

Nota. Pero hay que añadir que este terreno, cuando se levantó el castillo con carácter defensivo, se pudo destruir parte de estas estructuras para crear un espacio neutro defensivo en caso de ataque.

Foto 57. Calle San Miguel

Esta imagen muestra el espacio que ocupaba una de las grandes naves laterales pertenecientes a este complejo de San Miguel. Y era el mismo módulo que se ha venido viendo a través de toda la calle hasta que han permitido levantar nuevas edificaciones en esta zona del pueblo. La medida de los muros en altura y grosor son tal vez demasiado grandes. No se observa ningún punto de arranque de posible bóveda, pero, de haberlas, serían más elevadas que todas las vistas hasta el momento. También es posible, aunque no probable, que la anchura observada fuera de una nave en sentido de la calle, no desde el interior hacia afuera.

Foto 58. Calle San Miguel.

Esta imagen refleja cómo ha sido rebajado el muro lateral por necesidad de los ocupantes al construir su casa aprovechando esta gran estructura. Deja al descubierto el aparejo de opus incertum. El suelo es el que no queda definido. Debería haberse practicado una excavación y no se hizo.

Foto 59. Calle San Miguel.

En esta imagen se muestra ese mismo lienzo de muro romano y parece que se llega hasta la roca madre en el rebaje que se practica para la nueva construcción que se ha programado. A derecha destaca un muro que se dirige hacia el centro de la calle, pero no aclara nada más este dato por falta de exploración arqueológica. De frente se ve la potencia de escombros que tiene el relleno moderno de la calle.

Foto 60. Calle San Miguel.

Esta imagen de muros adosado al muro principal de ese lado, puede indicar que puede ser un elemento de cierre de toda la estructura con vistas a la calle San Miguel, pero muy reducido de tamaño.

Foto 61. Calle Eras del Castillo.

Esta imagen puede aclarar algo la situación de las edificaciones que se encuentran en su periferia. En primer lugar se encuentra en el entorno de las gradas, pero algo alejadas. Lo que sí se puede decir es que forman parte de los cimientos de una construcción grande por su tamaño. No se trata de una simple cimentación de un sistema de galerías, sino que su base es demasiado grande para serlo, cosa que lleva a pensar que trata de la base de una estructura romana de cierta envergadura, como un fortín militar, dado que se encuentra en la cima de la colina más alta del conjunto. Y, lógicamente, lo que se ve en, ha debido ser mayor de lo que ahora es, porque ha podido ser usado como cantera. No se sabe si su interior contiene una prolongación lógica de este resto de material romano en suelo actual. Es un opus incertum reforzado con el caementum de una dureza extraordinaria. Y de lo que no cabe duda es de que este resto de estructura romana ha sido reducido para abrir mayor paso alzando la anchura de la calle.

Foto 62. Calle Eras del Castillo.

En esta imagen lo que se hace es ampliar los detalles para confirmar lo que se está describiendo: masa de construcción de cimentación compuesta por piedras de tamaños variados, pero bastante regulares, unidas por el caementum antes citado, cosa que le da una consistencia de dureza alta.

Foto 63. Calle Eras del Castillo.

Esta imagen es importante por la situación que muestra de sus estructuras: De frente se ve el muro romano, prolongación del que se encuentra detrás y a un nivel bajo en la calle Espaldas de San Miguel, y a continuación de la galería romana que gira en su diseño desde su centro. Las casas se encuentran ya en el área de Eras del Castillo, y pueden tener elementos romanos en su interior.

Foto 64. Calle Eras del Castillo.

Lo que invita a reflexionar en esta imagen es la elevación que se ha hecho del suelo de la misma, probablemente debido a que los muros de contención que se encuentran en la calle de abajo, Espaldas de San Miguel, han provocado que su estructura se haya sobrealzado con una elevación de las formas que se encontraban a un nivel algo superior. Es la única explicación razonable.

Foto 65. Calle Eras del Castillo.

En el mismo espacio anterior se puede ver la separación de dos estructuras del mismo estilo y ambas romanas. No es más que eso desde el punto de vista actual, pero podía ser también una partición de una estructura de mayor envergadura y que se ha tenido que dividir. Se ve el aparejo retocado hasta el fondo de la imagen en estas casas cuya fachada se encuentra ya sobre Eras del Castillo.

Foto 66. Calle Espaldas de San Miguel.

Desde el área de Espaldas de San Miguel, esta imagen indica un punto de cercanía a la calle San Miguel, con un suelo muy desdibujado y aflorando la roca madre en superficie. A izquierda se ven muros de una casa remozada, pero con evidentes restos romanos en sus alzado, pero con estructuras interiores romanas transformadas, y toda la estructura discurre y se extiende a lo largo de toda la calle, como se ha indicado ya varias veces.

Foto 67. Calle Espaldas de San Miguel.

Esta imagen muestra una callejuela artificial de paso y paralela a San Miguel. Está a continuación de lo indicado en la foto anterior. Es un pasillo con una ligera capa de cemento como pavimento. A derecha son casas montadas sobre restos romanos, pero lo montado es también romano, cosa que sirve para indicar una evolución en el tiempo. Hay cronología relativa.

Foto 68. Calle Espaldas de San Miguel.

Lo indicado en la foto anterior se plasma en esta imagen: Son antiguas estructuras romanas, en la base de la la casa que se encuentra encima, que también lo esa lo largo del pasillo, pero solo en una de las alturas: la más baja.

Foto 69. Calle Espaldas de San Miguel.

Y esta imagen muestra cómo sale a superficie los extremos de los arcos de una bóveda que se encuentra aún enterrada. Lo que demuestra que la calle existente ha sido sobrealzada hasta el punto de dejar enterrada galerías inferiores. Fenómeno de evolución en el sistema de galerías. Sorpresa de la evolución e intervención antrópica en estos sistemas de galerías. No deja de sorprender, pero lo hechos hablan por sí solos. Los puntos extremos indican la luz del arco de la bóveda.

Foto 70. Calle Espaldas de San Miguel.

Continuación del pasillo artificial anterior: paso realzado. Muros de casas con estructura interiores romanas, a derecha y a izquierda, donde se prolongan hacia San Miguel sus espacios interiores. Y al fondo se marca el final de todo este paso interior artificial.

Foto 71. Calle Espaldas de San Miguel.

Esta imagen marca el final del pasillo: a izquierda se ven los muros de las unidades que tienen el acceso por calle San Miguel. acceso al la estructura final acercándose al inicio de calle San Miguel con calle Antigua. Sorprende ver que han tenido que hacer cinco escalones por la calle para acceder a la casa, que tiene galerías en su interior a derecha de la imagen.

Foto 72. Calle Espaldas de San Miguel.

En esta imagen se muestra otro proceso de separación de estructuras por partición de reparto de espacios entre los propietarios. Se ve cómo modifican la argamasa del enlucido de ambos muros.

Foto 73. Calle Espaldas de San Miguel.

Habitación interior paralelo a los muros mostrados antes. Se trata de una habitación de desahogos de apero de campo o similares. Su fondo muestra un aparejo de tipo opus incertum envejecido por el abandono y uso como apero. Aquí se llega al límite de Espadas del San Miguel con calle Antigua. Se cree que este recinto ya no existe, como otros tantos.

Como conclusión de este este apartado de la zona superior tenemos que decir que es la parte que ha mostrado mayor cantidad cantidad de sistemas de almacenaje. Y es posible que los que se han destruido fueran los más importantes en todo el entorno de esta gran área. Pero siempre cabe preguntarse la causa del porqué no se vio afectada por la ocupación árabe como lo fue en la zona con cotas más bajas. Tan sólo Castillo muestra una evidente arabización y poco más.

ESTRUCTURAS INDUSTRIALES LOCALIZADAS EN LOS SECTORES G-H

Foto 1. Calle Torremolinos.

Esta calle ha sido poco explorada por el problema de visitar sus interiores. Se conoció muchos años atrás y lo que hoy se ve, nada tiene que ver con lo que ahora hay. Su estado era casi ruinoso. En sus estructuras vivían familias y animales, como en algunos espacios se verá. Lógicamente se construyó sobre la ruinas preexistentes que, en su gran mayoría, eran romanas. Hoy ha cambiado radicalmente su aspecto tanto en edificaciones como en diseño de las calles. Tan sólo conservan su tradicional alineación, como en casi todas las demás. Pero sus alzados, que parten de las ruinas antiguas están ahí, y no es difícil distinguirlas del resto.

Foto 2. Calle Torremolinos.

Esta imagen revela antes que nada el estado primitivo de su suelo antiguo; sólo una ligera capa de cemento. La roca madre está debajo, a escasos centímetros. Su pared izquierda descansa sobre un muro de estructura antigua, restos de las formas que antes existían como en calles cercanas. No se permitió el paso al interior.

Foto 3. Calle Torremolinos.

En los dos planos levantado sobre estos terrenos se mezclan estructuras antiguas y modernas con las nuevas construcciones que se van realizando año tras año. Esta imagen lo que más resalta es el de unos de materiales procedentes de derribos o caídas de estructuras antiguas romanas.

Foto 4. Calle Torremolinos.

La imagen muestra muros romanos en la zona de antiguo huerto de una de las viviendas situadas en este barrio.

Foto 5. Calle Torremolinos.

Interior de huerto con muros romanos cubiertos por las plantas. Llegan hasta alcanzar metro y medio de altura. Se puede observar que los muros de la casa están montados sobre parte de ellos por razón de su resistencia y profundidad.

Foto 6. Calle Torremolinos.

La imagen muestra cómo se monta el muro de la casa con huerto sobre el muro romano. La dificultad está en no poder definir donde empieza o acaba el muro romano, pero la sensación es que puede ser un muro lateral de una cadena de galerías, aunque por aquí no se ha detectado ninguna.

Foto 7. Calle Torremolinos.

Este muro que se muestra en la imagen indica que puede tratarse de una separación de estructuras. Se ve que procede de un lateral de la casa anterior.

Foto 8. Calle Torremolinos.

Es otra de la imágenes de la serie de muros detectados, cuyo aparejo queda oculto por las plantas y elementos de emparrillados de hierro. Y es romana la procedencia de la estructura.

Foto 9. Calle Torremolinos.

Nota para esta zona. Se trata de una de las calles del casco superior que ha sufrido más modificaciones a través del tiempo. El espacio que ocupa junto con los indicados en los planos puede dar con el paso del tiempo una sorpresa arqueológica. No hace mucho, se encontró un taponamiento de una estructura oculta que, según quien la ha visto en su interior, con motivo de un rebaje para construir nueva vivienda. Se vieron estructuras, a cierta profundidad, que superaban las dimensiones de la actual Cueva de Siete Palacios. Por miedo aún sigue en silencio, pero se cree que si en alguna ocasión esto se destapa, no se podrá mantener ya en secreto. Esta zona es muy sospechosa de contener en el subsuelo estructuras que han sido ocultadas desde épocas muy anteriores a la que se está ahora estudiando. La zona del emplazamiento de los alfares se suma a este espacio sospechoso de ocultar formas antiguas.

Foto 10. Calle Torremolinos.

Según se baja al inicio de la calle Torremolinos, a izquierda, se encuentra esta habitación cuya finalidad y uso se desconoce, pero que su aparejo está formado por opus incertum y, al parecer, se prolonga en su interior hasta los posibles bajos de la calle San Miguel.

Foto 11. Calle Torremolinos.

Posteriormente se ha podido fotografiar el interior del habitáculo anterior y se ha conseguido saber que se trata de un espacio de desahogo doméstico con paredes excavadas sobre la roca aprovechando el desnivel del terreno.

Foto 12. Calle Torremolinos.

En esta imagen se despierta la duda sobre si estas casas, que se ven de frente, mantienen en su interior estructuras romanas por sus dimensiones. Pero hay que tener en cuenta que la calle ha tenido cambios importantes a través del tiempo.

Foto 13. Calle Higueras de Clavelicos.

Esta calle se dirigen a encontrarse con la calle Clavelicos. A su izquierda, casas nuevas; a su derecha: construcción de estructuras deportivas y colegios. Se está seguro de que han sido rotos muchos elementos antiguos, como los romanos, sobre todo.

Foto 14. Calle Higueras de Clavelicos.

Esta imagen tuvo que ser tomada de noche para no levantar sospechas entre la gente de cercanías. Se estaban construyendo nuevas instalaciones deportivas y educativas (paradójicamente). Pero se pudieron tomar fotos de sistemas de muros formando espacios rectangulares en su interior.

CONCLUSIÓN DEL ESPACIO MOSTRADO

Se concluye que todos los espacios vistos y comentados no han podido ser analizados suficientemente para poder determinar si tenían en sus cimentaciones estructuras de relieve romanas.

ESTRUCTURAS INDUSTRIALES LOCALIZADAS EN LA CALLE CLAVELICOS

Esta calle contiene los elementos más frecuentes de lo que forma la gran factoría de salazones de Sexs. Tiene sistemas de almacenaje, piletas de salazones murallas medievales-modernas.

Foto 1. Calle Antigua.

Situados al final de la calle Antigua en su encuentro con calle San Miguel, se comenta la estructura interna de este casa. Hace años, hicieron reformas interiores de esta vivienda. Cuando sacaron los escombros a la calle, el material roro era parte de la destrucción de elementos romanos. Lo que hace pensar que aquí se eliminaron o bien muro medieval-moderno que pasa por detrás, o galería interior, que es lo más probable, porque, si hubieran roto una bóveda, lo más razonable es entender que lo hicieron para levantar una planta más de la que tiene, y no se hizo. Lo que sí es cierto es que rompieron estructuras romanas.

Foto 2. Vista de la alineación de la muralla desde el Castillo.

Foto tomada desde el Castillo de San Miguel para remarcar la alineación de los tramos de la muralla romano-medieval-moderna que parte desde las cercanías del mismo en sentido norte del pueblo. Se inicia en el citado punto, discurre por la calle Torremolinos y pasa por el cruce entre calle San Miguel y calle Antigua.

Foto 3. Vista de la muralla, tramo moderno, por calle Antigua.

Vista del lienzo de muralla antes citada, almenada y con adarve. El tipo de almenas es igual a las del Castillo, donde se ha cometido un error con la muralla de Levante del mismo. En la restauración se ha añadido un elemento que no ha tenido: almenas. En él se podía ver entonces lo que se pensaba era un muro de contención, porque los desniveles son altos. Ese muro supuesto de contención debía prolongarse a través de toda la calle Antigua, pero la han roto o se ha derrumbado o se está usando de soporte a lo largo de la calle Morería Alta.

Foto 4. Detalle de la muralla por calle Antigua.

Foto de detalle del lienzo que conserva las almenas. Su aparejo se puede definir, en esta parte. como moderno. A ambos lados hay casas adosadas.

Foto 5. Calle Antigua (debajo).

Es el único lienzo de muralla conservada que perdura hasta el suelo con cimentación antigua. No se ha podido averiguar si esos cimientos están montados sobre alguna estructura anterior. Pero ha debido sufrir algún percance porque ha tenido que ser reforzada por los propietarios.

Foto 6. Calle Antigua (debajo).

Se muestra el final de este tramo en sentido Sur. A partir de ese punto la muralla ha debido ser utilizada como base de apoyo en las casas que siguen a través de Morería Alta y Antigua hasta el final.

Foto 7. Calle Antigua (debajo).

Vista, desde otro ángulo, del mismo lienzo de muralla, pero retocada por restauraciones, en parte, más recientes.

Foto 8. Bajada desde calle Clavelicos.

Los muros laterales de ambos lados muestran cómo se transparentan las estructura de opus incertum de su interior.

Nota. El fuerte desnivel entre ambas calles podría entrar dentro de lo que los autores árabes comentan sobre su peligrosidad cuando se baja por ellas sobre todo. Con el arreglo urbano actual lo han dejado aún más peligroso. Ha puesto pasamanos para poderse mover por estas pendientes tan pronunciadas.

Foto 9. Calle Clavelicos.

Clavelicos Alto. Foto antigua con calle ya retocada modernamente.

Foto 10. Bajada desde final de calle Antigua o San Miguel, hacia Morería Alta.

Demasiado desnivel de bajada. A izquierda de la imagen se encuentra un fuerte murallón de contención que se extiende con su estructura a toda la calle para salvar desniveles. Hay piletas de salazones como se verá. Ya se dijo que la zona de Poniente es más abundante en estructuras industriales como se verá.

Foto 11. Descenso a Morería Alta y Baja.

Continúan las bajadas hacia Morería Alta y Baja. Las estructuras de las fachadas están muy retocadas. Estas casas mostraban al exterior los restos del edificio que habían utilizado reconstruyéndolo.

Foto 12. Calle Clavelicos.

Inicio de la calle Clavelicos (principal), en la que se van a mostrar las reutilizaciones de las antiguas estructuras. A derecha de la imagen, hacia el centro, aparece el muro comentado antes, como se va a ver.

Foto 13. Calle Clavelicos.

En la parte más elevada de esta calle pueden verse estancias como ésta. Muros de aparejo romano a los lados y al fondo de la imagen. La estructura mural que ofrece puede ser la de una muralla que aparecerá más arriba. Y ello hace pensar que la muralla, en origen, puede ser romana, dado el aparejo de base con que se ha construido. Es un fenómeno muy corriente: superponer estructuras.

Foto 14. Calle Clavelicos.

A continuación de la imagen anterior se encuentra esta habitación destinada a cuadra de animales, hecho que ha persistido hasta hace poco tiempo. El trabajo agrícola lo requería. Estas estructuras van en la línea de calle. y el fondo es romano formado por la muralla que procede del Castillo.

Foto 15. Calle Clavelicos.

La tercera estructura destinada a cuadra de animales, sigue lo marcado antes tanto por la forma como por el uso. Era una necesidad. El pueblo es muy agrícola y estas cuadras eran necesarias. El aparejo del fondo de este habitáculo es la muralla citada antes. Su aparejo es bien claro.

Foto 16. Calle Clavelicos (que baja hasta calle Nueva)

Desde una altura como Morería Alta o calle Antigua, se puede ver la muralla árabe situada al borde la la factoría del Majuelo.

Foto 17. Bajada desde Morería Alta a Morería Baja.

Y por fin se va ver lo que ha aparecido con motivo de la destrucción, por incendio, de una panadería construida en un inesperado y sorprendente lugar: un murallón de hormigón romano formando grandes bloques para servir de muralla de contención debido a la fuerte pendiente o desniveles de toda la zona de Poniente.

Foto 18. Calle Clavelicos.

De vuelta a la mitad de la calle Clavelicos, detrás de las casas de primera línea, vuelve a aparecer la muralla romana en su base. Si se tratara de una estructura árabe, se hubiera desmoronado ante el peso que tiene encima. Aparte de ello, la forma que presenta su base deja ver rasgos de estar hecha de un material que ya se ha visto antes en las cuadras de animales. Aquí se puede comprobar que se ha producido un espacio neutro para poder llegar a las casas del fondo. La citada muralla se ve al fondo y todas las casas de la calle se apoyan en la muralla.

Foto 19. Calle Clavelicos.

Imagen de detalle para observar la construcción moderna que se ha montado sobre esa fuerte cimentación, y que no se habría hecho esto si no fuera porque su base presenta una gran resistencia para no correr peligro de futuro derrumbe. Muralla romana al fondo.

Foto 20. Calle Clavelicos.

Y, por último, se muestra una imagen, quizás demasiado encalada, pero que deja ver que detrás de la cal, hay un aparejo muy resistente, como puede ser en una muralla romana sobre roca madre, cosa que haría que todas las casas no resistieran si no fuera por el gran soporte que le da la muralla romana.

Foto 21. Paso de Morería Alta a Baja.

A izquierda de esta bajada se encuentra uno de los lugares que ha registrado piletas de salazones y que no debe reducirse a que sólo hayan aparecido aquí, sino en las pudo ser una línea completa de montajes industriales. En Morería Alta aparecen piletas. En Morería Baja, aparecen los almacenes. Paralelismo acorde para el montaje y funcionamiento de la industria de salazones.

Foto 22. Paso completo de Morería alta a Baja.

Formas domésticas a ambos lados donde se aprecia la forma del aparejo externo de los muros, sobre todo a derecha de la imagen y el fondo izquierdo. Se ve el aparejo de la casas encalando muros que son reutilazaciones de estructuras romanas.

Foto 23. Bajada completa desde Clavelicos hasta Morería Baja.

La estructura de la calle empieza a marcar el camino para analizar lo que se aprecia en las fachadas de las casas: a izquierda, casas construidas sobre estructuras romanas cuya prolongación ha dejado a descubierto el material que se va a analizar. Es una de los casos más claros de calles artificiales construida rompiendo lo que se necesita para poder moverse aquí.

Foto 24. Calle Morería Alta.

Vista de conjunto del terreno de fondo del horno destruido. Zona donde empiezan a verse piletas de salazones en el corte del talud artificial que se montó para la construcción del horno. En la parte superior derecha de esta imagen comenzaron a aparecer piletas de salazones. Hay razones lógicas para admitir que se trata de una secuencia continuada de piletas a través de todo el recorrido de la calle, pero no se tienen datos objetivos y precisamente se crea calle porque las estructuras presentan menos resistencia a la hora de aprovechar esas estructuras, sean las que sean, para montar una vivienda moderna.

Foto 25. Calle Morería Alta.

Talud que pone a descubierto en su desmonte dos de las piletas de salazones. Murallón de hormigón romano que asciende hasta el paso abierto superior para el acceso a las casas de arriba en este sector.

Foto 26. Calle Morería Alta.

Vista de conjunto de piletas en la parte baja, horno destruido y voluminosos bloques de hormigón romano que funcionan como elemento contrafuerte para sujetar la estructura superior. Su altura alcanza los 10 m.

Este tipo de opus caementicium es exactamente el mismo que se puede ver en los restos del hypocaustum que se encuentra en el Castillo, y que se utiliza como resorte de sujeción de toda la estructura periférica que lo contiene. Es lógico pensar que este tipo de construcción de contención formara una cadena a lo largo del trayecto hasta llegar a las estructura romanas que se encontraban en lo que hoy es Castillo, pero que en época romana no lo fue, o bien un fortín, o hábitat tipo casa romana, por los materiales que se han descubierto en el desmontaje del Cementerio.

Foto 27, Calle Morería Alta.

Murallón de bloque de opus caementicium que forma el soporte de todo este lienzo de protección. En en centro de la imagen se ve el hueco que ocupó el horno como tal elemento. Y todo el lienzo frontal fue revestido con materiales modernos, o sea que el gran murallón de caementum está revestido en toda su dimensión.

Foto 28. Calle Morería Alta.

En la parte superior se ven los bloques de hormigón romano que se extiende a lo largo de toda la parte frontal. Y este mismo de tipo muro tiene que seguir a izquierda y derecha cruzando la calle artificial en dirección Norte-Sur. Dentro de las siguientes casas es razonable que se encuentre esas estructuras formando parte de sus sistemas de muros. Es sorprendente observar que no se trata de un tipo de muralla clásica romana, sino de grandes bloques de hormigón. Este hecho sorprende cuando, después de haber registrado la tipología de muros y murallas, tan sólo se haya detectado en este espacio.

Foto 29i

Esta imagen muestra el solar donde se encuentran el muro romano de contención y las piletas de salazones. A izquierda, piletas de salazones en el corte del talud, con forma de estructura delgada. A continuación de lo que se ha encontrado dentro de este solar y atravesando la calle y que se prolonga hacia el inicio, y pasando la calle Morería Baja y su encuentro con la calle Santa Isabel, no deja de sorprender lo aislado de este fenómeno estructural. En el centro el Murallón romano construido con bloques de caementum (opus caementicium), y su forma semicircular del antiguo horno de pan construido sobre la estructura romana. Y a derecha de la imgen se encuentra el espacio, también junto al murallón, el espacio en el que se han encontrado un conjunto de piletas de salazones de estructura similar a las del Majuelo. Se han encontrado doce. El conjunto del solar apenas fue tocado, hecho que sorprende. Se sigue penando que lo hallado es otra factoría de salazones. Pero esto demuestra que todo es una gran factoría de salazones situada en los puntos más estratégicos para su montaje.

Foto 30. Calle Morería Alta.

Detalle de la foto anterior donde se puede ver el corte producido por la máquina de rebaje, de una de las dos piletas sin excavar. Está llena completamente de escombros. Puede ser una cadena de formas industriales con diseño diferente a las piletas encontradas en el otro extremo del solar. Su tamaño supera el metro de ancho. Quizá la excavación podría haber sido peligrosa por el sitio en el que se encuentra.

Foto 31. Calle Morería Alta.

Detalle de la segunda pileta alineada con la anterior. Las medidas son las mismas y está llena de escombros.

Foto 32. Calle Morería Alta.

Esta imagen se ha elegido para determinar el espacio en que han aparecido doce piletas a nivel inferior.

La cota de nivel está en 15.80 m. Y esto despierta una pregunta: piletas en el Majuelo, piletas en calle Morería baja (cota citada), piletas en calle San Joaquín II, piletas en Peñón del Santo, piletas de la calle Carmen Baja, (cota 25) piletas de Plaza de la Rosa…y las que han sido destruidas en muchos sectores…La pregunta es: Piletas en todo los niveles de cotas despierta la duda ante todos estos datos comprobados. Si han existido piletas en todos los niveles, este conjunto levanta la sospecha de que no estamos ante una ciudad clásica romana, sino de una factoría total; piletas, almacenes, conducciones de agua a todos los niveles, murallas de seguridad y protección.

Foto 33. Calle Morería Alta.

Punto central de horno de pan. El terreno ha perdido por la excavación de la máquina más de un metro de profundidad, donde probablemente habrían sido destruido lo que aquí estaba enterrado: una cadena bastante extensa de piletas de salazón.

Los más destacado de toda esta zona comentada es el hallazgo de cierta cantidad de piletas de salazones y la aparición de una muralla construida con bloques de hormigón romano cuyas dimensiones no dejan de sorprender al ser únicos en todo el territorio de la factoría.

ELEMENTOS INDUSTRIALES Y SISTEMAS DEFENSIVOS DE LA ZONA DE CALLE NUEVA Y SU ENTORNO

Plano del Archivo Histórico Militar de España.

A la vista de este plano, se expone de modo general la situación en que se encuentra la finca del Majuelo que, después, será excavada en varias etapas a partir de ya iniciados los años 80 del siglo pasado.

Se encuentra situado debajo de las estructuras de muralla romanas, árabes y cristianas. Pero el objetivo principal se centra en las galerías romanas y sus cambios modernos por acción antrópica.

En la zona limítrofe con el Majuelo se encuentra una de las piezas más características del conjunto de las galerías, aunque otras se pueden ver como reutilizadas, cobijo de animales de campo.

Otro tipo de almacén se podrá ver en la alterada zona del foro romano del Majuelo, donde aparecerán los componentes arquitectónicos mezclados con los industriales propiamente dichos. Se da la casi paradoja de ver una solería de mármol blanco con depósito-almacén subterráneo aún no vistos por la dificultad que supone acceder a él.

Sí se sabe que esta estructura dispuso de la adecuada decoración con estatuas de mármol que aparecieron ocultas en zona muy cercana al Callejón del Silencio en los años 62. Hoy están en el Museo Arqueológico Provincial.

Que por la misma razón o similar motivo hubiera algún templo, es muy normal, dado que se han encontrado inscripciones donde aparecen nombres de sacerdotes romanos. Y lo extraño es que una de las inscripciones fue encontrada formando parte de un muro de las piletas de salazones, hecho que resulta un tanto extraño por lo que supone ser considerado un personaje de esa categoría social y religiosa usada de ripio de un murete de pileta. Probablemente esto ocurriría en época de plena decadencia, ya en el siglo III d. de C. Cosa que podría complementarse con el hecho de que también apareciera un enterramiento humano en plena factoría. Se piensa ya en decadencia.

Nota. Las excavaciones fueron iniciadas sobre los años 60 del siglo pasado con varios cortes realizados por el arqueólogo, especialista en romano, Manuel Sotomayor Muro, con muy buenos resultados. Y estos mismos espacios fueron excavados de nuevo después por el equipo Federico Molina Fajardo y alguna colaboración del Profesor E. Acquaro de la Universidad de Bolonia, un profesor egipcio H. Fantar, de Túnez, y Mohamed Bencherifa, de Egipto.

Foto 1. Finca del Majuelo.

La finca de cultivo, como se indicado antes, fue excavada en parte por Sotomayor, con cinco paratas, según se observa en la imagen.

Foto 2. Finca del Majuelo. Zona excavada por M. Sotomayor.

Uno de los cortes interiores en la finca, donde aparecen varias unidades de piletas de salazones pero con tipología y medidas formando grupos específicos que, para ellos, estarían numerados, con el fin de establecer un control de las variedades productos elaborados en ellas. Los tamaños están relacionados con el tipo de pescado que se elaboraba aquí.

Fofo 3. Finca del Majuelo.

Cuando se planeó la excavación de este terreno, la entrada oficial de la finca es la que se ve en la imagen. Las estructuras murales que la rodeaban eran palpables. Se empieza a ver un gran muro de separación entre lo que se consideraba pueblo actual y la finca propiamente dicha.

Foto 4. Finca del Majuelo.

Esta imagen presenta cuatro subgrupos de piletas con sus características propias. Se ven los muretes de separación entres sus partes, que indican que desde ese punto, se levantan muros que se elevarán a una altura suficiente para poder montar una techumbre de protección contra el sol y la lluvia. Era una norma clásica de eliminar riesgos de perder los procesos de producción de salazón. En realidad, levantar aquí cuatro cubiertas de protección sería exagerado. Lo normal sería levantar una nave que abarcara la totalidad de las piletas y que éstas estuvieran separadas por muros de selección de tipos de fabricaciones de pescados, Este procedimiento es extensivo en general, a toda el área de salazón.

Foto 5. Finca del Majuelo.

Esta imagen muestra una zona que ha podido funcionar como área de depósito de materiales para exportar. La parte izquierda se puede interpretar como de almacenaje en cabecera de salida o llegada de productos. Pero lo que más destaca es la imagen probable de un punto de amarre de embarcaciones, aunque tenemos dudas razonables de este uso, porque el nivel del mar estaba más bajo de lo que se puede ver. Y otra de las dificultades es que, si el mar llegaba hasta este punto, el canal de desagüe debería estar mucho más alto de lo que se verá y comentará. Lo razonable es admitir un pantalán algo más retirado de estas instalaciones desde el cual se podrían desplazar las embarcaciones sus productos en ambos sentidos, con utilización de embarcaciones pequeñas, cosa que sí sería posible.

Foto 6. Finca del Majuelo.

Desde la Zona excavada por Sotomayor parte el canal de desagüe residual que se dirige hacia el exterior, sobrepasando las líneas de la factoría en dirección a lo que pudo ser río Seco.

Por estas fechas se tienen dudas razonables de que río Seco podía dirigirse hacia río Verde a la altura de Carrera de la Concepción debido a que cuando se desbordaba lo hacía por este lugar desde el Empedraillo. No se tienen datos geológicos que lo atestigüen ni tampoco que lo rechacen o nieguen. Pero existe una antigua tradición oral sobre Carrera de la Concepción que cita y dice que un río de agua, en temporada de lluvias, pasaba por la parte más baja de este punto, o sea, por debajo de lo que era la Puerta de Granada. Y los antiguos lo cuentan. No se puede ya probar, por el estado de movimientos de todo tipo que ha experimentado esta zona de la ciudad debido a que, desde antiguo, se ha removido mucho tal paso, y principalmente por el paso del acueducto en dirección al depósito terminal donde se encuentra la Iglesia.

Entonces, si esta noticia es cierta, hasta dónde llegaba el canal de desagüe del Majuelo en cuestión. Realmente no se sabe porque, en su tiempo, se hizo un recorrido por su interior todo el espacio que fue posible, pero no se llegó hasta lo que podría haber sido su desagüe, por miedo a la existencia de acumulaciones de gases tóxicos demasiado peligrosos. Las aguas residuales que por aquí se evacuaban no han dejado marcas que se puedan detectar debido al largo tiempo de su abandono por los romanos y posteriores. Y la factoría no se volvió a poner en marcha en tiempos posteriores. El grosor de sus muretes laterales tenía unos cuarenta centímetros. Su cubierta era de medio cañón construida con cimbra sobre los muretes como se puede comprobar.

Foto 7. Finca del Majuelo.

La prueba fehaciente de que este canal era un desagüe de las aguas residuales de toda la factoría del Majuelo y parte de la existente en otros niveles del complejo, como Morería Alta y Morería Baja, y algunas más, está en el estado que muestran los muros interiores que lo forman. No se ve ningún tipo de estuco que lo impermeabilice. Ni siquiera restos de haber existido, como se puede ver en la imagen: las aguas residuales eran arrojadas fuera del recinto porque eran tóxicas, sucias y contaminantes. La altura del canal superaba el metro y medio, sobre todo en su interior. Su anchura llegaba a los cincuenta centímetros.

Foto 8. Callejón del Silencio.

Zona por donde se encontraron las esculturas romanas enterradas. A izquierda está la prolongación de las estructuras romanas junto al Majuelo y, por tanto, se trata del mismo yacimiento, pero sin excavar, y en la cimentación de la nuevas viviendas ha aparecido material idéntico al del Majuelo. Realmente llegan hasta el inicio del Callejón de la Najarra y termina donde se encontraba el Cine Galiardo. A partir de ahí, y por toda la Avenida de Cala, no hay nada, como se ha comprobado en rebajes grandes de terreno por esa avenida.

Foto 9. Callejón del Silencio.

Esta construcción es una prolongación de los muros romanos que se encuentran en la parte noreste del Majuelo. La base es romana, pero el alzado muestra aparejo de ladrillo medieval alternando con bloques de tierra prensada árabe. O sea, se trata de una reutilización de materiales y estructuras anteriores. Y este resto de muro árabe se prolonga por todo el Callejón del Silencio hasta encontrarse con el terreno de Pensión Marina. Y muy cerca se va a encontrar con la doble muralla romana que baja por calle Vélez en dirección a río Seco.

Foto 10. Callejón del Silencio.

El pie de este muro de base romana, cerraba este paso artificial en dirección al Callejón de la Najarra.

Foto 11. Callejón del Silencio.

En esta imagen del límite actual del Majuelo con calle Nueva. que se encuentra detrás, puede verse una rama escalonada con canalización de agua entubada que desciende de la zona alta, pero no localizada. En el interior de esta rampa escalonada baja también un canal con función de cloaca, para evacuar los restos de la elaboración de los productos elaborados en zona altas de la factoría. 1, Casas modernas adosadas a los muros romanos. 2, Muros romanos de fondo que llega hasta el talud del Majuelo. 3, Sistema de piletas escalonadas aprovechando el espacio superior. 4, Rampa general de subida a las piletas situadas en niveles altos, y por donde discurre el canal general de desagüe que puede ver al final de la rampa. 5, impronta donde iba una canalización de agua industrial procedente de la fuente de alimentación que se situaba en las cota más elevada.

Posteriormente se cree que esta rampa escalonada que, en principio, sería utilizada para subir hasta las piletas que aquí se montaron, posteriormente podría haber sido utilizada como elemento de acceso hasta la Puerta del Alcazaba, ya de etapa árabe. Es posible, pero no probable por lo escrupuloso que fueron en su comportamiento con todo lo romano con que se encontraron en su invasión. Tan sólo hay una construcción romana que fue usada por los árabes con toda claridad en un sector que después se mostrará.

Foto 12. Majuelo. Graderío

Imagen para detallar puntos: Casas modernas adosadas a los muros del Majuelo desde calle Nueva y cercanías. Rampa de acceso y bajada de canales interiores. Canal en superficie con la impronta de haber tenido tubería de cerámica machihembrada. Muro romano con aparejo diferente al general de opus incertum. Se utiliza también el ladrillo con diferente dibujo. Detalle al final de la rampa donde hay una estructura taponada y a la que se ha considerado falsamente como Puerta del Alcazaba. Superficie que pertenece a una plataforma que fue parte del foro, o de la basílica que debió existir aquí. Muro de vivienda moderna dando al Majuelo.

Foto 13. Majuelo.

Imagen para determinar bien la encrucijada de estructuras romanas que de muestran aquí. 1, Impronta de canal entubado. Entrada cegada de los sótanos bajo el suelo del foro. Canal de cloaca de salazones. Escalinatas y canalizaciones de abastecimiento de agua y gran canal procedente de la recogida de aguas residuales de las piletas de salazones situadas en altura, como las de Morería Alta.

Foto 14. Majuelo.

La imagen muestra la siguiente información arquitectónica: Casas modernas limítrofes que se apoyan sobre los muros del Majuelo. Lienzo de muralla que ha quedado aislada en el aparejo general del recinto. Su estructura es de composición diferente al opus incertum usado de forma generalizada aquí. Puede tratarse también de un opus mixtum que ha quedado aislado arquitectónicamente.

Foto 15. Majuelo.

Parte posterior del Foro romano de la factoría. La plaza principal de la misma estaba enlosada con mármol blanco, del que tan sólo quedan pocas piezas. Debajo de esta plaza o patio hay elementos de almacenaje como se verá. Las casas limítrofes con la factoría han absorbido muchos elementos pertenecientes al Majuelo de tal modo que alguna de ellas conserva en su interior galerías abovedadas de primer orden y muy bien conservadas. Muro romano bastante elevado sobre el nivel general que da la impresión de ser un torreón, pero sólo es un resto así conservado. No es parte de ninguna muralla árabe como se ha dicho por algún autor. Sólo con fijarse un poco en la técnica edilicia basta para su identificación: opus incertum. Aparejo de opus incertum deteriorado. Paramento roto por usar estos restos de cantera. Muro de gran tamaño de separación de estructuras, a izquierda.

Foto 16. Majuelo.

Se muestra esta foto de detalle para corroborar que esto no es un torreón medieval o árabe concreto, ni nazarí de ningún otro tipo. Es romano, y es un fragmento de muro que ha sido reutilizado por los vecinos de detrás. En su base se ve con claridad el opus incertum digamos reciente; y en la parte baja del mismo también, con la técnica más antigua, pero del mismo tipo.

Foto 17. Majuelo.

La imagen muestra un tipo de edificación rectangular casi en el centro de la superficie del patio. La parte superior dispone de una entrada que da la impresión de haber sido abierta a golpe para examinar su contenido. Al examinar sus muretes laterales se puede llegar a la conclusión de que estaban revestidos de mármol también que ha sido usado, como todo, de cantera por expoliadores. Sus medidas aproximadas son: 3×1.50×4 m. Además se ha tocado parte del suelo para ver si era más profundo por inexpertos.

Foto 18. Majuelo.

Esta puede ser la plaza del foro por los elementos que contiene y lo bien que debía estar el suelo con materiales de cierto lujo, pero se puede ver con claridad que esos materiales prácticamente han desaparecido. Se ven las improntas del enlosado. Han sido arrancadas. Muro de fonda que puede definir una parte del foro. Estructuras anejas a la central. Murete adosado de sujeción del muro de separación de la factoría.

Foto 19. Majuelo.

Imagen del suelo con las improntas. Marcas de las improntas. Muro de refuerzo y separación de lo estrictamente pileta de salazón.

Foto 20. Majuelo.

Vista de la casi totalidad de la plaza actual con las marcas y los restos de las piezas de mármol blanco que aún quedan, y ocupando el lateral de la plaza, la construcción con almacenaje interior. Es evidente que el tamaño del foro ha sido reducido por las nuevas construcciones que se ven adosadas. O bien ha evolucionado a través de los siglos reduciendo su espacio. Sorprende que no hayan aparecido columnas.

Foto 21. Majuelo.

Imagen para mostrar el tipo de losas de mármol blanco usadas en el revestimiento de la plaza. Se duda si aún existen. Al parecer, la edificación también tenía revestimiento de mármol en su periferia. Hay pequeños restos que lo indican. Por aquí no hay canteras de mármol. Es probable que se trajera de Macael (Almería).

Foto 22. Majuelo.

Detalle de colocación de las baldosas de mármol y su secuenciación en formas y medidas. Se tiene la impresión de que las baldosas de mármol aparecen como si se hubiera construido encima de ellas, según la foto. Y esto puede ser un dato a tener en cuenta se se pretende establecer una cronología de las edificaciones. En este caso puede entenderse que la solería es anterior a lo que se ha montado sobre ella. Y, además, se puede pensar que el foro ha sido retocado en el tiempo en sus dimensiones con respecto a las edificaciones que se extendían hacia las construcciones nuevas en el pueblo y, en concreto, hacia calle Nueva y elementos anejos.

Foto 23. Majuelo.

En esta imagen se pretende dar una aclaración sobre el aprovechamiento de los espacios en las direcciones que se pueden ver. Y aquí es evidente el montaje de piletas de forma escalonada y que, además, a los lados se fijan otras pequeña piletas. Se ven cinco altos escalones.

En cuanto a los muros protectores y de separación, se puede indicar: muralla romana de protección, sobre la que se van a apoyar las casas modernas de zonas altas como la calle Clavelicos. Muro medieval perteneciente a la estructura de la entrada fijada por la Puerta del Alcazaba. Pilares de gran potencia para fijar el arco árabe de entrada de la Puerta del Alcazaba. Base en la que se monta el pilar de la puerta citada. Se tiene dudas sobre la técnica de esta base porque podría ser romana en origen, aunque su resistencia al tiempo es débil porque se cuartea hasta el punto de derrumbarse. como ha ocurrido recientemente con parte de la muralla árabe,

Foto 24. Majuelo y Puerta del alcazaba.

Se remarcan los puntos de la foto precedente para exponer con mayor claridad las diferencias entre estructuras árabe, débiles, y las potentes romanas, así como el sistema de aprovechamiento de los espacios para montar industria. Pero sorprende que las estructuras árabes, como la Puerta del Alcazaba, que no muestra claramente su punto de acceso. Debería haber estructuras claras para poder acceder a ese punto. En el pasillo de esa entra se utiliza material romano de derribos.

Foto 25. Puerta del alcazaba. Perspectiva de la salida de la muralla romana desde el punto norte del Castillo de San Miguel en dirección al centro del pueblo Esa parte de la muralla romana ha sido aumentada de altura con materiales romanos. Debió respetarse lo genuino porque da una impresión falsa a primera vista. Se nota que está rota para poder abrir paso al uso de vertedero de esta parte del Majuelo.

Foto 26. Puerta del alcazaba.

Imagen de Puerta del Alcazaba: Gran pilar del arco califal algo carcomido por el tiempo. Lienzo de muralla hacia el Castillo. Lienzo de muralla árabe. Supuesta Puerta del Alcazaba. Talud sobre el Majuelo. Punto de arranque del gran pilar de la Puerta. Su arranque es árabe, no romano. pero abunda el uso de los materiales romanos.

Muralla árabe de poniente: Gran pilar de la Puerta del Alcazaba que tenía, como se ha dicho, un gran arco califal. Gran lienzo de muralla formado por grandes bloques de tierra prensada. Es inestable y tiende a derrumbarse. El cimiento es bastante débil y es motivo de su inestabilidad. Aparte de esta información hay que decir que en su parte interior ha sufrido manipulaciones quitando algún material de su estructura.

Foto 27. Puerta del alcazaba.

Foto de detalle del punto de arranque de la Puerta del Alcazaba. El material empleado en su construcción es la piedra tallada y la tierra prensada. Analizando con detalle, los muros del corredor de esta puerta están hechos usando materiales romanos destruidos con este fin. No son piedras talladas por ellos, y es su modo de proceder en todas las construcciones que llevaron a cabo en el tiempo que ocuparon estas tierras. Este fenómeno se puede ver en todas las murallas e incluso en edificaciones del Castillo de San Miguel, donde algunos aparejos dan la sensación de haber sido hechos por los romanos, no siéndolo.

Foto 28. Muralla árabe.

Imagen que anteriormente ha sido comentada; el interior de la muralla sobre el Majuelo está prácticamente carcomida, y esto ha sido una de las causas que ha podido provocar que sufra su derrumbe.

Foto 29. Pasillo de entrada por el Puerta del alcazaba.

Pasillo-corredor interior de Puerta del Alcazaba. A simple vista, sin prestar mucha atención, estos muros de piedra parecen romanos, y sí, son romanas las piedra reutilizadas en su construcción. Pero la gran diferencia está en cómo se colocaron y que material servía de sujeción por dentro. Ahí estriba una gran diferencia: el caementum romano deba una consistencia secular; el árabe, no. La tierra prensada es muy inestable. Esta muralla de aparejo de piedra se dirige hacia la calle Clavelicos, donde, después, se ignora el rumbo que le dieran porque se ha construido mucho moderno e impide ver su secuencia.

Foto 30. Calle Oberlan.

Acceso a las cercanías de la parte superior del Majuelo. Esta calle ya no existe. Muro de entrada a la alfarería donde se encuentra un lienzo considerable de la muralla árabe sobe el Majuelo. Puerta de entrada a la Alfarería y espaldas de la muralla árabe.

Foto 31. Pasillo interor de la Puerta del Alcazaba.

Desde la calla Clavelicos se divisa, detrás de una casa, el muro de pasillo-corredor de Puerta del Alcazaba. Curiosamente en este tramo al aparejo aparece ya enlucido, lo que significa que la parte que se dirige al talud se ha descarnado.

Foto 32. Calle Clavelicos

Estructura final de calle Clavelicos. A partir de este punto se inicia la muralla romano-árabe-cristiana., que se dirigirá por calle Antigua, con derivación hacia cueva de Siete Palacios para formar una especie de círculo llegando a cuesta del Carmen y finalmente Muralla de Levante y alguna otra derivación. En la misma cuesta del Carmen hay una derivación que se dirige hacia las partes bajas de la muralla de Levante, y es de época cristiana con precedentes árabes.

Foto 33. Calle Oberlan

Se repite esta imagen para hacer notar el uso de sillares como elemento constructivo en el aparejo de todo el muro. Lógicamente se está hablando de una reutilización de materiales, en este caso romanos. No se llega a comprender por qué los árabes no llegaran a utilizar estos fuertes y duraderos materiales en lugar una una débil tierra prensada, como elemento principal de sus murallas. Aunque en algunos lugares los usan, como el Castillo de San Miguel y Puerta del Alcazaba, entre otras.

Foto 34. Calle Oberlan

Estructura desaparecida en prolongación del muro de calle del la alfarería, donde se utilizó espacio romano para hacer una pequeña casa. Se encontraba muy cerca del Foso del Castillo.

Foto 35. Calle Oberlan.

La pequeña calle llamada Oberlan. Los muros de esta casa se encuentran enmarcados por formas romanas con aparejo muy encalado. El muro de enfrente se dirige hacia la puerta del Alfar.

Foto 36. Calle Clavelicos.

Desde la muralla árabe se pasa a las estructuras situadas justo detrás del foro del Majuelo. La fachada de esta casa y su interior son de una galería transformada. A su lado hay otras que se verán. El tipo de módulo es el más común de todo el conjunto, aunque presenta una calidad superior, como se verá. Se puede observa el grosor y la estructuras de las jambas de la casas y se comprueba que sus materiales son romanos, porque los que existían en esa época eran realmente muy débiles. Son umbrales fuertes.

Foto 37. Calle Clavelicos

Éste es uno de los rincones cercanos a las estructuras del Majuelo o dicho de otro modo, forman parte del Majuelo. Sobreelevación de la estructura de esta casa porque se encontraba por debajo del nivel del Majuelo, lo que da a entender que parte de la casa está usando estructuras que pertenecen a la factoría. Puertas de acceso a la vivienda donde se conserva una de las galerías abovedadas mejor conservadas de toda la factoría, como se verá. Desgraciadamente todo esto ha sido derribado.

Foto 38. Calle Clavelicos

En una de las fachadas precedentes se puede observar y comprobar que sus muros laterales pertenecen a una galería enrasada. En se ve con evidencia que son los terminales de los mismos. En los extremos de esta casa se pueden comprobar el perfil de una galería dando a su vez las dimensión de su anchura hacia la calle, indicando además que la galería se proyectaba hacia lo que en ese momento es calle. Desgraciadamente todo esto ha sido derribado en la actualidad.

Foto 39. Calle Clavelicos.

Se presenta en esta imagen el uso que se ha venido haciendo de forma general en el siglo pasado: galerías transformadas en refugio de animales del campo. Los muretes del fondo y laterales se encuentran enlucidos con material moderno, pero se trasluce el aparejo interior. Todo ha sido destruido.

Foto 40. Calle Clavelicos.

Foto de detalle para indicar las características de los tres accesos que se muestran: Puerta de entrada a galería mayor de esta zona. Acceso normal según el nivel de la calle, cosas que demuestra que las estructuras interiores de esta casa colindante con el Majuelo han sido muy alteradas. Escalones empinados para poder acceder a la casa moderna con estructuras romanas en su interior.

Foto 41. Calle Clavelicos

Galería abovedada en interior de la casa. Su acceso moderno se hizo rompiendo un lateral. Sus muros son resistentes con un grosor de 60 centímetros. Su módulo es de las mayores hallados: 10×1.6×3 x 5.50 m. Su antiguo acceso se encuentra en su cubierta, con una abertura circular que se encuentra taponada de época. La construcción de hizo levantando primero los muros laterales y sobre ellos, mediante cimbra, construyeron la bóveda. El encalado es débil, cosa que permite observar bien el aparejo de opus incertum, técnica constructiva empleada en su realización. Esta galería es lo único que se conserva de todo este conjunto.

Foto 42. Calle Clavelicos

Vista de la parte opuesta de la galería, donde se puede apreciar la forma de murete de cierre al fondo, con un aparejo irregular. El suelo es prácticamente roca madre.

Foto 43. Calle Clavelicos

Detalle de la cubierta de la galería para comprobar su entrada por el techo, y otra más pequeña cerca de ella, que muestra una función respiradero, o sea, elemento de ventilación de los almacenes. Es la única galería que muestra esta dado informativo; las demás galerías deberían tenerlo, pero los retoque modernos sufridos lo impiden. El diámetro circular de la entrada mide 40 centímetros aproximados.

Foto 44. Calle Clavelicos

Foto de detalle para mostrar el agujero-respiradero de la cubierta. Mide aproximadamente 7 centímetros de diámetro.

Foto 45. Calle Clavelicos

Calle Vélez, parte final y lateral. Las construcciones que se ven tienen estrecha relación con las estructuras del Majuelo. Están utilizando tanto parte del foro como galerías en sus interiores y se abre un pasillo que conduce a otras partes anejas.

Foto 46. Calle Clavelicos

El conocido como pozo de la calle Nueva. Se han hecho fotos de su interior y se ha comprobado que tiene las mismas características que el descubierto por Sotomayor dentro del Majuelo. Tienen las mismas medidas.

Foto 47. Calle Clavelicos

Pasando por el estrecho pasillo anterior, a derecha se han descubierto estos espacios interiores que tienen las medidas normales de galerías, similares a la vista en la foto antes descrita. Su función es la misma que se viene comprobando.

Foto 48. Calle Clavelicos

Espacio destinado a apero o depósito de material usado, pero se trata de otro espacio perteneciente a las estructuras cercanas del Majuelo. Al fondo se aprecia bien el uso de aparejo romano detrás de es antigua puerta.

Foto 49. Calle Clavelicos

Espacio que es prolongación de las formas arquitectónicas del foro del Majuelo, convertido en corral de animales. Se puede ver cómo se transparenta el aparejo de opus incertum a ambos lados del local. Al fondo, una escalera acceso a una azotea moderna montada sobre esta estructura y que da vistas al parque del Majuelo.

Foto 50. Calle Clavelicos

Detalle lateral de la misma cuadra, con las mismas características arquitectónicas.

Foto 51. Calle Clavelicos

Detalle del muro opuesto con escaleras al fondo. Se nota perfectamente el aparejo romano a través del encalado.

Foto 52. Calle Clavelicos

En esa callejuela se puede ver la entrada a un espacio cerrado del conjunto de estructuras que han sido ocupadas modernamente por gente del pueblo. Los interiores tienen galerías que, en parte, han sido ya mostradas.

Foto 53. Factoría de salazones del Majuelo

Y, de vuelta a la factoría del Majuelo, se inicia una descripción de las unidades arquitectónicas usadas en la construcción de sus componentes. Se destacan el gran canal procedente de la parte superior de la factoría y de espacios superiores; y, a su lado, la impronta de señales dejada por la tubería machihembrada que baja en pendiente para abastecer de agua los elementos de todo el área de salazones.

Foto 54. Factoría de salazones del Majuelo

Vista frontal donde se destaca el graderío de acceso a la parte alta, y los canales anteriores descritos. Esta parte se encontraba en fase de excavación en estos momentos.

Foto 55. Factoría de salazones del Majuelo

Foto detalle para resaltar la canalización de la tubería de cerámica que descendía sobre la impronta que se ve sobre el muro primero. Detrás, el canal mayor de aguas residuales de los desechos de fabricación. Todo este conjunto está montado sobre roca madre.

Foto 56. Factoría de salazones del Majuelo

Detalle del canal grande de aguas residuales sin cubierta y tapado con simples lajas de piedra para que sirviera de recogida de desechos a su paso por todo el recorrido a través de la factoría.

Foto 57. Factoría de salazones del Majuelo

Detalle del canal de desagüe con su estructura. Baja cubierto con bóveda de medio cañón, y se queda descubierto para ser utilizado a su paso junto a las piletas.

Foto 58. Factoría de salazones del Majuelo

El canal sin apenas cubierta recorre los espacios industriales con superficies en forma de pasillos empedrados a ambos lados.

Foto 59. Factoría de salazones del Majuelo

Aquí se muestra el estado y ordenación de piletas que se conservan con sus estructuras algo dañadas. Se ve incluso un punto de desagüe por donde discurre el canal general de recogida de desechos.

Foto 60. Factoría de salazones del Majuelo

Visualización del canal con sus pasillos laterales en su recorrido por la factoría.

Foto 61. Factoría de salazones del Majuelo

Destaca en esta imagen el pozo que apareció en uno de los cortes que realizó Sotomayor. Antes de ha visto otro pozo en final de calle Nueva, que tiene las mismas características e incluso, forma. Aún conserva los puntos de apoyo sobre los que se montaría la polea para extraer agua del mismo. Pero sospechamos que este pozo también se ha utilizado en época moderna, porque afloraba en superficie en medio de la arboleda.

Foto 62. Factoría de salazones del Majuelo

Vista general de la factoría excavada en la que se ve la diferencia de conservación y tipología de los sectores que forman su conjunto. Ello da pie a que haya que distinguir los diferentes sectores. Pero conviene aclarar que las dimensiones de la factoría son mayores de lo que aquí se muestra. Toda la zona ajardinada tiene debajo infinidad de estructuras enterradas para destacar el jardín. Si es una zona arqueológica de primer orden en su extensión y tipología, debería haberse mostrado la totalidad de su contenido. Aquí tenemos una factoría de escaparate, no una factoría científica. Mejor, enterrada y oculta.

Foto 63. Factoría de salazones del Majuelo

Otro punto de visión de los diferentes sectores para destacar que entre los grupos homogéneos de piletas se puede establecer la unidad que contiene cada parte. La diferencia de tipos y medidas determina e producto y tipo de pescado que se elaboraba en ellas. de ahí la diferencia de tamaño.

Foto 64. Factoría de salazones del Majuelo

Esta imagen muestra las piletas y cómo se deben clasificar. Se observan sus tipos agrupados indicando que el tamaño de las productos que se elaboran son de diferentes medidas. Pero se entiende que no se mezclarían porque su finalidad es conseguir el mejor precio de ellos en el mercado.

Por otra parte, hay que considerar que estas estructuras tenían que estar cubiertas para protegerse tanto del sol como de la lluvia. Y por ellos se ve en los muretes de los conjuntos que son utilizados para protegerlos. De esta forma, esas piezas son levantadas a la altura conveniente para que se pueda montar una techumbre que proteja dicha unidad. Se deja entender que la cubierta sería estratégicamente montada para formar una red de cubiertas que recogieran las aguas de lluvia, por una lado, y protegieran del sol, por otro.

Foto 65. Factoría de salazones del Majuelo

Esta imagen recoge un momento en que la excavación no está finalizada y, además, se encuentra recortada. Se han levantado estructuras modernas encima de las piletas, que evidentemente, están contra la protección de estos trabajos.

Foto 66. Factoría de salazones del Majuelo

Esta unidad de piletas está enmarcada por muros perimetrales con el fin de levantar y cubrir estas formas tal como se ha dicho anteriormente.

Foto 67. Factoría de salazones del Majuelo

Vista que recoge parcialmente los grupos de piletas.

Foto 68. Factoría de salazones del Majuelo

Este juego de piletas junto a los grandes muros perimetrales indican que probablemente se han levantado sobre ellas desde época romana, dato que habla de su evolución.

Foto 69. Factoría de salazones del Majuelo

Foto de una serie de similares estructuras que muestran los muretes pequeños destinados a proteger las techumbres que se montarán encima además de establecer una separación entre las piletas y sus productos.

Foto 70. Factoría de salazones del Majuelo

Esta esquina de la factoría contiene un espacio donde se trabajaría la preparación de las materias primas destinadas a la salazón. El pilar central indica que su cubierta podría ser a cuatro aguas, pero es sólo una suposición.

Foto 71. Factoría de salazones del Majuelo

En la parte izquierda, sobre el talud del Majuelo, aparecen de vez en cuando estructuras naturales con huecos por fallo de la roca. En este caso se muestra uno de ellos donde se ve que han sellado esos fallos del terreno para dar uniformidad y seguridad a las las estructuras romanas que se encuentra debajo. Es la primera vez que se publica un fenómeno como éste dentro de los estructuras generales halladas en toda la factoría industrial que lo abarca todo.

Foto 72J. Prototipo usado en Marruecos atlántico.

Se trata de un ejemplo de cubierto de cubierta una factoría de salazones en la Tingitania romana de Marruecos.

ELEMENTOS CONTABILIZADOS EN LA ZONA COMENTADA

Murallas; 1, Parte del Castillo, romana; árabe; 2, en Talud del Majuelo.; Callejón del Silencio. Puerta del Alcazaba.

Piletas de salazones: Centenares en el Majuelo.

Galerías abovedadas-Criptopórticos: 1, en el Majuelo; 6 en final de calle Nueva.

Canales: 3 en Majuelo, y 2 pozos: uno en calle Nueva y otro en Majuelo.

ELEMENTOS INDUSTRIALES DE LAS ACALLES MORERÍA ALTA, BAJA, Y CALLE NUEVA

En este apartado nos encontramos con uno de los sectores con elementos romanos industriales en los que se manifiesta una evolución cronológica en sus elementos tanto en la forma como en los materiales. Se usa el ladrillo alternando con la piedra, y la forma de bóveda muestra un diseño algo diferente a los vistos en zonas como Cueva de Siete Palacios y Espaldas de San Miguel por poner algún ejemplo. Los componentes de este espacio en Morería Baja son galerías abovedadas pero no de medio punto sino rebajada. Se conserva un depósito de agua de ciertas proporciones. Pero, a la vista de otros materiales posteriores encontrados, pensamos que este hallazgo muestra una alteración de uso en época posterior, como se verá mas adelante. Piletas de salazones no se han encontrado por la simple razón de no haber excavado todo este solar. Y no podemos afirmar que fueran de salazones, por falta de pruebas. Sin embargo, los espacios no excavados debieron ser explorados. Y no se ha hecho. Han aparecido tinajas-dolium de ascendencia romana empotrados en el suelo. Un elementos hasta ahora nuevo es la la existencia de un horno de estructura romana, dicho sea de paso, ha sido cubierto de nuevo. Lamentamos esta falta de coherencia en el estudio de este espacio por las eliminaciones de estructuras romanas que son el objetivo de este trabajo.

Resumiendo se puede decir que tan solo disponemos de galerías romanas, depósito de agua y gran cantidad de materiales cerámicos que, suponemos, se encuentran en algún museo o depósito de materiales.

Estas estructuras industriales se encuentran en una cota aproximada de 35-40 m.

Secuencia fotográfica

Foto 1. Calle Nueva.

Hay que decir que las estructuras que empiezan a aparecer a lo largo de toda la calle Nueva son prolongación de las mismas del Majuelo. Y en la foto se puede ver, con motivo de la reposición de tuberías de abastecimiento de aguas, una estructura similar a la de un pozo del Majuelo. Pero en este caso, aunque se ve una estructura de posible pozo normal, pudo haberlo sido, pero en este ceso se ha podido convertir en un pozo negro para desahogo doméstico. Era frecuente el uso de estos pozos negros por deficiencias y falta casi total de alcantarillado.

Foto 2. Calle Nueva.

En la imagen que se expone, en la misma operación de nuevas canalizaciones modernas, hay un muro romano por su más que evidente estructura de opus incertum con mortero muy bien definido. Y se encuentra justo debajo de moros de casas modernas funcionando como cimientos. En general, las casas de esta calle no se cuartean debido a los muros que hay debajo de ellas, como es este caso.

Foto 3. Calle Nueva.

Muestra para verificar la alineación del muro romano anterior y su alineamiento con la calle. No se practicó ninguna excavación ni estudio de lo aparecido.

Foto 4. Calle Nueva.

Muy cerca de lo descubierto antes, se encuentra este arco antiguo, donde se ha derribado una casa en ruinas y, en los escombros de los cimiento antiguos se han encontrado materiales romanos que se consideran como superficiales por su falta de ubicación. No se permitió tomar más detalles.

Foto 5. Calle Santa Isabel

Esta imagen es muy reveladora de lo que se viene diciendo sobre las calles artificiales, que son todas. Si se observa el punto frontal de la calle, se ven las piedras de un muro romano saliente de la moderna pared, pero que forma parte de ella porque es romano el de la casa donde se encuentra. Esto se explica porque realmente un muro atravesaba este espacio para empalmar con las estructuras del Majuelo.

Es evidente que los nuevos inquilinos de Almuñécar abrieron paso a golpe de pico, y ese procedimiento se lleva a la práctica en todas las calles que se encuentran endiabladamente empinadas y con fuertes desniveles quebrados entre tramo y tramo. El paso que se ve es hecho mediante la rotura de las muros afrontados.

Foto 6. Calle Santa Isabel

Detalle de la foto anterior para remarcar el fenómeno arquitectónico. El punto frontal señala el muro romano roto para abrir paso entre calles que se van sumando para conformar un espacio habitable. Este proceso de reconstrucción es una constante permanente en todo el casco antiguo de la ciudad moderna.

Foto 7. Calle Santa Isabel

En esta imagen se ve la calle (artificial) donde se ven cómo tienen que elevar los accesos a la casas modernas mediante escaleras exteriores a las mismas. La calle tiene la anchura de una galería destruida pero en serie, o sea, una cadena de galerías ocupaban este espacio. La parte izquierda de la calle tiene galerías en los interiores de la casas, y algunas sobreelevadas como se ve y que en los sótanos de todas se encuentran galerías enrasadas en cadena. o sea, en el procedimiento general con que se construían las galerías.

Foto 8. Calle Morería Baja.

Visto desde el ángulo opuesto, se ve el estilo de escaleras usadas para poder acceder a las galerías posibles en la parte superior. El desnivel marca cómo se accede a una vivienda que está montada sobre los muros de un a galería enrasada. Los puntos marcan los espacios en los que se encuentran galerías en las partes bajas. Los espacios que tienen una sola altura tienen galería en su interior, aunque alguno de ellas se encuentra ya enrasada.

Foto 9. Calle Morería Baja.

En esta imagen se muestra otra escalera de acceso, con lo que se está dando la misma situación que en la anteriormente explicada. En toda esta serie de construcciones hay galerías en el interior de las viviendas modernas. Y algunos dejan como testigo la bóveda enrasada con escayola formando un falso techo.

Foto 10. Calle Morería Baja.

Y esta imagen indica en la transparencia del aparejo romano de su interior porque se está usando el muro romano como soporte principal. Ese fenómeno se da en toda la fachada de esta calle. (Morería Baja).

Foto 11. Calle Morería Baja.

En el siguiente tramo de Morería Baja se puede comprobar que las estructuras de acceso a las viviendas tiene que realizarse con escaleras exteriores y bastante elevadas. como puede verse en la esquina izquierda de esta imagen. La parte de sótano de esta casa tiene una galería algo más profunda de lo que se ve en imagen. Y su destino es ser usada de almacén o cuadra de animales.

Foto 12. Calle Morería Baja.

Esta imagen presenta la entrada artificial a una zona destinada a la industria y almacenes romanos. En primer paso se muestra el paso mediante roturas de estructuras; justo a su lado se usa un espacio que será usado como horno romano, y otras zona aneja que será usada como almacenes de productos mediante tinajas tipo dolium fabricadas por los romanos.

Foto 13. Calle Morería Baja.

Vista parcial del gran solar donde se han derribado casas para crear solar y hacer nuevas viviendas.

Se adelanta que no se ha practicado ninguna excavación reglamentaria. Así que veamos lo que ha aparecido a simple vista: al fondo: murallón romano de 2.30 m de grosor que, además, da a la calle posterior, (Morería Alta) de la que forma parte como espacio de tránsito. A izquierda, muro romano que queda a descubierto y que permite ver el aparejo usado y que se considera romano tardío por su textura. De frente a este muro, a izquierda aparece un arco bien trazado y que, cuando se ha descubierto, ha mostrado la forma antigua que tuvo tras haberse llegado hasta roca madre. Ello muestra una clara evolución en el tiempo. A su lado se descubrirá otro arco más elevado y cuya finalidad se ignora. Pero se supone que las estructuras romanas fueron muy modificadas con el paso del tiempo.

Muro maestro romano que presenta una abertura moderna para acceder a un espacio convertido en vivienda usando materiales modernos. Depósito de agua romano situado encima de las galerías abovedadas que se encuentran debajo.

Foto 14. Calle Morería Baja.

En un derribo un tanto descuidado, se pone a descubierto el «patio» donde se ven las distintas partes del conjunto de estructuras romanas. A izquierda se ve el aparejo con que estaba hecho el muro romano lateral de esta galería que se tiene de frente. En en centro, puerta abierta a golpe de pico que deja a descubierto parte del interior de una de las galerías mayores de este lugar. Y a derecha, muro lateral que separa de otra de las grandes galerías.

Puede observarse que en algunas partes de los muros romanos se ve el material moderno de relleno o intento de restauración. Sobre el suelo de este espacio puede verse un arco casi totalmente enterrado, y cuya historia puede remontarse a los tiempos más antiguos de todas estas formas que van apareciendo. Ese horno está casi desaparecido porque se le han superpuesto estructuras posteriores y lo han ocultado. Así que la cronología más antigua se manifiesta en esta pieza que sería abandonada y se construyó sobre ella y a su lado. Lo han ocultado los arqueólogos que han trabajado aquí.

Foto 15, Calle Morería Baja.

La primera gran galería encontrada en esta zona. Su estado de conservación es bueno. Y la gran novedad es su método de construcción. Aquí es el ladrillo lo más utilizado, pero el fondo y los muros de encuadre son de opus incertum. La bóveda es de medio punto. El acceso original está formado por un agujero cuadrado sobre la bóveda. Su finalidad: almacén algo rebajada. Las características generales, tanto de esta galería como las demás, se encuentran publicadas en el trabajo Seks, Almuñécar. Granada, España. Aquí tan sólo se expone la enumeración de los diferentes elemento que integran la Gran Factoría Total. Pero se incluyen detalles de identificación y algo de la cronología, nada fácil de establecer.

Foto 16. Calle Morería Baja.

Detalle de la bóveda. El uso del opus latericium es poco corriente aquí. En galerías, tal vez sean estas pocas las únicas que hayan sido construidas con este material. Es curioso observar la colocación de los ladrillos de la bóveda. La secuencia entre gruesos y finos es 3-3 o 3-6 según la situación en que se haya colocado en la bóveda. El acceso a esta galería está situado sobre el techo, como se puede ver y, además, tiene otro agujero de ventilación, como ocurre en la galería romana de la calle Clavelicos-Baja.

Foto 17. Calle Morería Baja.

Estado de conservación tal como se descubrió. Después se practica una restauración bastante acertada. Es un arquito de un paso que comunicaba las galerías entre sí. Pero hay un detalle que resaltar: Justo al lado de reparaciones antiguas, pueden verse otras de época moderna por la forma de utilizar el ladrillo y su argamasa. El taponamiento se realiza con material de derribo romano.

Foto 18. Calle Morería Baja.

Paso de comunicación entre galerías, taponado posteriormente con aparejo moderno e la vivienda que aquí había.

Foto 19. Calle Morería Baja.

Foto de detalle para mostrar con claridad la situación del punto del techo donde se encuentra el acceso a la galería. Su medida es superior a la del resto de las galerías vistas hasta el momento.

Foto 20. Calle Morería Baja.

Imagen que indica la situación del horno apenas en superficie. Puede verse una pequeño arco de medio punto hecho de ladrillos. El material no deja lugar a duda.

Foto 21. Calle Morería Baja.

Esta puerta, junto a una de las galerías, muestra las jambas construidas con ladrillo romano, cuando lo usual es la piedra vista. Pero dicha puerta no es originaria, sino hecha por los ocupantes de las cuevas-galerías. Se puede observar a ambos lados el uso de piedra y ladrillo. Son indicios de una etapa decadente porque esa mampostería es antigua y retocada modernamente.

Foto 22. Calle Morería Baja.

Vista frontal del muro que contiene en su alzado dos arcos de distinto tamaño, pero tapados por los ocupantes. La solería de lo que se usa como calle, en esta foto está sin excavar. Pero se hará.

Foto 23. Calle Morería Baja.

Antes de que se desmontara este conjunto de estructuras romanas, se visitó estando en un buen estado de conservación. El derribo de la construcción superpuesta fue realizado groseramente y sin consideración. Puerta de entrada a una de las galerías que se encuentran bien revestidas de material moderno, pero que dejaban ver el aspecto transformado de la galería. Hay un muro romano con mortero moderno. Ubicación del depósito de agua encima de las galerías. Muro retocado que conecta con otra galería. Muro sobre el que apoyan las galerías y que tiene, a su vez, dos arcos cuyo sentido de finalidad se encuentra muy confuso.

Foto 24. Calle Morería Baja.

En esta imagen se puede ver que este arco aparece enlosado con baldosas modernas. Posteriormente aparecerán tinajas dentro y, por último, el aparejo romano solamente sobre roca madre. No deja de ser un tanto confusa la situación y estado de cambios.

Foto 25. Calle Morería Baja.

Algo sorprendente: se simultanea la excavación y construcción de nuevas casas como se puede comprobar. La cierto es que se están sacando a la luz de forma simultánea elementos romanos. Finalmente quedan los dos arcos romanos descubiertos, pero, como se ha dicho, no se sabe muy bien cuál era su finalidad. Han aparecido siete dolium que forman lo que se considera como un sistema de almacenaje de líquidos o granos. (No se ha practicado, que se sepa, ningún análisis de sus interiores, como es de procedimiento). E primer plano se deja ver el emplazamiento del horno, a un nivel de profundidad casi similar al de las tinajas, cosa que hace pensar que se trata de una superposición de elementos romanos de distintas épocas.

Foto 26. Calle Morería Baja.

Detalle de arco ciego romano en el encuadre de las tinajas árabes. Los dolium quedan al descubierto y en un estado como si hubieran sido abandonados en el pasado.

Foto 27. Calle Morería Baja.

Horno romano soterrado porque su construcción es de etapa anterior dentro de las estructuras romanas, cosa que marca una diferencia cronológica entre el propio material romano. Conservaba carbones y materiales quemados de época romana. En realidad se trata de un proceso de evolución dentro de la cultura romana. Lo que da como consecuencia que las estructuras superiores son posteriores a lo que se ha descubierto en niveles bajos.

Foto 28. Calle Morería Baja.

Imagen donde se puede apreciar tanto la zona donde aparecerá una serie de vasijas romanas enterradas y, a su vez, las proporciones del depósito de agua romano de forma rectangular en la parte superior de todo el conjunto de estructuras (hoy desaparecido con el consentimiento tácito del arqueólogo). Las medidas aproximadas de este depósito son: 4.80 x 5.20 m x 1.80 m. Pero hay que decir que el estado en que estaba esta pieza no ofrecía claridad para medirla con exactitud debido al deterioro sufrido tanto por los que ocuparon estas estructuras como después en los derribos modernos. El descubrimiento de estos elementos romanos tuvo lugar en el año 1972.

Foto 29. Calle Morería Baja.

Detalle de un lateral del depósito romano donde se comprueba que sus muros y estuco del mismo aparecen picados para poder fijar sobre él revestido moderno.

Foto 30. Calle Morería Baja.

Detalle para comprobar el estado y calidad del estuco romano y resaltar cómo ha sido picado para aplicaciones añadidas en época moderna.

Foto 31. Calle Morería Baja.

Esta imagen es de las más valiosas para explicar qué ha pasado en este solar antiguo. En la parte superior izquierda se observa el muro moderno montado sobre otra estructura mural romana que, a su vez, forma parte del montaje en la creación de la calle que se encuentra detrás, o lo que es lo mismo: se ha creado una calle sobre la parte superior de un muro romano, que se verá más adelante. Muro romano usado como soporte del montaje que aquí existió. Muros divisorios de los distintos compartimentos en que quedaba dividido este conjunto que fueron usados para fijar los espacios de las casas modernas. Detalle de uno de los muros romanos divisorios que se puede distinguir con claridad. Terraza moderna montada encima de las galerías romanas que se encuentran debajo.

Foto 32. Calle Morería Baja.

Esta imagen muestra el gran muro romano de contención y apoyo de las estructuras que se están exponiendo. Los espacios divididos señalan la cantidad de elementos que han sido rotos con el derribo, dejando a descubierto tan sólo los espacios y dimensiones que tenían los elementos que se piensa existían aquí. Y, como se ha dicho en otro momento, no se ha realizado excavación. Tan sólo avistar y suponer que ahí hubo una estructuras importantes levantadas, de las que tan sólo nos queda lo que se viene mostrando con fotos descriptivas. Pero, lo que sí queda bien claro es el gran muros que discurre a la largo de toda la calle de atrás y que no sólo la sujeta, sino que forma parte de ella, como se verá.

Foto 33. Calle Morería Baja.

En esta imagen se ve cómo la casa nueva que se está construyendo está enmarcada dentro de las estructuras destruidas. Quedan bien claro los espacios de las construcciones romanas hechas desaparecer. El gran muro de la derecha forma parte de la calle Morería Alta hasta tal punto que forma parte de su suelo. La calle discurre por encima de un gran muro romano que ocurre en otras zonas del pueblo.

Foto 34. Calle Morería Baja.

En esta imagen se quiere destacar cómo el muro que forma parte de los espacios romanos considerados dentro de la calle Morería Baja, se sitúan sobre Morería Alta de tal manera que la calle llega a montarse sobre él. Es decir: calle y muro llegan a ser una misma cosa. Es un fenómeno que se da en varios sitios del pueblo moderno: calles hechas sobre murallas rebajadas.

Foto 35. Calle Morería Baja.

Casa moderna, pero con muros romanos en su base que se encuentra en la calle Morería alta, al igual que sus dimensiones. Los muros de esta casa son romanos y no se han tenido en cuenta a la hora de un análisis global de la zona.. Se encuentra donde el gran muro romano es utilizado como base de la calle Morería Alta.

Foto 36. Calle Morería Baja.

Esta es la situación en que se encontró una de las galerías romanas expuestas. Se desmontó y apareció el soporte romano en su interior. Un dormitorio de matrimonio ocupaba el espacio de la galería mayor. La sorpresa al ver la cubierta con forma de galería abovedada fue lo que motivó que se tomara sumo interés en iniciar un estudio de la cas y su contexto de la calle.

Foto 37. Calle Morería Baja.

Y éste fue el resultado posterior cuando se pudo recuperar esta pieza para el patrimonio histórico local. Después de la limpieza de los elementos modernos añadidos, pude verse el aparejo real que, en su momento primitivo, tuvo esta galería y las colindantes. Esto tuvo lugar cuando se desmanteló la adaptación para vivienda moderna y aparecieron, tras los materiales modernos, las varias formas de galería abovedada romana.

Foto 38. Calle Morería Baja.

Restauración y enlosado moderno. Era roca madre, pero hay que renovar. No es nada científico porque el suelo original era decisivo para poder determinar su origen y finalidad. Este enlosado enmarcara la verdad histórica.

Foto 39. Calle Morería Baja.

Apertura de los arcos antiguos que habían sido cegados y se ven las formas bien claras. Y se puede observar que los tipos de aparejo se mezclan: ladrillo y mampuesto de opus incertum.

Foto 40. Calle Morería Baja.

Detalle del interior, de una de las galerías en la que se ve un agujero abierto probablemente por los ocupantes. Estaba taponada y las han vuelto a abrir. El aparejo ha sido roto desde tiempos atrás. No hacía falta reabrir. Lo único que se ha conseguido es ver que la base es roca madre.

Foto 41. Calle Morería Baja.

Esto levanta la sospecha de que el resto de los materiales del espacio abierto no sea lo que se ha venido diciendo. Si se observa bien el fondo de este arco se puede comprobar que el material usado es el ladrillo romano, no árabe, y la técnica usada es la del opus latericium. En otras fotos del trabajo Seks puede verse que ese mismo espacio estaba ocupado por tinajas tipo dolium. No se sabe dónde se encuentran esas piezas. Pero ello hace pensar que todo lo que se encuentra en esa especie de patio es material romano, no árabe. Consecuentemente se está hablando de homogeneidad de ajuares, o lo que es lo mismo: tinajas para la líquidos o granos sin especificar. Datos que no se han analizado para concluir que las tinajas sean árabes. Hay mucha falta de rigor en la investigación arqueológica.

Foto 42. Calle Morería Baja.

Fachada restaurada, o mejor reconstruida con materiales modernos y con un estilo lejos de lo que fue cuando se construyó. No se ha intentado ni asemejarse a lo que fue romano en origen.

Foto 43. Calle Morería Baja.

Esta imagen se acerca más a la verdad en lo referente a los materiales. Los paramentos llevan un estilo más acorde con lo que aquí se construyó: opus incertum y opus latericium.

Foto 44. Calle Morería Baja.

Vista de la serie de tinajas con diferentes tamaños. Pero no dejan ver realmente lo que se encuentra en su interior ni su formato real.

Foto 45. Calle Morería Baja.

La entrada al horno romano ha vuelto a ser prácticamente taponada. Grave error contra la real estructura romana. Debe que estar visible para que se pueda comprobar su estructura interna y su funcionalidad.

Foto 46. Calle Morería Baja.

Vista de uno de los arcos en su estado primitivo, pero sin poderse explicar cuál era su finalidad. El aparejo no deja de ser sorprendente, ya que se usa la piedra y el ladrillo en su alzado.

Foto 47. Calle Morería Baja.

Vista de conjunto del patio de las tinajas, donde se ve la puerta principal de acceso a una de las galerías. El el arco menor se pueden ver dos huecos ocupados por tinajas. pero que han sido removidas por falta de seguridad.

Foto 48. Calle Morería Baja.

Vista de conjunto del aparejo del muro frontal de entrada, que llega hasta la calle de atrás, Morería Alta.

Estructuras analizadas en esta zona

-Dos galerías grandes construidas con aparejo opus latericium.

-Un depósito de agua bastante dañado, revestido de estuco.

-Siete tinajas del tipo dolium

Horno romano.

-Un muro de fondo que recorre todo el espacio de forma casi paralela a la calle Morería alta

-Espacios separados de forma casi simétrica en todo el recorrido del solar.

Conclusión sobre los elementos hallados

Es un conjunto completo de lo que existe en toda la parte Oeste de la gran factoría. Hay que decir que esta parte de la ciudad es la que registra mayores incidencias en cuanto a los elementos de fabricación; mientras que la parte Este se caracteriza más por la abundancia de elementos de almacenamiento. Como es lógico, las partes de la ciudad que presentan mayor número de sistemas amurallados es el núcleo central, pero no todas tienen los mismo objetivos de protección: los romanos vigilaban sus intereses con potentes sistemas de muros, sin elevarlos demasiado, mientras que los árabes basaban sus defensas sobre todo en la altura de las murallas y con materiales visiblemente débiles.

ELEMENTOS INDUSTRIALES Y ALMACENES DEL ÁMBITO DE LA CUEVA DE SIETE PALACIOS

Foto 1. Cueva de Siete Palacios.

En esta imagen se indica el momento en que se inicia y desarrolla la excavación de la Cueva de Siete Palacios.

Documentos inéditos hasta esta publicación

En la exposición de los materiales que se van a exponer es necesario poner orden y claridad en lo que se va a describir.

En primer lugar es forzoso decir que Cueva de Siete Palacios estaba montada como todos los sistemas de galerías: sobre roca madre. En consecuencia cabe aclarar que, si se encontraba sobre piedra, todo los demás sobra. Se ha realizado un trabajo sobre una mentira. Se ha supuesto que este espacio era una cantera para excavar por primera vez como una de las numerosos «cuevas» que se han descubierto.

La localidad está habitada por gentes de varios niveles sociales, y los mas humildes se ubicaron en la zona alta del pueblo. Y se ubicaron en las cuevas. Cuando lo hicieron, se encontraron con que esos habitáculos no tenían solería. No había más que herriza. Por otra parte, el resto de galerías distribuidas en todos los niveles posibles, fueron ocupadas también por gente humilde y, como eran espacios más pequeños, les fue fácil allanar la roca madre y hacer su habitáculo más acogedor. Hasta no hace mucho tiempo esas galerías menores no tenían enlosado normal, sino relleno de lo que más económico resultara.

Pero La Cueva emprendió una solución sin pensarlo mucho: fueron subiendo tierra y cascajos de donde podían y rellenaron progresivamente los profundo hueco que tenía la Cueva. La techumbre la este gran criptopórtico, sistema de bóvedas, venían filtrándose desde que fueron abandonados estas edificaciones. Verdaderamente se calaban y se mojaban. Se da fe de ello por haberlo visto.

Con el paso del tiempo, este edificio fue rellenado hasta un nivel razonable para las necesidades de la gente que aquí se había establecido para vivir. La higiene y más cosas era escasa. El agua de lluvia hacía lo suyo mojando las tierras que había echado sobre la roca. Conclusión: al paso de los años y con estas costumbres el suelo se asentó; y el agua de lluvia hizo también su labor, porque llegaba a penetrar hasta lo más hondo. Y algunos, como cosas de la vida y del comportamiento humano, se sirvió de du parte de estancia para usarla como lugar de enterramiento de animales como se verá después.

En cuanto a los paramentos que forman el diseños de esta construcción, hay que decir que no se ha utilizado en ningún momento tipo de estuco alguno. El alzado está hecho con la técnica de opus incertum, de piedra vista algo tallada. No se ha usado estuco ni nada similar. De arriba abajo los paramentos sólo presentan piedra vista sin argamasa, que solo se usa en su interior como elemento de consolidación. Así que los estucos que se citan en la excavación no pertenecen a la Cueva.

Aquí han vivido generaciones de familias pobres durante muchos años por no decir siglos, pero es el devenir de la vida humana y, sobre todo, de familias pobres, y de costumbres no muy bien avenidas.

Cuando la vida cambia y la evolución social se produce, estas gentes abandonan de forma progresiva este lugar y se establecen en casas más adecuadas: se produce un avance social y económico., En resumen: la Cueva de Siete Palacios es abandonada.

Llegan los años 60 al 80 del siglo pasado y se toma la decisión de llevar a cabo un estudio de lo que se llegó a considerar un edificio de cierta categoría histórica. Las autoridades del pueblo apoya la decisión y se autoriza que se inicie su estudio y, consecuentemente, su excavación arqueológica. En el año 1982 se inicia la excavación. Y se supone que existía una clara estratigrafía de los materiales que se ven en el falso suelo de la Cueva. Se excava y se contempla los niveles de los cortes practicados en el proceso. Se ven los diferentes elementos que se había depositado durante un largo tiempo por la gentes que ocupó y habitó en estas estructuras. Se empezaron a sacar conclusiones y clasificar materiales según iban apareciendo en cada parata debidamente marcada. Pero esto es una falacia. No hay más estratigrafía que la que provocaron los ocupantes del lugar transportando materiales de relleno de los sitios que pudieron. Así que todo el proceso está montad una una falsedad. Por ello se concluye que la excavación era totalmente innecesaria. Se mostrará foto de animal enterrado.

Pero, no obstante, se va a mostrar el proceso de excavación para que se vean los cortes que se han dado. Aquí, lo relevante es cómo las estructura de los muros divisorios de asienta sobre roca madre.

Foto 2. Cueva de Siete Palacios. Excavación.

Lo más relevante de esta imagen es que se llega hasta la localización de silicatos como roca madre, punto de apoyo de todas estas galerías afrontadas. Se ve el corte (de los escombros) que permitirá ver mejor el punto de arranque de todas las naves.

Foto 3 Cueva de Siete Palacios. Excavación.

Se llega a los fondos en excavación y se descubren muros romanos que no pertenecen a la estructuras de la Cueva. So anteriores, lo que revela una diferencia cronológica.

Foto 4 Cueva de Siete Palacios. Excavación.

Imagen donde se distingue el muro base de la Cueva y el muro más antigua casi adjunto.

Foto 5 Cueva de Siete Palacios. Excavación.

Con relación a la aclaración que se ha hecho al inicio de la excavación, se muestra este material de relleno donde se puede ver algo de estuco blanco que no pertenece a la Cueva.

Foto 6 Cueva de Siete Palacios. Excavación.

Corte con perfil perfecto sobre los materiales de relleno. Se puede ver el inicio de otros muros iguales a los que se han citado antes.

Foto 7 Cueva de Siete Palacios. Excavación.

Este es el espacio de una nave lateral de la Cueva donde se enterró un équido.

Foto 8 Cueva de Siete Palacios. Excavación.

Detalle de la foto anterior.

Foto 9 Cueva de Siete Palacios. Excavación.

En este espacio lateral se puede ver que la roca madre es lo que se usó como punto de apoyo de toda la estructura.

Foto 10 Cueva de Siete Palacios. Excavación.

Corte donde vuelve a aparecer estuco o material de yeso, todo mezclado con otros aglomerados introducidos para relleno.

Foto 11 Cueva de Siete Palacios. Excavación.

Muro anterior a la construcción de la Cueva. Se encuentra alineado y en inicio solamente. Es una de las galerías laterales pequeñas.

Foto 12 Cueva de Siete Palacios. Excavación.

Lo conocido como estuco blanco aparece aquí disperso, cuando tenía que estar a pie de los muros de la Cueva. Se supone que estarían sus paramentos enlucidos, pero eso nunca se produjo. Lacueva tiene el mismo aparejo ahora que cuando se construyó.

Foto 13 Cueva de Siete Palacios. Excavación.

En esta nave lateral no se dieron materiales dignos de mención. Sus proporciones son mayores. Se ve, además, el inicio de muros más antiguos y piedras sueltas.

Foto 14. Cueva de Siete Palacios. Excavación.

Esta imagen muestra fragmento de pintura blanca y roja, propia de las casas romanas. Este tipo ha podido ser traído desde la zona del Majuelo para rellenar.

Foto 15 Cueva de Siete Palacios. Excavación.

Restos en el fondo del relleno artificial.

Foto 16 Cueva de Siete Palacios. Excavación.

Imagen donde se puede ver en el fondo la forma de muro más antiguo, pero de tamaño menor.

Foto 17 Cueva de Siete Palacios, excavación.

En esta parte se ve un corte en que se ven piedras de relleno junto son los escombros y resto de muro anteriores. Además se ve un muro de la cueva que está afectado por el relleno que aquí se practicó.

Foto 18 Cueva de Siete Palacios, excavación.

Fondo con piedras procedentes del relleno.

Foto 19 Cueva de Siete Palacios, excavación.

Materiales de relleno dispersos en el fondo.

Foto 20 Cueva de Siete Palacios, excavación.

Restos de estucos y corte del material acumulado de relleno. En uno de estos rebajes aparecieron restos de cerámica romana y fenicia clásica. Probablemente se trató de afirmar que había parecido un indicio claro de la presencia fenicia en esa zona. Pero también se sabía que pertenecía a un ajuar funerario, pero resultaba, digamos, peligroso desde el punto de vista arqueológico e histórico. Admitir la existencia de una tumba fenicia implicaba no poder admitir un asentamiento fenicio permanente. Donde hay tumbas no se permite vivir.

Foto 21 Cueva de Siete Palacios, excavación.

Esta imagen habla sola por su estructura: aquí no hay más que un amontonamiento de material de relleno que no está cronológicamente dividido. No hay estratos. Tan sólo la capa artificial de arriba probablemente por las filtraciones de agua.

Foto 22 Cueva de Siete Palacios, excavación.

Estratigrafía sin orden de materiales.

Foto 23. Cueva de Siete Palacios, excavación.

Otro de los cortes con perfil muy dudoso.

Foto 24. Cueva de Siete Palacios, excavación.

No se ha hecho perfil porque el material no lo permite debido a su irregularidad.

Foto 25. Cueva de Siete Palacios, excavación.

Esto ha sido escarbar, no excavar. No hay estratigrafía.

Foto 26. Cueva de Siete Palacios, excavación.

Fondo limpio y sin estratos. Como se puede observar, la roca madre es muy molesta para hacer un asentamiento humano, sobre todo de una familia o, como realmente era, muchas familias humildes.

Foto 27. Cueva de Siete Palacios, excavación.

Resto de edificación sin identificar en al fondo sobre roca madre.

Foto 28. Cueva de Siete Palacios, excavación.

Falsa estratigrafía con la mayor parte de las anteriores.

Foto 29. Cueva de Siete Palacios, excavación.

Fondo con sólo restos de piedras aparecidos.

Foto 30. Cueva de Siete Palacios, excavación.

Bloque apelmazado de los materiales de relleno que se han depositado aquí. No hay una real estratigrafía.

Foto 31. Cueva de Siete Palacios, excavación.

En esta imagen se ven netamente las construcciones realizadas en ese terreno antes de que se construyera Cueva de Siete Palacios.

Foto 32. Cueva de Siete Palacios, excavación.

Detalle de el fondo de una galería donde se vel el material de relleno apelmazado.

Foto 33. Cueva de Siete Palacios, excavación.

En este corte se aprecia claramente como los ocupantes colocaron piedras para poder rellenar ese espacio inhabitable por su inhóspita estructura.

Foto 34. Cueva de Siete Palacios, excavación.

Imagen donde se aprecia bien parte de los muros que precedieron a la construcción de la Cueva. Los muros actuales aparecen como manchados por las filtraciones y forma de vida de las persona que aquí vivieron.

Foto 35. Cueva de Siete Palacios, excavación.

Estratigrafía nula. Es sólo un amontonamiento de piedras con tierra traída para allanar el hábitat.

Foto 36. Cueva de Siete Palacios, excavación.

Tanto se rellenaron los espacios inhabitables de Cueva de Siete Palacios que se llegó a hacer lo mismo con el canal que parte desde la misma Cueva y llega hasta la parte superior de arriba. El tipo de relleno es el mismo que se ha sacado de la cueva en general.

Foto 37. Cueva de Siete Palacios, excavación.

Canal procedente de la zona superior de la Cueva de Siete Palacios en sentido norte. Por exploraciones posteriores sobre la calle San Joaquín se deduce que este canal descendía hasta llegar a calle Real, donde vuelve a aparecer de nuevo en la zona de los grifos públicos.

EXCAVACIÓN DE LA CUEVA DE SIETE PALACIOS. PLANO DE LA CUEVA. ELEMENTOS REALES Y LÓGICAMENTE SUPUESTOS.

Foto 38. Calle San Joaquín. Cota de la Cueva de siete Palacios.

Esta imagen de los años 60s del siglo pasado refleja el estado en que se encontraba la fachada de acceso a cueva de siete Palacios. Aún vivían las familias humildes en su interior y construcciones añadidas: 1, Habitación adosada a la parte inferior de la estructura de complejo Cueva. 3, fachada externa con el aparejo picado por roturas en su alzado. 2, Muros que serna retocados modernamente para poder acceder a Cueva de siete Palacios. El estado general de esta edificación era deprimente por su aspecto de pobreza.

Foto 39. Calle San Joaquín. Cota de la Cueva de siete Palacios.

Es es el aspecto actual que muestra la zona de acceso moderno de la Cueva. Pero conviene recordar que el Ingeniero de Caminos C. Fernández Casado publicó ya fotos de este lugar en los años 30s del siglo pasado, donde se apreciaba, dentro de las deficiencias técnicas, como sobresalían notoriamente los restos de la galerías que formaron todo el lienzo situado frente a la entrada. Lógicamente se entendía que, debido a la ocupación de las estructuras que se encontraban encima de la Cueva, que era una verdadera red de galerías, -de la que aún queda gran parte-. la falta de cuidado, las filtraciones y el establecimiento de un depósito romano de cierto tamaño desde los inicios, las construcciones se resintieron y tanto las estructuras romanas como su ocupación por los naturales, y acabaron derrumbándose. Los escombros de esa caída se han visto durante tiempo, hasta que se limpiaron estas zonas y esos testigos desaparecieron sin lograrse que se tuvieran en cuenta para poder explicar que la Cueva era mucho más extensa de lo que ahora se ve.

Foto 40. Calle San Joaquín. Cota de la Cueva de siete Palacios.

Como bien se puede observar, se construye una escalera de acceso para entrar en la Cueva. Se ha llevado a cano sin miramientos estructurales. Se ha eliminado el material base se ese paso. En 1, se encuentra la entrada a la Cueva, pero no era sólo eso, sino que ese paso servía para unir la parte actual de la Cueva con la que se extendía por delante. O sea, que era una puerta de intercomunicación entre dos grande sectores que formaban todo cuanto se ve. Las galerías caídas y los que han sido derribadas llegaban en su recorrido hasta la muralla medieval que bajaba desde Eras del Castillo y continuaba por la zona del Torreón en dirección a la vertiente de Levante. Esta es la razón por la que en la planimetría de toda esta zona, las construcciones romanas abarcan más terreno del que se ve. La calle San Joaquín está hecha a base de romper estructuras paralelas a la Cueva. Y en esa misma calle, en los edificios que se contemplan, hay galerías que no están contabilizadas. La gente del campo que vivía por estos lugares se quejaban cuando tenían que pasar con caballería por esta calle por los restos de edificios rotos cuyos restos sobresalían del suelo y dificultaban el paso tanto de personas como de animales. La zona más difícil de explicar es la que se encuentra en el cruce de San Joaquín y la Cuesta del Castillo, aunque las estructuras interiores de esas casas dejan ver elementos que no son precisamente modernos.

Foto 41. Calle San Joaquín. Cota de la Cueva de siete Palacios.

Esta imagen manifiesta, además de paso de una zona a otra, el inicio de otro sector romano que comprende una estructura similar a la Cueva, pero con algo de cambio de nivel. Sus naves dispondrían de un diseño parecido. Lo indican los puntos de arranque de cada una de las naves que lo formaron. Incluso tiene mechinales tal como el interior de la Cueva. En definitiva, ésta formaba parte del conjunto total, llegándose a contabilizar cuatro partes bien definidas: cueva propiamente dicha, zona frente a la Cueva, zona de la calle San Joaquín, y zona de cruce con San Joaquín y Cuesta del Castillo. Se refleja todo en la planimetría.

Foto 42. Calle San Joaquín. Cota de la Cueva de siete Palacios.

Esta imagen muestra hasta donde llega la nave que forma una especie de crucero paralelo a la puerta de la cueva. Su interior termina en roca madre. También se uso como hábitat hasta hace poco. Su bóveda es de crucería, técnica no vista en las demás naces. Los puntos 1,2,3 indican las características señaladas.

Foto 43. Calle San Joaquín. Cota de la Cueva de siete Palacios.

Salida de la Cueva con pasillo de crucero a la siguiente fase del total de las estructuras de este gran sector. El suelo es una restauración (2). Los puntos 1,3,4, están ya fuera de la tipología de la Cueva.

Foto 44. Calle San Joaquín. Cota de la Cueva de siete Palacios.

Y esta misma nave con bóveda de crucería muestra el asentamiento sobre roca madre. Como era inhabitable en ese estado, los ocupantes rellenaron el suelo, como en la Cueva, para poder vivir ahí. Se ha limpiado, no se ha excavado.

Foto 45. Calle San Joaquín. Cota de la Cueva de siete Palacios.

Estado de la Cueva cuando se encontraba habitada, pero años ya después. Así era su superficie de suelo. Las naves restantes tenían el mismo tipo de suelo, cascajo y tierra traídos de fuera para rellenar los grandes huecos que tenía por la irregularidad del suelo roca madre. El suelo real es la roca madre.

Foto 46. Calle San Joaquín. Cota de la Cueva de siete Palacios.

Vista general de la segunda fase de la Cueva con las modificaciones modernas: muro para crear jardín y plantaciones de árboles. Se ha cometido un gran disparate al intentar ver si detrás de los muros del alzado de esta parte de galerías caídas-rotas, eran como las demás. Y en vez de enmendarlo, lo han empeorado porque han estado a punto de que se derrumbaran las casas con galerías que se encuentran encima, en la plaza superior. El punto 2 indica el paramento de fondo de las galerías de toda esta serie. el punto 3 indica el muro de cierre de las galerías. Y el punto 4 es un canal de época, o sea romano, que, al parecer, desaguaba un depósito situado en la parte superior, o bien formaba parte de un depósito a esta altura, ya que muestra restos de opus signinum a su alrededor.

Foto 47. Calle San Joaquín. Cota de la Cueva de siete Palacios.

Detalle sobre la foto anterior para corroborar el hecho de que este canal formaba parte de un depósito romano encima de estas galerías. el opus signinum se puede ver en sus laterales.

Foto 48. Calle San Joaquín. Cota de la Cueva de siete Palacios.

Vista parcial de una de las galerías arruinadas, y en la que se puede ver su material sobre el suelo.

Foto 49. Calle San Joaquín. Cota de la Cueva de siete Palacios.

Foto de detalle de una de las galerías caídas en este sector. En su parte superior se pueden ver restos de elemento impermeabilizante, cosa que vuelve a corroborar las existencia de un depósito de agua encima.

Foto 50. Calle San Joaquín. Cota de la Cueva de siete Palacios.

Puerta abierta para ver si existía alguna galería detrás. Tan sólo había los lógicos muros contrafuertes que apoyaban la estructura sobre la roca madre, tal como en la primera de estas naves. A punto estuvieron de provocar un derrumbe de las casas con galerías romanas que se encuentran justo encima.

Foto 51. Calle San Joaquín. Cota de la Cueva de siete Palacios.

Cuando se rompe y entre en la parte donde la galería se asienta sobre la roca madre, se descubre que sólo hay roca madre sobre la que se apoyan los muros laterales. Y se descubre la verdad estructural. Se refuerza lo que parecía que estaba en riesgo de caída y al tiempo se resquebraja y tienen que cerrar. Y ya que se ha provocado ese trastorno inesperado, ya no pueden cerrar del todo y la puerta permite ver si se va a producir un derrumbe. Lo único positivo de este trastorno es encontrar el aparejo romano intacto, tal como lo construyeron los romanos en esta pequeña parte del complejo. Se puede afirmar que este fue un gran descubrimiento: ver cómo se utilizó el opus incertum sin ninguna contaminación.

Foto 52. Calle San Joaquín. Cota de la Cueva de siete Palacios.

En esta imagen del exterior se ve cómo se suceden las galerías hasta probablemente el encuentro con la muralla medieval. Y es posible que los que levantaron esa muralla, rompieran galerías.

Foto 53. Calle San Joaquín. Cota de la Cueva de siete Palacios.

En el alzado de fondo de esas galerías los elementos suelen ser, como es natural, semejantes a los del interior de la Cueva. Y se muestra un mechinal de época como ejemplo.

Foto 54. Calle San Joaquín. Cota de la Cueva de siete Palacios.

Se muestra el final de esta serie de galerías rotas y se indican sus características. 1, muralla procedente de Eras del Castillo. 2,3 y 4 son las partes que quedan de pie, pero residuales. En 5, se muestra el material de derribo o caída que será reutilizado por los vecinos como elemento de sus casas. Parte de muro se ve roto por fenómeno de uso como cantera.

Foto 55. Calle San Joaquín. Cota de la Cueva de siete Palacios.

En esta foto de detalle se ve el cruce de los componentes tanto de la galerías como de la muralla, con una mezcla de materiales que llegan a confundirse entre sí. Está claro que el material de relleno de la muralla está formado por mucho elemento reutilizado de probables derribos. Había cerca de Eras un tramo con una terminación con aspecto de muro romano, pero que ha desaparecido, se supone por derribo reciente.

Foto 56. Calle San Joaquín. Cota de la Cueva de siete Palacios.

Esta imagen muestra una vuelta a la calle San Joaquín, que fue en todo su recorrido otra área de naves que de forma generalizada fueron destruidas, y de las que quedan algunos vestigios importantes que se verán a continuación.

Foto 57. Calle San Joaquín. Cota de la Cueva de siete Palacios.

Galería romana dentro de una vivienda adjunta a Cueva de Siete Palacios. Su acceso es por la calle San Joaquín. Sus proporciones y módulo son mayores que las que hay detrás.

Foto 58. Calle San Joaquín. Cota de la Cueva de siete Palacios.

Calle San Joaquín. Al final de la acera de la izquierda sobrealzada, en segunda planta se encuentra la galería de la foto anterior, junto al final de esa acera. El punto1 es la esquina donde nace el alzado interior de una galería que se ha excavado recientemente. El punto 2 señala otra casa que tiene en su interior otras galería que no se ha podido fotografiar, pero los vecinos habla de su existencia. En realidad toda esa acera realzada está en línea con las estructuras que se encuentran detrás y que conforman Cueva de Siete Palacios. El punto 3 señala la calle San Joaquín en un estado diferente al que ahora tiene. Dicha calle fue hecha destruyendo precisamente las estructuras de la parte de ese gran sector paralelo e incomunicado con la Cueva. Se ha dicho sobre ello que ese espacio a finales del siglo XX era intransitable debido a las ruinas que formaban ese espacio.

Foto 59. Calle San Joaquín. Cota de la Cueva de siete Palacios.

Dentro de esta casa se encontraba una galería de diferente diseño al de la Cueva, aunque se encuentra en la misma línea de edificación. Aquí se iniciaba un un módulo de construcción similar al de otros sectores ya vistos, como el F. y se dirigirá hacia Levante y hacia el Sur por calles Angustias Nueva y Carmen Nueva.

Foto 60. Calle San Joaquín. Cota de la Cueva de siete Palacios.

Puerta sureste de Cueva de Siete Palacios. Su anchura indica que los elementos que aparecerán serán diferentes en medida. Se prolonga en el sentido indicado y formarán una especie de complejo casi rectangular en juego con las galerías que se rompieron en calle San Miguel. A izquierda de la imagen hay una puerta puerta artificial. Se ha hecho rompiendo el muro de se continúa desde las galerías de la Cueva en el sentido antes indicado. En su interior hay una galería enrasada y otra con falso techo de madera. Ese tipo de Galería se va a repetir en calle Carmen Nueva, como se verá.

Fot 61. Calle San Joaquín. Cota de la Cueva de siete Palacios.

A la salida de Levante de la Cueva se ve una puerta artificial a través de la cual se puede ver una galería menor enrasada y el fondo en paralelo, otra de las mismas características, pero que no se ha podido tomar adecuadamente foto.

Foto 62. Calle San Joaquín. Cota de la Cueva de siete Palacios.

Aquí se muestra la bóveda con falso techo de madera, pero antes está la enrasada y, al fondo, una continuación de estructuras que se dirigen a Calle Nueva del Carmen.

Foto 63. Calle San Joaquín. Cota de la Cueva de siete Palacios.

A mano derecha tras la entrada por la puerta de Poniente de la Cueva, encontramos esta especie de entrada. La foto se ha hecho desde dentro y por la forma y aparejo de ese espacio, da la impresión de que se trata de un respiradero de época.

Foto 64. Calle San Joaquín. Cota de la Cueva de siete Palacios.

Otra de la aberturas que se encuentra en los extremos de la galería central. La función de estos huecos eran servir de respiradero y, el mismo tiempo que tiene esa finalidad, evitar a su vez la entrada de luz para que se den las condiciones de: ausencia de humedad (sobre roca madre) ligero pase de aire y evitar la entrada de luz. Con estas necesidades obligatorias se conseguía proteger los productos en su interior sin que sufrieran cambios en su composición. Esta técnica puede extenderse a todas las estructuras de los criptopórticos.

Foto 65. Calle San Joaquín. Cota de la Cueva de siete Palacios.

Foto antigua de una de los galerías laterales de la Cueva en la que muestra el estado del suelo antes de la excavación.

Foto 66. Calle San Joaquín. Cota de la Cueva de siete Palacios.

Los respiraderos situados en el techo de las galerías. Tan solo hay dos con estas características. El acceso a la Cueva estaría en las unidades que se encuentran en la prolongación de la parte Oeste del conjunto.

Foto 67. Calle San Joaquín. Cota de la Cueva de siete Palacios.

La segunda pieza de las galerías cercanas a la puerta de Levante de la Cueva.

Foto 68. Calle San Joaquín. Cota de la Cueva de siete Palacios.

Vista de la cueva de Siete Palacios desde la entrada. Se ve la nave central y las colaterales.

Foto 69. Calle San Joaquín. Cota de la Cueva de siete Palacios.

Vista de la cueva en un momento del montaje del Museo arqueológico Local.

Foto 70.

Fachada de la cueva de Siete Palacios: 1, paso inter-cuevas. No es la entrada específica de la Cueva, sino el medio de pasar de un sector a otro de los cuatro que contiene. 2, Es el respiradero de un sector a otro. Era la forma de ventilar en esas estructuras.

Foto 71. Calle San Joaquín. Cota de la Cueva de siete Palacios.

Imagen de detalle que se encuentra alrededor del desagüe situado en la parte superior de una de las galerías destruidas junto a Cueva de Siete Palacios. Es el opus signinum de revestimiento e impermeabilización de un probable depósito de agua situado en este punto muy importante, para la distribución de ese elemento.

Foto 72. Calle San Joaquín. Cota de la Cueva de siete Palacios.

Esta imagen revela lo que ha ocurrido con muchas galerías en otros espacios. La galería ha sido «engullida» por la construcción de moderna para transformarla en vivienda. Esto es testigo de ello. Está en posición paralela a la serie que se encuentra dentro de la Cueva, pero aquí se rompe el tipo y se construye con módulos diferentes.

ZONA SUPERIOR DE LA CUEVA DE SIETE PALACIOS

Es la planimetría sobre la parte superior de Cueva de Siete Palacios y gran parte de Eras del Castillo. Las galerías visitables tienen un trazado completo, mientras que las derribadas se indican con líneas discontinuas.

Se indican las diferentes secciones de todo el conjunto relacionado con la Cueva de Siete Palacios y elementos adjuntos a la misma.

Foto 73 Zona superior con galerías abovedadas. Eras del Castillo.

Rampa de subida a Eras Del Castillo, con edificios que contienen galerías en sus interiores y se reflejan en planimetría de esta zona.

Foto 74. Zona superior con galerías abovedadas. Eras del Castillo.

Por este paso artificial se accede a Eras del Castillo.

Foto 75. Zona superior con galerías abovedadas. Eras del Castillo.

Situación de la primera galería abovedada de la parte superior de la Cueva de Siete Palacios. Fue cerrada y sigue cerrada (afortunadamente) estas tres galerías en el mismo plano. Su estudio se hizo en los años 80s.

Foto 76. Zona superior con galerías abovedadas. Eras del Castillo.

Esta pieza forma parte del conjunto de galerías localizadas en esta parte del sector L y constituye una variante en las tipologías. En su bóveda se aprecia el agujero de acceso. La puerta es artificial. Se abrió a golpes de pico. Los punto 2, indican las dos pequeñas galerías laterales a derecha según se entra. El punto 1, su bóveda con el correspondiente agujero de entrada por arriba.

Foto 77. Zona superior con galerías abovedadas. Eras del Castillo.

El paso que se ve (2) es artificial, y el punto 1 y 3, son la indicación de dos galerías que se conservan en el interior de esta vivienda convertidas en dormitorios.

Foto 78. Zona superior con galerías abovedadas. Eras del Castillo.

En el interior de esa casa antes vista, aparece una de las dos galerías transformada en dormitorio. Su módulo se califica como elemento de las galerías normales pequeñas. La otra galería se sitúa aneja a ésta, y tiene las mismas características.

Foto 79. Zona superior con galerías abovedadas. Eras del Castillo.

Esta aparente plaza oculta el techo de la Cueva de Siete Palacios, en parte. El punto 1, oculta el muro exterior de una de las galerías de la zona. El punto 2, indica un muro que corresponde a otra galería que ocupaba esa parte. Y en su parte interna se encuentra otra de las galerías como se verá. El punto 3, es una superposición (que se sepa) de construcciones modernas encima de la galería de abajo. El punto 4, es una construcción moderna montada sobre la parte de la Cueva de Siete Palacios y las estructuras, también romanas. que dan a calle San Joaquín. Y el punto 5 es la construcción nueva montada sobre el complejo de la Cueva.

Foto 80. Zona superior con galerías abovedadas. Eras del Castillo.

Los punto 1 al 5 muestra un gran muro en su largura porque abarca varias galerías en su recorrido. Delante de ese muro el espacio que se ve estaba también ocupado por una galería. y el paso pequeño que se ve entre 4 y 5 fue abierto para poder ocupar las galerías que se encuentran detrás. El punto 6 es un espacio que han ocupada varias galerías y que se reflejan el el plano general.

Foto 81. Zona superior con galerías abovedadas. Eras del Castillo.

Entrada antigua artificial al espacio de tres galerías en Eras de Castillo: 1 y 2. Muro de separación de espacios de galerías. El módulo es normal pequeño. El apareo se encuentra enmascarado por la cal del blanqueo.

Foto 82. Zona superior con galerías abovedadas. Eras del Castillo.

Vista del espacio que ocupan las dos primeras galerías interiores. La tercera se encuentra al fondo: 1 y 2, Los espacios y muro roto para pasar. 3, Entrada a la galería completa.

Foto 83. Zona superior con galerías abovedadas. Eras del Castillo.

Ésta es la galería completa del conjunto. Su módulo es regular pero de los pequeños. Muy revestido con cal. Conserva el agujero en la bóveda.

Foto 84. Zona superior con galerías abovedadas. Eras del Castillo.

Entrada a otra de las galerías de la parte superior de Cueva de Siete Palacios. Es evidente que, como todas, la entrada sea abierta a golpe de pico.

Foto 85. Zona superior con galerías abovedadas. Eras del Castillo.

Aspecto del interior de la galería en cuestión. Sus medidas son mayores, su bóveda rebajada. Muy encalada y no se puede apreciar el material del que está hecha.

Foto 86. Zona superior con galerías abovedadas. Eras del Castillo.

Esta imagen muestra cómo ha quedado el aparejo interior de la galería. Muy mala ejecución y se han perdido materiales el alzado por exceso de raspado. Se observa, no obstante, que se ha usado en el alzado también el opus latericium. El fondo es de opus incertum, y el suelo, de relleno y mal raspado.

Foto 87. Zona superior con galerías abovedadas. Eras del Castillo.

Foto anterior a que se realizara la excavación de la galería vista. Es el cruce y entrada a otra zona que tiene ejemplares de galerías algo similares en la forma.

Foto 88. Zona superior con galerías abovedadas. Eras del Castillo.

En fase anterior, se encuentra una pequeña galería que, como las demás, ha sido abierta a golpe de pico.

Foto 89. Zona superior con galerías abovedadas. Eras del Castillo.

Éste es su interior, con un aparejo de opus incertum. Verdaderamente se ignora el uso o finalidad de tal estructura por su forma y por su incomunicación con el resto. No tiene agujero en la bóveda.

Foto 90. Zona superior con galerías abovedadas. Eras del Castillo.

Se vuelve al paso artificial para poder ver el resto de esta zona.

Foto 91. Zona superior con galerías abovedadas. Eras del Castillo.

Y se puede ver una casa-habitación con una galería en su interior, pero deteriorada y en ruinas.

Foto 92. Zona superior con galerías abovedadas. Eras del Castillo.

Tan sólo se ha podido ver el arranque de la bóveda en uno de sus muros. Hay está prácticamente desaparecida por una pésima gestión de los responsables.

Foto 93. Zona superior con galerías abovedadas. Eras del Castillo.

Esta imagen muestra ya la galería más grande en su diseño de la zona. A su lado hay otras estructuras ya citadas.

Foto 94. Zona superior con galerías abovedadas. Eras del Castillo.

Vista del interior de la galería con bóveda rebajada como una de las anteriores. Al fondo se puede observar el clásico agujero en el techo como elemento de acceso, por la puestas que se ve no lo era en absoluto.

Foto 95. Zona superior con galerías abovedadas. Eras del Castillo.

Según se sale de la galería vista antes, a mano izquierda, se ve este acceso natural, pero violentado para acceder al fondo de la imagen, y va a aparecer una especie de «laberinto» de galerías pequeñas. Aquí el aparejo es muy clásico y robusto.

Foto 96. Zona superior con galerías abovedadas. Eras del Castillo.

Este es el pasillo-corredor de esta pequeña alineación de galerías. Sus medidas son casi del menor tamaño vista hasta ahora. Al fondo se produce un giro a izquierda para seguir avanzando.

Foto 97. Zona superior con galerías abovedadas. Eras del Castillo.

La siguiente galería con una dimensiones iguales a la anterior.

Fot 98. Zona superior con galerías abovedadas. Eras del Castillo.

Y se llega a la última nave. Resulta un tanto extraño un complejo como éste. Ciertamente deja en suspenso la finalidad como almacenes, salvo que se destinara a una especialidad desconocida.

Foto 99. Zona superior con galerías abovedadas. Eras del Castillo.

Vista de la parte superior de Cueva de Siete Palacios: Punto 1, Muro con dos vertientes: uno, hacia la galería que hay detrás, y de la de delante. Todo ese espacio era cerrado, no había pasillos. 2, Casa moderna construida sobre estructuras romanas. 3, Galería antes vista en estado muy precario. 4, Espacio donde se supone que estuvo emplazado un depósito de agua romano. Prueba de ello es el estuco que se encuentra detrás. 5, Edificación de casas que reutilizan ese espacio ocupado por estructuras romanas.

Foto 100. Zona superior con galerías abovedadas. Eras del Castillo.

Imagen decisiva para encontrar una explicación objetiva sobre la verdadera extensión que tuvo el complejo arqueológico capitalizado por la situación y conservación de la Cueva de Siete Palacios. Punto 1, Solería de casas modernas que reutilizaron galerías encima de la Cueva. En el aparejo se aprecia el material romano. Esas casas se cayeron o las derribaron. Esto queda como testigo. Punto2, Muro de fondo de una galería romana que ha quedado a descubierto mucho tiempo. 3, Estructura interna del opus caementicium usado en las estructuras superiores. Punto 4, Muro divisorio moderno que sustituye al romano y que se derrumba con el tiempo, tal como se ve.

Se ha descrito lo más justamente posible el conjunto de estructuras romanas detectadas en la cota de Cueva de Siete Palacios y en la cima (cota 48). Piletas de salazones no se han detectado. Lo que puede llevar a concluir que era una zona dedicada al sistema de almacenamiento, de de elaboraciones. pero sorprende que si llegara el agua con cierta abundancia, dado el canal que se ha descubierto en la propia cueva de Siete Palacios y que llegaba hasta la cima en Eras del Castillo. Es una duda que permanecerá sin aclarar mientras no se descubran piletas en todo ese espacio.

CONCLUSIONES Y RECUENTO DE LAS ESTRUCTURAS CONTABILIZADAS DE ESTA ZONA

-Galerías completas: 13

-Galerías deterioradas: 1

-Galerías supuestas por lógica: incalculables

-Depósitos de agua: 1.

-Canal: 1.

Murallas: 2.

ELEMENTOS DE PRODUCCIÓN Y ALMACENAJE EN CALLE ANTIGUA Y SAN JOAQUÍN

El sector M comprende las calles Antigua y San Joaquín con sus tres subdivisiones. La calle Antigua es una de las que están construidas sentando su base sobre la muralla procedente de calle Clavelicos. Se refleja en planimetría. Esto significa que tal calle se monta sobre la estructura de la muralla, que lógicamente, es derribada a la largo de un trayecto que se aproxima a Cuevas de Siete Palacios.

Otra característica especial de este sector es que registra, en esta cota, la única pileta de salazones. Si esto es así, se puede entender que otras muchas que se encontrarían en las mismas circunstancias, o sea que, al igual que ésta, habrían sido destruidas con las nuevas construcciones modernas y la remodelación de calles nuevas.

Foto 1. Calle Antigua, parte alta.

Con la abertura de la cuesta que baja a izquierda, la muralla, que precede y que se encuentra en otro sector, es rota. Y en ese momento se abre la calle Antigua en sentido Norte. Sobre el terreno mismo, se puede comprobar que la anchura de calle Antigua, en este tramo, es prácticamente la misma que el grosor de la muralla que ha sido rota y rebajada.

Foto 2. Calle Antigua, parte alta.

Esta imagen muestra la anchura de la calle (4), que no supera apenas los dos metros de anchura. Los puntos 1 y 2 señalan las casas que tienen en su interior estructuras de galerías transformadas. El punto 3 son casas que, en su base, registras construcciones romanas y que se ha construido en espacio libre dando a calle Antigua.

Fot 3. Calle Antigua, parte alta.

En punto 1 de la foto anterior se encuentra esta forma de aparejo romano. Se trata de una galería enrasada y otra cuyo fondo no se ha posible comprobar, pero el aparejo que se ve, encalado, es romano. La nota llamativa es que la parte del fondo de la imagen se encuentra sobrealzada por el terreno, o sea, la roca madre.

Foto 4. Calle Antigua, parte alta.

Esta imagen muestra al fondo la muralla persistente que, varios metros más adelante de su alzado, ha sido cortada (2) para abrir una empinada cuesta a derecha de lo que se ve. Y ahí es donde esta calle (Antigua) se construye sobre el resto más bajo de la muralla a ras de lo que se ve aquí.

Las casas de la parte izquierda de la imagen están levantadas sobre las estructuras de la calle Morería Alta, que tiene un poderosa base de elementos romanos, como se verá en sectores siguientes.

Foto 5. Calle Antigua, parte alta

Esta imagen, rincón escondido de calle Antigua a su paso por este punto, muestra, al fondo, una secuencia de galerías romanas en su interior, como se va a ver. Y lo primero que conviene destacar es que ha sido necesario hacer una escalera para poder acceder a esa vivienda porque el nivel de suelo interior es roca madre sobre la que se asientan los muros de las galerías. Este fenómeno ha sido indicado ya en foto anterior con elevación de terreno por roca madre. En el punto 1 se indica la estructura de casas con aparejo entre medieval y romano. Se mezclan los dos estilos, porque se usan formas romanas y las alteran con enlucidos modernos.

Foto 6. Calle Antigua, parte alta

Ésta es una de las galerías del interior de la vivienda que se ha mostrado. El módulo es un intermedio entra pequeña y grande. La bóveda aquí ha sido enrasada o destruida.

Foto 7. Calle Antigua, parte alta

Esta parte, continuación de la anterior, es la otra galería, pero también enrasada. Las medidas son las mismas, pero destaca observar que, para pasar de una a otra habitación galería, ha sido necesario hacer escalones que, sin lugar a dudas, han sido por encontrarse la roca madre debajo.

Foto 8. Calle Antigua, parte alta

La tercera habitación de esta serie de galerías. El encalado es muy marcado a derecha de la imagen, pero es la tercera estructura romana.

Foto 9. Calle Sa Joaquín, segunda parte.

Esta imagen pertenece a las estructuras de la calle San Joaquín (2). Se trata de una pileta de salazones que se observa saliendo del interior del muro externo de una casa. Recientemente se ha excavado esta calle y los resultados han sido los mismos. Lógicamente se han encontrado materiales cerámicos que, en coherencia con el hallazgo, pertenecen a las piletas que se han montado en esta zona. Conviene recordar qua la cota de nivel ronda los 35 m.

Foto 9 bis. Calle San Joaqiín segunda parte.

En una excavación reciente se ha sacado a la luz la pileta de salazones que se conservaba en esta calle. Se puede comprobar que la casa está montada sobre su estructura y que se prolonga hacia adentro. Pero todo queda ahí. Es lo único que se ha practicado. Después de esta confirmación de que las piletas pueden aparecer en cualquier cota como (como ésta, cota 35, o en Morería Baja, cota 15, 14 piletas confirmadas), nadie se ha planteado la cuestión de si es un fenómeno extensible a todo el casco antiguo, o se trata de un episodio aislado.

Foto 10. Calle San Joaquín, segunda parte.

Continuando por esta derrama de calle San Joaquín, a media subida (pendiente pronunciada) se produce una bifurcación de la misma, como se puede ver. El material de piedras sobre el lateral es consecuencia de un derribo. Esos materiales se usan en nuevas construcciones.

Foto 11. Calle San Joaquín, segunda parte.

Subiendo por la bifurcación izquierda, desde el exterior se pudo tomar esta foto con una estructura que recuerda otra foto vista antes en calle Antigua.. En el punto 1 se ve el muros divisorio entre dos galerías, paso abierto a golpe de pico. La primera parte es una galería enrasada. Por el punto 2, se pasa al interior de otra galería. Tal vez si aquí se hubiera practicado una excavación, es probable que aparecieran materiales relacionados con las piletas de salazón.

Foto 12. Calle San Joaquín, tercera parte.

Esta imagen se encuentra cuando la bifurcación se desvía hacia la derecha. Se puede decir que las estructuras se usan de forma anárquica total. Ese estrecho paso comunica una casa con el paso general de la calle San Joaquín. Punto 1, Estructura de casa no examinada, pero se encuentra sobre materiales romanos como cimientos. Punto 2, Murete de aparejo romano que sobresale en ese pasillo hacia la vivienda de este reducido espacio. El suelo que se ve es uno más de los que se encuentran sobre roca madre.

Foto 13. Calle San Joaquín, tercera parte.

Ensanche de ese paso artificial que apenas mide 1,50 m. Los puntos 2 y 4 tienen aparejo romano. El punto 3 es el suelo de roca madre pintado con cemento moderno. Aquí se aprovecha todo lo que puede ser habitable cuando se ve esta imagen.

Foto 14. Calle San Joaquín, tercera parte.

Vista del espacio de esta pequeña zona. La casa está a izquierda de la imagen. Todo lo que se ve pertenece a elementos romanos reutilizados y transformados.

Foto 15. Calle San Joaquín, tercera parte.

Esta imagen corresponde a desvío hacia izquierda de la bifurcación. Se puede ver ese aprovechamiento de todo lo que puede ser habitado en esta zona, pero con la consistencia que ofrece una estructura romana como aquí se ve. En el punto 1 aflora la roca madre con construcciones montadas sobre ella, y alterada por la ulterior utilización. En el punto 2 se ve el acceso a una casa que ha usado eses estructuras y, en consecuencia, para subir y entrar se ven forzados a construir escalones por el desnivel que siempre tienen en su interior las estructuras romanas porque no tienen solería.

Foto 16. Calle San Joaquín, tercera parte.

En un espacio anterior a la imagen vista antes, desde la calle se pudo tomar foto del interior y se pudo comprobar que las estructuras son del tipo de siempre: opus incertum como norma general. So dos espacios que se consideran pertenecen a dos galerías a la que les han destruido su cubierta. Al fondo se aprecia la roca madre.

Foto 17. Calle San Joaquín, segunda parte.

Ascendiendo por la calle San Joaquín (2), se llega a una zona que ha dado muchos errores a quienes han explicado lo que aquí se puede ver. Los punto 1 y 2 son casas que se han hecho usando las estructuras previas romanas. El punto 3 indica las pequeñas dimensiones de la calle que, más bien, es un simple pasillo artificial.

Foto 18. Calle San Joaquín, segunda parte.

Si la parte derecha de la imagen, donde hay una casa moderna, no se hubiera construido, sin duda que la imagen habría cambiado mucho las cosas que se han dicho sobre este interesante rincón. El pinto 1, muro romano frontal bastante alto, que se prolonga en dirección a las estructuras que se encuentran en calle Antigua. La casa de la derecha lo ha impedido y probablemente lo hayan eliminado. Se piensa que no, porque es el punto de apoyo que da solidez a esa casa. Y el punto 2 indica el inicio del Torreón romano que se prolongaba hasta casi Eras del Castillo, y que ha conducido a interpretaciones erróneas. Los romanos montaron en esta zona un fortín defensivo por ser la altura más indicada par vigilar los movimientos tanto por mar como por las colinas que cercan Sexs. Era uno de los puntos más estratégicos junto con los del Castillo y Peñón del Santo.

Foto 19. Calle San Joaquín, segunda parte.

Vista del perfil actual del Torreón. Es una construcción posterior a los elementos aledaños romanos. Su aparejo tiene el clásico opus incertum, pero algo mezclado con otros materiales como la toba. que aparece aquí y en las cuevas cercanas. Es lógico que si se trata de un elemento estratégico militar, los materiales sean los idóneos para cumplir su misión.

Este torreón ha sido construido echando sus cimientos y apoyándose sobre dos galerías: la primera de ellas se encuentra en la primera galería del Sector F, donde se puede ver cómo un muro romano parte a la galería casi en dos partes. La segunda galería sobre la que se monta el torreón es la que se puede ver en la siguiente foto, y que realmente parte casi en dos partes iguales la galería sobre la que se apoya. Es un elemento clave para establecer una cronología relativa al ver como un elemento se fija y se apoya en otro anterior. Evidentemente la galería es anterior, como ocurre con la del Sector F.

Foto 20. Calle San Joaquín, segunda parte.

En esta imagen se puede ver la entrada a la galería de San Joaquín. Su entrada está adintelada con sillares de piedra caliza toba. Podemos decir que es una puerta, pero es una paso hacia otro elemento anejo a la misma. Téngase en cuenta que las construcciones anejas son de proporciones mayores y que todo este conjunto forma una unidad de estructuras donde entrarían en juego los componentes estructurales de de los sectores L y M. Hay que decir que las partes que integran esta zona de calle San Joaquín es una de las que más ha sufrido transformaciones ya en época árabe como sobre todo cristiana.

Foto 21. Calle San Joaquín, segunda parte.

Vista del interior de la galería sobre la que se asientan los muros del Torreón. Se puede ver hacia la mitad del muro divisorio un hueco haciendo como si se tratara no de un muro sino un gran pilar de sujeción del Torreón. La técnica de aparejo muestra una composición más basta que la mayoría de la construcciones de esta zona. Su fondo tiene aproximadamente 6 m, y su altura, 3,5 m. Su anchura oscila por la división no muy ortodoxa del Torreón, pero alcanza holgadamente el metro y medio.

Foto 22. Calle San Joaquín, segunda parte.

Vista de la galería partida con mejor luz para distinguir bien el aparejo y sus proporciones. Obsérvese que se utiliza opus incertum y opus latericium.

Foto 23. Calle San Joaquín, segunda parte.

La tercera fase de la calle San Joaquín se inicia en la parte occidental de Eras del Castillo. En su trazado aparecen restos de murallas mezcladas, de las que ha subsistido un gran lienzo de época árabe. Los restos de muro de estructuras romanas se dejan ver en este espacio con gran claridad. Se note perfectamente que áreas de galería han sido derribadas para crear calle. Lo que nos lleva a afirmar que las calles del casco antiguo de Almuñécar son todas el el resultado de haber roto gran cantidad de estructuras romanas principalmente. Los árabes nunca levantaron estructuras con las técnicas de los romanos.

Foto 24. Calle San Joaquí, primera parte.

Como se ha dicho en la foto anterior, puede verse una cadena de muros rotos junto a las viviendas anejas. Y, en efecto, esos muros rotos encalados forman unidad con las estructuras que hay en los interiores de las casas de esta calle y también son el inicio de las estructuras que han sido derribadas para poder hacer calle.

Foto 25. Calle San Joaquí, primera parte.

Obsérvese la altura a que se encuentra el suelo de la vivienda para tener que levantar esos escalones. Curiosamente en esta foto se ha usado el muros romano para construir el acceso a la casa.

Foto 26. Calle San Joaquí, primera parte.

En el interior de esta casita se puede ver una pequeña cueva o galería arqueada de paso o un hueco en la muralla árabe (1) que se encuentra detrás como soporte sobre el que se adosa esta construcción. Pero el muros delantero que da a esta calle artificial, es romano (2) como el resto.

Foto 27. Calle San Joaquí, primera parte.

En esta habitación trastera del interior de la casita puede verse la estructura mural de opus latericium mezclada con opus incertum. El arco tan solo puede ser un medio moderno como escalera.

Foto 28. Calle Eras del Castillo.

Esta foto revela el tipo de construcción que se practicó en Eras del Castillo junto a la muralla árabe. Se hicieron varias catas y este fue el resultado. De los materiales hallados nada se sabe con seguridad. Es muy poco definitorio tanto los arranques de muros como lo que se cree que apareció como material.

Foto 29. Calle Eras del Castillo.

Aspecto de la cata que se hizo junto a la muralla. Irrelevante.

Foto 30. Calle Eras del Castillo

Vista de uno de los muros en su punto de arranque en el que puede ver a izquierda, una especie de agujero que tiene el aspecto de haber servido como gozne de una puerta.

Foto 31. Calle Eras del Castillo

En esta imagen se ve al lado contrario de la foto anterior, el otro posible gozne, lo que daría lugar a concluir que se había descubierto una puerta en esta construcción árabe.

Foto 32. Calle San Joaquín, primera parte.

Esta imagen fue tomada en los años 60s del siglo pasado. Lo que se aprecia en su parte superior es un lienzo de muro romano, no muralla, porque sus dimensiones estructura y grosor son muy normales. La casas, que ya no existen, tienen las dimensiones de las vistas en las primera imágenes que se aprecian en la parte Este de la ciudad. Corresponden al espacio que tenían las galerías que se descubrieron en esa parte. Hoy está todo transformado, pero con las estructuras antiguas dentro.

Foto 33. Calle Eras del Castillo.

Plaza de Eras del Castillo donde se construyó un depósito de agua reciente, y que ha sido desmontado. En este proceso aquí se destruyó todo lo que hubiera debajo.

CONCLUSIONES Y RECUENTO DE LAS ESTRUCTURAS CONTABILIZADAS DE ESTE APARTADO

-Galerías completas: 8.

-Galerías deterioradas: 4.

-Galerías supuestas por lógica: 1.

Murallas: 2.

ELEMENTOS INDUSTRIALES Y ALMACENES DE LA CALLE MORERÍA ALTA

El Sector N es una de los más complejos del conjunto de Poniente. Tal complejidad se centra más que nada en los tipos y variaciones de las estructuras que se han ido detectando y estudiando a través de bastantes años. Los materiales de la dos grandes vertientes del complejo industrial romano muestran una diferencia notable. En Levante predomina el uso de la técnica opus incertum; en Poniente, se podría decir que un tipo mixtum, o sea, en una misma edificación se ven paramentos de ladrillos, opus latericium, y de piedra, opus incertum. Los tipo de bóvedas también experimentan cambios: en Levante lo normal es que sean de medio punto, y en Poniente, rebajadas.

La zona de Poniente, al ser más escarpada, la necesidad de murallas es mayor, mientras que en Levante, casi con una han resuelto su necesidad.

Las calles que se estudian en este sector son: Antigua, Morería Alta (parte), Morería Baja (parte) y Orobia.

El estado orogénico del terreno con sus irregularidades morfológicas ha provocado que, cuando los romanos sobre todo dejaron este lugar, lo nuevos inquilinos visigodos y árabes tuvieran que fabricar calles donde no las había. Ya se quejaban los árabes cuando describían sus empinadas calles. Pero la solución del problema no queda ahí, la repoblación posterior va a ser decisiva en la ocupación de todas las antiguas estructuras con que se encontraron de tal manera que no tenían que hacer prácticamente casas: solo bastó con adaptar a sus necesidades las estructuras con que se encontraron. Y tales son con sus alteraciones las que los estudiosos del tema se han encontrado al iniciar los estudios de esos elementos.

Foto 1. Calle Morería Alta.

Es la primera imagen de la calle Morería Baja. La parte derecha es una zona que ha estado ocupada por un cuartel. Su interior está en muy mal estado. Tal vez si se practicara una excavación completa es bastante probable que aparezcan estructuras antiguas, cosa que sería muy normal y lógica dado su entorno histórico.

Si se observa con atención la parte izquierda, se puede ver, porque se trasluce el material, una estructura antigua. Curiosamente en esta misma calle (Orobia) hubo un horno de pan. Y estas construcciones han estado construidas siempre en zonas muy romanizadas estructuralmente. Recuérdese Morería Baja con sus piletas de salazones (numerosas), y sus fuertes murallones de caementum romano. No se ha podido explorar, pero debería prestar mucha atención a lo que se vaya a construir en ese espacio, porque haber algo de romano, debe haberlo, sin duda. Ha habido comentarios cuando se hizo obra en su interior sobre los muros que se vieron.

Foto 2. Calle Morería Alta.

Esta imagen muestra los irregulares aparejos usados en las líneas de calle. A izquierda se ve el muro antiguo muy alterado. En su interior hay una ruina total de sus estructuras modernas. Pertenece a lo que fue cuartel.

Foto 3. Calle Morería Alta.

Aquí comienza realmente una estructura que se ca a prolongar en toda la calle. Las casas modernas se encuentran realzadas por la necesidad de acceso a unas estructuras que tenían un suelo interior muy irregular debido a que los cimientos no eran homogéneos, no eran regulares debido a que estaban anclados sobre la roca madre. Esa es una de las causas por la que se veían forzados a tener que enrasarlo y equilibrar la superficie. A pesar de ello, siempre había un desnivel que obligaba a crear una subida a base de escaleras exteriores. Y esto ocurre sobre todo en la parte superior del casco antiguo.

Foto 4. Calle Morería Alta.

Cuando se ve una calle como ésta, siempre se habla de las calles de moros, estrechas para que el sol no penetre sobre todo en época de calor. Nada más lejos de la verdad. Esta calle es estrecha porque la hicieron los ocupantes de las estructuras romanas que se encuentran en los interiores de sus casas. Rompieron por necesidad. De lo contrario no podían pasar a ocuparlas.

Se observa desde esta entrada una serie de viviendas alineadas cuyos interiores se apoyan en la fuerte muralla que se conserva al fondo de todas ellas. Todas tienen galerías transformadas para poder habitar y vivir con la comodidad que les permitía. La irregularidad del terreno hará que los ocupantes tengan que hacer lo posible para acceder sin mucha dificultad.

Foto 5. Calle Morería Alta.

Esta foto está tomada desde el punto opuesto de la anterior para ver su alineamiento de fachadas.

Foto 6. Calle Morería Alta.

Si se observa la primera casa, su aparejo se encuentra muy encalado previamente enlucido. pero detrás hay un opus incertum evidente. Ese muro no es de este momento. y otras características se verán en las siguientes imágenes.

Foto 7.

Este es el interior de una de las puertas de casas que se van encontrando al paso por esta calle. Con cierta dificultad se pudo tomar esta foto por el recelo de la gente. El muro de fondo registra un aparejo demasiado enlucido y no permite ver cómo está hecho. pero en su parte superior izquierda permite ver un ligero arqueo que hace sospechar que se trata de una galería que ha sido enrasada como otras muchas de este lugar. Y a mano derecha, el hueco que hay deja ver ligeramente la masa de muralla no pequeña que sirven de sostén a todas las estructuras que se encuentra en calle Antigua, o sea, justo por detrás de estas casas, pero en nivel superior.

Foto 8. Calle Morería Alta.

En la siguiente casa de la misma calle podemos ver la forma interna de esta habitación comedor de una casa particular. Su techo está enrasado como se observa, lo que da pie a pensar que estamos en la misma situación que en la foto de la casa anterior, y al fondo, en una pequeña habitación, con buena luz se ve un muro romano fuerte y grueso, cuya puerta es abierta rompiendo para ganar espacio. Al fondo se encuentra la misma muralla que se ha citado antes y que sirve de contención y contrafuerte a todas las casas que se encuentran en un nivel por debajo de la calle Antigua. Esa muralla constituye el apoya de todas estas casas a lo largo de la calle.

Foto 9. Calle Morería Alta.

Y aquí se encuentra la explicación de porqué esas casas se encuentra en el nivel de suelo tan complicado como para levantar estas escaleras exteriores de acceso. Sin ellas sería materialmente imposible. El desnivel está causado por la configuración del terreno que muestra una falla de la roca por la que se ven obligados los propietarios a levantar estas estructuras. Pero si se presta atención, se puede comprobar que el material no es corriente, o sea, moderno. Pero aún más: la calles en que se encuentran las escaleras ha sido rebajada a golpe de pico y han dejado sin romper lo que querían que sirviera de escalera. Se va a ver más claro aún en las siguientes casas.

Foto 10. Calle Morería Alta.

En esta imagen empieza a verse que se cumple lo dicho antes. Las escaleras estas se han hecho modelando picando el material de una plataforma previa romana de allanamiento de esta calle. O sea, los romanos equilibraron el defecto orogénico enrasando el terreno con el clásico mortero utilizado en otros lugares del complejo industrial. Y en esta misma imagen, al borde de las escaleras, puede verse la roca madre desnuda de los materiales de hormigón romano que rellenaban este paso desde antiguo.

Foto 11. Calle Morería Alta.

El enrasamiento del terreno por las irregularidades de la roca se extienden a través de toda la calle. Y esta imagen es una prueba de ello. Se ve que han tenido que hacer escalones de acceso, mientras que a su lado, la entrada a un patio interior, el terreno ha sido rebajado para poder llegar al fondo y en forma de pequeña cuesta. Es la zona del complejo más irregular de todo el conjunto en estudio.

Foto 12. Calle Morería Alta.

Detalle del patio interior citado en la foto anterior. Aquí se aprecia hasta dónde pueden llegar las estructuras romanas que se encuentran en los interiores de todas estas casas. En fondo debe encontrarse, en su estructura, con sus muros apoyados sobre la muralla romana que se encuentra detrás como muro de sujeción de la calle Antigua.

Foto 13. Calle Morería Alta.

En una fase posterior en suelo ya aparece algo modificado. La fotos son de distintos etapas de investigación. Se puede ver, en el muro derecho, cómo sobresale la estructura original del paramento romo evidentemente. Entre la calle de hoy y el fondo de este pasillo hay una distancia de unos doce metros.

Foto 14. Calle Morería Alta.

Continúa el trazado de la calle y empiezan a aparecer los alzado para acceder a las casas. Pero en esta foto en particular puede verse cómo sobresale el muro originario que ha sido modificado cuando se ocupa esta zona. El terreno y el interior de esta casa están más de un metro por encima del nivel de la calle. Es una lástima que no se pueda acceder al interior de estas casas para averiguar y clasificar todo el material que tiene esta red de viviendas. Evitaría tener que suponer cosas, actitud que es poco científica. Se tienen que establecer paralelos innecesarios.

Foto 15. Calle Morería Alta.

Se sigue avanzando por la calle y vuelven a aparecer los altos escalones de acceso por la irregularidad del terreno.. Y, a su vez, se puede observar el material del paramento con revestimiento que no deja lugar a dudas sobre lo que hay detrás. Es el opus incertum enmascarado por el encalado. La altura del acceso a la casa su pera el metro de desnivel con la calle.

Foto 16. Calle Morería Alta.

Se parte des la bajada el final de la calle Antigua al llegar a San Miguel y aparece esta imagen que está en consonancia con todo lo expuesto anteriormente en calle Morería Alta. Y no se trata de unos escalones de acceso sino todo un pasillo-corredor para entrar en las casas. Se ha rebajado la plataforma de hormigón para poder abrir paso hasta el punto que se puede ver que tipo de hormigón se ha usado en su construcción. El punto 1, pasillo-corredor elevado de acceso a las casas. 2, paso estrecho en la calle. Punto 3 y 4, fachas de las casas que tienen elementos romanos en su interior.

Foto 17. Calle Morería Alta.

Detalle de la foto anterior para que se vea la estrechez del paso. A derecha se puede ver cómo se ha rebajado la plataforma de mortero con mezcla de opus incertum y el caementum. A continuación se ve el sistema de encadenamiento de escaleras de acceso a la casas, donde se ha visto cómo el material romano ha sido rebajado de altura para poder seguir accediendo. En ese paso puede verse incluso escalones para poder circular por esa calle. Era demasiado grande el desnivel entre el principio y el final de la calle Morería Alta.

Foto 19. Calle Morería Alta.

Trayecto final hacia la bajada empinada procedente de calle Antigua y San Miguel. Las estructuras aparentemente terminan ahí, pero no lo es. Continúa pasando por la calle y situándose sobre las otras viviendas que se verán.

Foto 19. Calle Morería Alta bajando de calle Antigua.

De frente, a izquierda, el muro levantado para proteger a la gente que pasa por calle Antigua. A partir del suelo de la citada calle lo que hay es la muralla romano-medieval procedente del -Castillo por calle Clavelicos. Romano significa la base de la muralla; medieval: árabe-cristiana. Esta muralla se encuentra a ras de suelo y sobre ella están asentadas las casas de esa parte de la calle Antigua. Lógicamente debajo se encuentran la red de casas que se vienen exponiendo y describiendo. La calle en pendiente muy pronunciada es una especie de travesía que va conectando todas las que se encuentran a su paso hasta casi llegar a Calle Nueva. Así que se inicia en la cima con calle Antigua, cruza por Morería alta, Morería Baja, Santa Isabel y termina en calle Nueva. Los árabes se quejaban de estas empinadas calles calificándolas de muy peligrosas. Y lo siguen siendo.

Foto 20. Calle Morería Alta. Lado Izquierdo Lado derecho de esta calle.

Detalle de la foto anterior remarcando el fuerte desnivel entre calle Antigua y sus paralelas situadas debajo. Los cortes son muy pronunciados,

Foto 21. Calle Morería Alta. Lado derecho de esta calle.

En esta imagen se vuelve a la calle Antigua destacando la hilera de casas a ambos lados. La derecha marca las que se encuentran encima tanto de la muralla enrasada, como de las casas que se encuentran en el nivel de la calle Morería Alta.

Foto 22. Calle Morería Alta. Lado derecho de esta calle.

En esta imagen se puede ver como el muro izquierdo se alinea con el sentido que siguen las viviendas que se encuentran en Morería Alta. Por esa razón aparece ese muro sin señalas a la calle donde se encuentra. Sus accesos están en la calle Morería Alta.

Foto 23. Calle Morería Alta. Lado derecho de esta calle.

En el descanso por calle Antigua, toda la hilada de fachada utiliza las estructuras que proceden tanto de Morería Alta como Baja. El aparejo que se ve es antiguo.

Foto 24. Calle Morería Alta. Lado derecho de esta calle.

Y prácticamente esa hilada termina en esta pendiente. Las fachadas responde al mismo módulo que se ha visto en el interior de Morería Alta.

Foto 25. Calle Morería Alta. Lado derecho de esta calle.

En la esquina izquierda superior se puede ver el material muy revestido. La viviendas que se suceden tienen todas estructura romanas en su interior. Tan sólo permitieron verlas y por esa razón no se muestran fotos.

Foto 26. Calle Morería Alta. Lado derecho de esta calle.

Esta fachada es de las más evidentes en el uso de materiales que son romanos. Se intentó hacer fotos desde el exterior y el enrejado lo hacía imposible.

Foto 27. Calle Morería Alta. Lado izquierdo de esta calle.

Calle Antigua y desvío a Morería Alta en otro punto. Morería Alta tiene dos pasos, dos entradas y salidas, abarcando des calle Antigua hasta dos niveles inferiores. Lo que se ve son casas que tienen dentro estructuras que no se han podido fotografiar.

Foto 28. Accesos a Calle Morería Alta desde calle Antigua.

Y este ramal de calle Morería Alta ha sido excavado recientemente en el tramo donde se aprecia un trozo de muro probablemente medieval y dicho muro ha desaparecido, no se ha restaurado.

Foto 29. Calle Morería Alta.

Detalle del muro citado antes. Por lógica ese muro debe tener un fuerte apoyo en su base, porque, de lo contrario, no soportaría el peso que supone.

Foto 30. Calle Morería Alta.

Esta imagen ha sido tomada des calle Morería alta, pero en la zona de abajo. 1, muro muy deteriorado y dando a la calle superior. 2, Continuación del muro pero retocado por los ocupantes de esas viviendas.

Foto 31. Calle Morería Alta.

Des mas abajo aún se vuelve a tomar imágenes del muro, pero la zona no está tan afectada ni tocada por los propietarios, y en mayor extensión.

Foto 32. Calle Morería Alta.

Esta imagen nuestra un muro romano descubierto recientemente con motivo de una instalación de agua municipal. Se ha practicado la excavación y, al menos, se han salvado las apariencias con este pequeño descubrimiento. En realidad se trata del sistema de muros de la espalda de las casas situadas en calle Morería Alta. Pero no se ha hecho nada por averiguar más, y que esto es un punto de atención para tratar de saber qué es lo que se encuentra realmente debajo de este pequeño muro. Se llega a decir por los supuestos expertos que la Almuñécar real se encuentra debajo de lo que se ve. Nada más atrevido para no comprometerse. Debajo lo que hay es roca madre; todo los demás está en los interiores de las casas del pueblo. Sin dudarlo ni un segundo.

Foto 33. Calle Morería Alta.

Como esta zona ha sido excavada por encontrarse en obras de reposición de tuberías de abastecimiento de aguas, el muro que da a la calle se ha resentido y la arqueólogo municipal ha intervenido y se ha practicado una excavación que ha dejado a descubierto los muros romanos que de encuentran a lo largo de toda la calle. Pero ignoran lo que realmente constituye esos muros. Piensan que la ciudad romana inexistente se encuentra debajo de la ciudad actual; y debajo, lo que existe, es roca madre.

La conclusión de estas estructuras para establecer estadística es muy dudosa, porque apenas se tienen datos de los sistemas de galerías del Sector. Tan sólo se han mostrado habitaciones de casas que tienen las medidas y estructura interna de ser galerías enrasadas y enmascaradas. Sí se puede decir que un muro, o muralla, ha sido utilizada como base para trazar el diseño de una calle, como es el caso concreto de calle Antigua.

ELEMENTOS INDUSTRIALES Y ALMACENES EN CALLE MORERÍA ALTA, EN SU PARTE DERECHA

Se van a estudiar los sectores N (en menor proporción) y O de forma conjunta, ya que ambos forman parte de unas estructuras que contienen elementos inseparables. Las calles se comparten y estudian de manera que una acera pertenece a la parte derecha (sector N) y la otra, a la izquierda (sector O). Podría decirse que forman una unidad de estudio.

Foto 1. Calle Morería Alta, lado derecho.

Esta imagen se presta a confusión. En realidad de trata del mismo acceso a calle Morería alta y a calle Orobia. Se caracteriza porque en su interior hay estructuras muy similares a las halladas en el Sector i., como el el horno y el entorno en que se levantan sus estructuras.

Foto 2. Calle Morería Alta, Calle Morería Alta, lado derecho.

Esta esquina presenta un rasgo importante: el aparejo interior no se corresponde con el enlucido externo. O sea, se está hablando de que en el interior han debido existir construcciones acordes con lo que aquí se ve. Pero se sabe que en el desmonte de este cuartel apenas se ha visto nada que llame la atención de los técnicos. Sacaría de dudas una ordenada excavación, que aún no se ha hecho.

Foto 3. Calle Morería Alta, lado derecho

Se ha dicho anteriormente que se sigue una línea planimétrica en esta parte del trabajo. Primero se ha estudiado la hilera de casas de la parte izquierda de la calle Morería Alta. Ahora se expone la derecha. Y dentro de de ella se encuentra al antiguo cuartel que está en ruinas. Su interior se encuentra muy deteriorado, pero su superficie es digna de que se excave debidamente, porque sin duce en ese subsuelo se encuentran materiales romanos sin duda.

Foto 4. Calle Morería Alta, lado derecho.

La parte derecha esta formada en su inicio por un muro cuya naturaleza se desconoce. Parece que es una extensión de la estructuras del cuartel. Pero deja de entrada aspecto externo que deja ver indicios de una estructura antigua. Al final del muro se inicia ya una serie de fachadas que sí tienen que ver con lo que ha descubierto en la fachada de enfrente. Son viviendas en posición alineada y sus proporciones muy similares. a las que hay en frente de ellas.

Foto 5. Calle Morería Alta, Calle Morería Alta, lado derecho.

En esta imagen de observa una de las fachadas con entrada a casa cuya puerta esta flanqueada por muros con un grosor de las proporciones clásicas.

Foto 6. Calle Morería Alta, Calle Morería Alta, lado izquierdo.

Esta imagen muestra un descenso de terreno de calle por fallo de la roca madre. que tanto ha hecho cambiar la forma de ocupar estas zonas a lo actuales propietarios. Pero los romanos tuvieron que hacer las cosas en función de sus intereses.

Foto 7. Calle Morería Alta, Calle Morería Alta, lado derecho.

Lo que más llama la atención de esta imagen es la situación y forma de la calle. Los accesos difíciles porque las estructuras internas de las casas obligan a ello. Se ve el aparejo externo de los muros de las casas y todos son romanos.

Foto 8. Calle Morería Alta, lado izquierdo.

Este es una de los ejemplos de esta calle como consecuencia de la estructura del terreno. La entrada está al girar la esquina. Su aparejo refleja en el enlucido exterior la rugosidades que provoca la estructura interna.

Foto 9. Calle Morería Alta. Lado isquierdo.

En esta imagen lo que más destaca es el aparejo exterior. Muestra claramente que se están utilizando estructura superior e inferior. Puede comprobarse en 2 y 3: el primero está en alto y el segundo en u sótano. Se pudo entrar y verlos. Aún persisten, pero lo que se puede comprobar con los muros revestidos de materiales modernos, pero las medidas sin las clásicas romanas.

Foto 10. Calle Morería Alta. Lado izquierdo.

Al entrar por el punto 1. se comprueba que hay que descender el equivalente a la altura de una galerías, porque todo esto se encuentra muy modificado por los actuales propietarios.

Foto 11. Calle Morería Alta. Lado isquierdo.

Y esta imagen corrobora la dicho antes: hay que descender esa altura de galería. La probable galería de esta casa está enrasada con madera como se aprecia. Los muros de paso a otras dependencias de la casa son idénticos a los vistos en otras casas de la calle en fachas. Las mismas medidas, pero el aparejo está enmascarado.

Foto 12. Calle Morería Alta. Lado derecho.

Esta foto, en el punto 1, marca una entrada a ras de suelo, con una bajada similar a la comprobada anteriormente. Es la misma calle y el mismo estilo de construcción. En la empinada cuesta de la izquierda de la imagen, se ve el aparejo de esa calle que ha quedado a descubierto por realización de obra nueva, lo que se interpreta como una destrucción total del contenido interior de la vivienda.

Foto 13. Calle Morería Alta. Lado isquierdo.

A izquierda de la imagen se ven las casas que tienen estructuras internas que se pueden estudias y, a derecha, la casa que ya no se podrá.

Foto 14. Calle Morería Alta. Lado derecho.

Entrada en calle Santa Isabel. Persisten las formas reutilizadas, sobre todo a izquierda. Como norma a seguir, si una estructura mantiene la estructura de una sola planta, casi con toda probabilidad, se trata elementos antiguos preferentemente romanos.

Foto 15. Calle Morería Alta. Lado derecho.

A derecha de la imagen, en la calle que baja en dirección de Santa Isabel, puede verse el aparejo externo de esa casa y como se trasluce la estructura interna hacia fuera. La calle es escalonada y se encuentra encima de la roca madre. Esta parte está menos estudiada por la dificultad de entrar en las viviendas. Y el paso que se ve es artificial.

Foto 16. Calle Morería Alta. Lado derecho.

Las estructuras internas de estas casas han tenido que ser equilibradas para contrarrestar la pendiente donde se encuentran, pero en su interior está la causa de cómo se orientan las viviendas.

Foto 17. Morería Alta. Cruce de Calle Santa Isabel con Morería Baja.

Y en esta imagen se muestra en cruce de las calles Santa Isabel, bajante de Morería Alta y su paralela Morería Baja. Al fondo se hallan otros elementos que se encuentran ya calificados como parte del conjunto romano de esta zona.

Foto 18. Calle Morería Alta se cruza con anta Isabel.

Y justo en la pendiente Santa Isabel se puede ver cómo sobresalen de una pared el muro romano que ha sido roto y que pertenecía a una estructura romana. Sin esa acción era imposible pasar. Y esto confirma lo que viene afirmado ya desde el principio de este trabajo: todas las calles son el resultado de roturas intencionadas porque era realmente imposible ocupar estos elementos romanos si no era de esa forma.

Foto 19. Calle Morería Baja se cruza con Santa Isabel.

Esta foto marca muy bien hasta donde llegaba la roca madre. El estado de esta calle, Morería Baja, lo deja bien claro. Apenas se toca el suelo aparece la piedra debajo. Las construcciones de la izquierda reflejan el espacio de fachada de las casas, que no pasan de los módulos establecidos para una edificación en la estructura romana.

En conclusión: es necesario aclarar que no se ha podido registrar ni una sola galería completa, aunque sí las que se encuentran alteradas y acondicionadas para el hábitat. Tampoco se ha detectado nada de piletas de salazón, ni murallas romanas o medievales, ni canales de conducción de ningún tipo. Sólo lo que muestra indicios de galería.

ELEMENTOS INDUSTRIALES Y DE ALMACENAJE DE LAS CALLES CALLEJÓN DEL SILENCIO, SANTA ISABEL Y NUEVA

El estudio de este Sector es muy importante en lo relativo al sistema de primera fase del amurallamiento protector de toda la defensa de Sexs. Y es precisamente a partir de este capítulo cuando se puede hablar de muralla propiamente romana, con dimensiones y estructuras desconocidas en otra parte de la zona industrial. Se trata de un encadenamiento del sistema que se va a ver que se inicia en este punto y llega hasta el fondo de calle Nueva acercándose a la estructura del Majuelo. Y realmente el aparejo y materiales usados no son los habituales en el uso de estos medios situados en otras zonas donde hay muralla defensivas y protectoras.

Y nuestra crítica se cierne sobre lo que ha ocurrido cuando en este inicio ha aparecido tal muralla. Basta con que se derribe una casa para acabar con todo cuanto hay dentro de la misma. Cuando se vean las fotos siempre se preguntarán qué ha pasado. Sencillamente la despreocupación es general. Esto hará que que Sexs pueda leerse tan solo en los libros de Historia. Y para los visitantes, tan sólo una historieta de lo que fue.

Foto 1. Calle Nueva.

Inicio de calle Nueva. Se empieza con la muralla romana a izquierda, pero, a derecha se verán los trozos de otra muralla árabe que, se cree, procede de las cercanías del Majuelo, pero no del mismo. Las casas que se encuentran a la izquierda, todas tienen estructuras romanas en su interior como se verá. Y esta cadena de prolonga hasta prácticamente hasta el final de la calle, o sea, se puede decir que finaliza en el pozo existente aquí que tiene un paralelo dentro del Majuelo.

Foto 2. Calle Nueva.

A izquierda de la calle indicada antes, se puede ver en las paredes de esta edificación, el aparejo romano enmascarado en 1,2, y 3. Y a derecha se ve una puerta dintelada que dará entrada a la zona donde se encuentra la muralla romana. El suelo es roca madre con cemento.

Foto 3. Calle Nueva.

Punto de acceso a un complejo de estructuras que contienen formas similares a las de una estación de salazones además.

Foto 4. Calle Nueva.

Esto es parte del interior de una de las casas con estructuras: En 1 se puede observar un aparejo romano mezclado (opus mixtum), donde hay opus incertum y opus latericium. En los puntos 2 y 3, en suelo de su interior, donde se podía haber practicado una excavación completa y muy aclaratoria de lo que es la industria de salazón. Nada.

Foto 5. Calle Nueva.

Prolongación del aparejo anterior muy retocado por los dueños. Estas fotos fueron tomadas en los años 70s del siglo pasado. La desaparición de esto es bastante reciente.

Foto 6. Calle Nueva.

Y aparece la muralla romana. Como se observa, las piedras de su aparejo son variadas. El hormigón se trasluce entre ellas. Es lo que da consistencia a su aparejo. En general esta parte está algo desgastada.

Foto 7. Calle Nueva.

Este tramo de la muralla muestra piedras más homogéneas.

Foto 8. Calle Nueva.

La interrupción por modificaciones de los propietarios (2). En 2 se puede ver caementum casi en estado puro. Y esta parte de la muralla, por sus piedras, es lo que ha dado nombre a este lugar interior: «Las Piedras Negras». Algunas de ellas miden casi más de un metro.

La vivienda que aquí se encuentra está montada sobre estas estructuras.

Foto 9. Calle Nueva.

Hay tres o cuatro compartimentos que dan extensión considerable a este lugar. Se puede observar el aparejo utilizado. Abunda mucho el uso del ladrillo.

Foto 10. Calle Nueva.

Otro de los compartimentos con revestimiento estucado, pero muy deteriorado. En realidad no se puede definir con precisión este espacio porque no se ha practicado lo dicho antes: una excavación.

Foto 11. Calle Nueva.

Otro de los compartimentos muy retocados. Están enlucidos con materiales modernos que se superpones al romano en muchos sitios de esta casa.

Foto 12. Calle Nueva.

En esta imagen cabe destacar el uso de ladrillo que, por su aspecto, indica una etapa en su uso algo tardía.

Foto 13. Calle Nueva.

En este espacio se observa el uso del ladrillo que tiene unas medidas muy similares a los que se han usado en el Sector K en su sistema abovedado. La cantidad de argamasa usada no se parece en nada a la usada por árabes. Este sistema es mucho más consistente.

Foto 14. Calle Nueva.

Esta imagen presenta una aspecto de mezcla de elementos constructivos. Se ve el caementum de más de un tipo usado como elemento de contención.

Foto 15. Calle Nueva.

A continuación del anterior se ve el aparejo de opus latericium con revestimiento a base de materiales de enlucido moderno. E incluso, en ladrillo romano aparece con tamaños variados.

Foto 16. Calle Nueva.

En esta foto se muestra un patio de la casa de las piedras negras visto de lo alto de otra casa. Y se ve cómo el aparejo cambia con la altura. Pero romano. si fuera árabe, tiempo ha que habría caído.

Comentario adicional sobre le comienzo de la muralla romana y elementos adicionales.

Foto 17. Calle Nueva.

Estas casas e encuentra en una situación similar a las anteriores. La escalera que se ven se ha tenido con construir porque no hay otra forma de acceder a un espacio situado encima y que es moderno. No han roto la estructura antigua y se mantiene debajo.

Foto 18. Calle Nueva.

Y esta es la parte antes citada de debajo. Para acceder a la parte izquierda que se ve en la imagen es necesario hacer escalones porque el suelo está a una altura superior. Y se aprecia el apareo de los muros. El enrasado se ha hecho porque han tenido que romper una galería grande.

Foto 19. Calle Nueva.

Y en el interior indicado antes, se ve que han perforado, por razones de obras, el muro romano que pasa por detrás.

Foto 20. Calle Nueva.

La parte izquierda de esta calle se encuentra apoyada sobre el sistema de muralla árabe-medieval que procede de las cercanías del Majuelo. Y precisamente por la esquina de esta calle que tiene un fragmento de columna, por ahí pasa la muralla citada. Este paso no existía. Realmente calle nueva comienza a partir de este punto.

Foto 21. Calle Santa Isabel.

Este patio se encuentra a la entrada a calle Nueva. Al fondo derecha se encuentra la muralla vista al principio. Está tan modernizado que resulta difícil distinguir algo romano o medieval.

Foto 22. Calle Santa Isabel.

La calla Santa Isabel se encuentra montada sobre estructuras romanas que se ven casi desde la misma calle. Los punto 1, 2, y 3 tienen aparejo externo que se identifica a simple vista. El interior es lo más necesario para confirmar lo que se está diciendo.

Foto 23. Calle Santa Isabel.

Este cruce de calles ha sido muy modernizado y se ha borrado todo indicio que suena a viejo. Pero el el punto 3 se podrá ver un patio que muestra señales de la continuidad de muros gruesos y construcciones adosadas.

Foto 24. Calle Santa Isabel.

Y aquí se ve. Punto 1: muro con aparejo que trasluce un material enmascarado. O sea, que por ahí se debía mostrar la existencia de la muralla en cuestión. Toda la parte del fondo son casas que reutilizan los espacios heredados de los antiguos romanos. El sentido de la muralla va en oblicuo a la calle.

Foto 25. Calle Nueva.

Calle Nueva. Parte izquierda de la imagen. En el interior de las casas: estructuras romanas sin lugar a dudas. En el punto de apoyo posterior: muralla romana prolongación de la vista al inicio o final de la calle Vélez. En cuanto al suelo: si se perfora esta calle, afloran muros romanos robustos por todos sitios, como se verá. Estamos ante la extensión de las formas industriales del Majuelo, Calle Nueva no existía. Y cuando era necesaria por la ocupación, se crea y tapan definitivamente todo lo que aflora. El Majuelo se había convertido en una finca de frutales privada. Pero a finales del siglo XVIII, los militares reflejaron en sus planos las formas esquemáticas de la factoría.

Foto 26. Calle Nueva.

En calle Nueva, casi al principio, y en este pasillo ciego. al fondo del pasillo se ve la muralla con enlucido externo, indicando un sentido curvo según la estructura de la roca que está a poca profundidad. La muralla sigue el sentido geológico del terreno.

Foto 27. Calle Nueva.

Y entrando por la puerta que se ve en el pasillo ciego aparece con un aspecto muy similar al visto anteriormente a inicio de la calle en este capítulo de trabajo. Se puede ver que se ha construido apoyándose en ella por su gran solidez. Las piedras de su alzado son similares a las citadas. La argamasa interna se deja ver por efecto del salitre que se solía añadir en su preparado.

Foto 28. Calle Nueva.

De nuevo en calle Nueva, aprovechando una reposición de tuberías de abastecimiento de aguas, se pudo ver uno de los muros romanos que quedaron al descubierto. Justo encima se puede ver cómo la casa monta sus cimientos sobre ese muro. Es un fenómeno normal en toda la calle.

Foto 29. Calle Nueva.

Otra imagen de la serie de casas que se apoyan sobre los muros romanos.

Foto 30. Calle Avenida de Europa.

Y, por último, en esta casa se ve en el jardín, al fondo, los muros de la muralla medieval-cristiana que discurre paralela a la romana. Detrás está las casas que dan a calle Nueva en su inicio. Si se observa el aparejo de la misma, puede comprobarse que muestra un aparejo muy distinto. Y, aparte de eso, alterado.

Foto 31. Calle Avenida de Europa.

Detalle de la muralla a su paso por el jardín de esta casa. El aparejo usa mucho el ladrillo visto y formas arqueadas como elemento decorativo.

Foto 32. Calle Avenida de Europa.

Paso de la muralla, al fondo, en sentido noreste, pero que retomará su línea hacia la calle Avda de Cala, llegando hasta Carrera de la Concepción, continuará hasta Avda. de Madrid por el conocido de antiguo Callejón de Valdivia.

Foto 33. Espacio del cine Galiardo.

Finalmente, en la demolición del Cine Galiardo y apertura de cimientos para nueva construcción, aparece este resto de estructura que, hacia el Norte, no muestra prolongación, mientras que hacia el Sur indica que sí. Pero no se ha continuado excavando. Indudablemente se trata por este lado de una finalización de las estructuras del Majuelo. En sucesivas excavaciones por obras, a lo largo de Avenida de Cala, no ha aparecido más que limo a pesar que se ha llegado a bastante profundidad. Pero los estructuras sí han aparecido en Avenida Costa del Sol, como se verá en otro sector.

Como conclusión de este capítulo hay que decir que prima el elemento defensivo como la muralla romana y la medieval-cristiana. Y, en cuanto a estructuras industriales, no se ha podido contabilizar, aunque se ha visto cómo se destruyeron con palas mecánicas la prolongación de las formas del Majuelo en el Callejón de la Najarra (Avda. de Europa). Y queda claro que los elementos industriales en esta parte han existido.

ELEMENTOS INDUSTRIALES EN CALLES VÉLEZ, HORNO NUEVO, OROBIA, ANTIGUA, ESCAMADO Y CARMEN BAJA

En este sector destacamos los elementos más relevantes dadas sus especiales características arquitectónicas. Se trata de exponer la muralla romana de una zona especial donde se observan alzados de muros, elementos de posibles salazones (no se ha excavado o se ha realizado de forma no adecuada por las urgencias urbanísticas). Pero lo más destacable es el aparejo del alzado de la muralla que discurre en dirección a la zona del Majuelo en un recorrido de más de doscientos metros, pasando por detrás de las viviendas situadas en parte de la calle Vélez y toda la calle Nueva, como se verá en la exposición. Realmente sorprende el tipo de piedra usado en su ejecución; se usan calizas, mortero y ladrillo de cierto grosor, cosa que hacer pensar que por esta zona también podían extenderse las piletas de salazones. Realmente, en un terreno de nueva construcción de viviendas, fueron destrozados elementos que eran propios de las salazones. Desafortunadamente el material fue destrozado por la máquina, las prisas del constructor y la mala gestión de la administración del patrimonio de aquellos momentos (año 1974-5), tanto locales como provinciales.

El estudio de esta zona se ciñe fundamentalmente a calle Vélez, Horno Nuevo y parte de Avda. de Cala.

Foto 1. Calle Vélez.

En esta encrucijada hay que señalar que aproximadamente en el centro existió la llamada Puerta de Vélez, de la que no queda nada. salvo que se excavara la zona. El espacio superior derecho, antigua Pensión Marina, en parte está ocupado por el paso de la muralla árabe-cristiana. En la media izquierda superior se encuentra la muralla árabe en los interiores de las casas. Y en primer plano derecho apareció en supuesto final de las estructuras en este espacio, de la factoría del Majuelo.

Foto 2. Calle Vélez.

En la parte izquierda de la imagen, las casas que se ven, tienen en su interior la estructura de la muralla antes citada (árabe-cristiana). Y en la superior izquierda, dos elementos: una muralla más pequeña romana y, casi a su lado, la muralla árabe-cristiana. Puede haber ocurrido que ambas hayan tenido algo que ver en la desaparición de la Puerta de Vélez.

Foto 3. Calle Vélez.

Calle Vélez sin explorar. A derecha, todas las casas tienen en sus interiores estructuras antiguas, que se encuentra alineadas con las procedentes Plaza del Ayuntamiento.

Foto 4. Calle Vélez.

Calle Vélez, esquina con Horno Nuevo. El punto 1, indica la trayectoria de la doble muralla que se verá a continuación. El punto 2, el espacio ocupado por casas que, como se ha dicho, aparca el espacio donde van a aparecer muchas estructuras romanas. El punto 3, la calle Horno Nuevo que no ha sido suficientemente estudiado.. Y el puto 4, inicia el estudio y análisis de lo que se viene afirmando: estructuras romanas en los interiores de toda la calle. Se verá.

Foto 5. Calle Vélez.

Esta imagen muestra un doble muro romano a través de toda la calle Vélez, paralelo a la muralla árabe que recorre toda la Avda. de Cala. Muestra el aspecto de haber constituido un pasillo-corredor. Algo así se da también en el cardo maximus de Baelo Claudia. Pero no se tiene que observar todos los movimientos que se realizan por esta zona porque los atropellos son frecuentes.

Foto 6. Calle Vélez.

Detalle de la profundización en el rebaje del terreno. La potencia del terreno en esta zona es alta, probablemente por inundaciones desde tiempos pasados. Sorprende que los muros quedan como suspendidos sin a asentarse cobre roca.

Foto 7. Calle Vélez.

Calle Horno Nuevo. Todos los sótanos que se encuentran a ambos lados de esta calle han reutilizado los espacios de estructuras antiguas en sus interiores. De ahí que se vean ventanas a ras del suelo. En el interior de la parte derecha de la imagen hay un gran patio porticado que recuerda una reutilización de formas antiguas. Se ha podido visitar, pero no hacer fotos.

Foto 8. Calle Vélez.

En este punto se cruzan las calles Escamado, Antigua y Orobia. Y volvemos a repetir: toda la pendiente de la calle central estaba atravesada por sistemas de galerías encadenadas y situadas de forma paralela a calle Vélez. Y las galerías vistas eran superiores a la vistas hasta ahora.

Foto 9. Calle Vélez.

Calle Orobia con casas que registran en su interior elementos reutilizados y en muy mal estado por mal uso y abandono.

Foto 10. Calle Vélez.

De frente, estructura antigua transformada en casa. En su interior elementos en mal estado.

Foto 11. Calle Vélez.

Interior de la cachada anterior: habitáculo en mal estado. En su alzado derecho, descarnado, se puede ver el aparejo romano por desprendimiento del mortero moderno.

Foto 12. Calle Escamado.

Calle Escamado. Palacete del Corregidor. En su restauración se practicó una excavación, dado como resultado la aparición de materiales que han sido malinterpretado, al igual que en otros lugares. Los vistos, mayoritariamente son romanos y medievales. De fenicio, nada.

Foto 13. Calle Cobertizo. Transversal.

Esta calle viene alineada con las que proceden de la Plaza del Ayuntamiento. Y debajo de la primera a derecha, hay restos de muros de tierra prensada; lo que hace pensar que es de época árabe. Todo esta calle-corredor tiene la misma base de apoyo para la viviendas modernas.

Foto 14. Calle Carmen Baja.

Calle Carmen Baja. A derecha de la imagen había un antiguo cuartel con patio central.. Nada se pudo controlar en la nueva edificación.

Foto 15. Calle Vélez

Inicio de calle Vélez. Excavación y falta de protección de los excavado. La maleza ha deteriorado mucho lo que apareció a poca profundidad. Todas las casas colindantes tienen lo que aquí se ve, cumpliéndose lo ancho generalmente sobre Sexs: todo está bajo la casas modernas.

Foto 16. Calle Vélez

Este es el aspecto que tenía la zona excavada después de abandonado el solar.

Foto 17. Calle Vélez.

La zona excavada desde otro ángulo. La maleza impide ver los restos de los numerosos muros que aparecieron.

Foto 18. Calle Vélez

Detalle de una de las zonas con un muro romano cuyo aparejo es el opus incertum. Estos restos han desaparecido.

Foto 19. Calle Vélez

Imagen e que se ven los muros romanos saliendo de la estructura moderna que se encuentra justo detrás. Restos que han desaparecido.

Foto 20. Calle Vélez

El mejor detalle de esta imagen es el canal superficial en rampa. Por falta de claridad en el movimiento del resto de los elementos, no se sabe si su finalidad de uso fuera doméstico o industrial, al que consideramos más seguro, porque las tinajas tipo dolium se ven después. En cuanto a la finalidad doméstica se considera muy dudosa porque los materiales de una casa son muy diferentes a los de una industria. Es importante considerar que aún no se tiene rastro de algún tipo de suelo doméstico. Ho se ha registrado ningún mosaico ni siquiera rudimentario en todos los procesos de excavación.

Foto 21. Calle Vélez.

La maleza impide determinar si existe estuco o materia similar. De todas formas se encuentra bastante deteriorado.

Foto 22. Calle Vélez.

Foto de detalle sobre el tipo de aparejo, que está deteriorado.

Foto 23. Calle Vélez.

Otro detalle para observar el posible estuco.

Foto 24. Calle Vélez.

Otro ángulo del resto de elementos que forman la franja superior colindante con las casas modernas.

Foto 25. Calle Vélez.

Detalle de una esquina del muro anterior. Y aquí sí se aprecia el uso del estuco debajo de esa piedra o base de un posible gozne de puerta.

Foto 26. Calle Vélez.

Detalle para ver el deterioro de los muretes de esa zona cubierta por la maleza.

Foto 27. Calle Vélez.

Foto 28. Calle Vélez.

Y este es el resultado de una nueva excavación en esa zona de calle Vélez. donde tan sólo se aprecia una tinaja y restos de ella o de otras, encima. Prácticamente ha desaparecido todo lo anteriormente expuesto. Se espera que pronto se dé una información de lo ocurrido porque los indicios que se han enumerado antes son más que suficientes para explicar lo ocurrido. Y la respuesta parece que se hace esperar.

Detalle sobre la tinaja que se ha descubierto. Al fondo de esta excavación, a izquierda, aparece aparejo romano deteriorado, y justo al lado, el aparejo moderno.

Como conclusión sobre los elementos registrados en este sector, se destacan las murallas romanas y árabes. Pero sigue siendo revelador el hecho de que la mayoría de los investigadores sigan hablando de la ciudad de Sexs. Hasta el momento, de ciudad no se puede hablar, porque los datos obtenidos hasta ahora no ven en ese sentido. Y se insiste en que la infraestructura urbanística no se ha dejado ver en ningún sitio. Y, al final de esta cuestión, si las cosas no cambian con datos fiables, se tendrá que admitir lo que sí existe: la industria de salazones.

ELEMENTOS INDUSTRIALES Y ALMACENAJE EN CALLE ANTIGUA, ESCAMADO, PLAZA DEL AYUNTAMIENTO, CARMEN BAJA Y CUESTA DEL CASTILLO

Lo más destacado de este sector se centra en la continua aparición de galerías y estructuras anejas a la misma. Y, como elemento adjunto, conducciones de agua subterráneas.

Foto 1. Calle Antigua.

Inicio de la calle Antigua. La evolución de esta calle es compleja. En primer plano, a izquierda, todas las casas, que se dirigen hacia la Plaza del Ayuntamiento, forman una cadena de estructuras en sus interiores, que han venido dando galerías en su trazado. Se verá más adelante. A media altura de la calle ha sido descubierta una red de galerías que discurren paralelas a las estructuras que se han citado antes. A su vez, cuando se abrió paso, la calle des destruyó, como mínimo, otra galería que iba hacia calle Vélez. Y la parte derecha de la calle, hoy moderna, se construyó una ermita. Con el tiempo esa ermita fue destruida por abandono y hacer casa moderna. En la destrucción su pudo ver una gran cantidad de materiales de todas las épocas y los más llamativos fueron las piezas romanas. Todo se perdió.

Foto 2. Calle Antigua.

Y de nuevo en la galería citada, al observar el aparejo exterior, aparecen con gran claridad la técnica romana por excelencia: opus incertum.

Foto 3. Calle Antigua.

En esta imagen pueden verse el uso de ladrillos en edificio anejo muy similar al visto en el sector Q. en calle Vélez.

Foto 4. Calle Antigua.

Antes de entrar en la galería se muestra el muro antiguo con opus incertum.

Foto 5. Calle Antigua.

Muros romanos en cualquier sitio que se toque. Su estado de conservación varía por el uso que se ha venido haciendo en general de este espacio.

Foto 6. Calle Antigua.

La imagen ofrece uno de los extremos de la galería con sus correspondientes cambios por los usuarios que la ocuparon. El ladrillo es muy usado aquí, pero el alzado no muestra señales de ello. Ligeramente el opus incertum. La solería ha desaparecido y no se sabe si hay roca madre debajo del actual suelo.

Foto 7. Calle Antigua.

Segundo extremo de la galería. Sus proporciones muestran un tamaño muy superior al módulo habitual.

Foto 8. Calle Antigua.

En esta imagen se muestra la separación de la galería colindante que iba en dirección a la Plaza del Ayuntamiento. Y se ha usado el opus latericium en el alzado del tabique de separación.

Foto 9. Calle Antigua.

Sin embargo, en los muros exteriores sí se puede ver el aparejo de opus latericium clásico; ladrillo grueso, argamasa tipo caementum.

Foto 10. Calle Escamado.

Calle del Escamado Palacete del Corregidor. En las dependencias interiores de ha procedido a realizar excavaciones dando como resultado la aparición de cerámicos muy variadas, con predominio de las romanas. Alguien dice que también fenicias. Ya se comprobará, porque eso es muy dudoso, en el análisis de los materiales en depósito.

Foto 11. Calle Escamado.

Escalinatas de acceso a estructuras de casas que se encuentran sobre-elevadas a causa de las dependencias romanas que se encuentra debajo, construcciones que dan a Plaza del Ayuntamiento. Se verá de seguido.

Foto 12. Calle Escamado.

Resto de la calle Escamado. Los ventanucos que se pueden ver se abren al interior por los pasadizos corredores que se prolongan hacia calle Real.

Foto 13. Plaza del Ayuntamiento.

Entrada a una zona arqueológica muy reveladora. Esta fachada, de finales del siglo XIX, ha reutilizado materiales probablemente procedentes del derribo del depósito terminal del acueducto romano situado donde hoy se encuentra la iglesia. Y es posible que se guardaran en una dependencia de este lugar porque dentro de encuentran naves romanas de gran tamaño, como se verá.

Foto 14. Plaza del Ayuntamiento.

Se abre una trampilla bajo la escalera y se ve otra que baja aproximadamente dos metros. el material es enteramente romano, con escalones hechos de ladrillo. Se ignora si esta entrada se comunicaba con las estructuras de superficie. porque, como es lógico, la trampilla es un añadido posterior. y la bajada está hecha por los romanos, como se ve. Se piensa que, como se trata de una conducción de agua entubada procedente de la zona final del acueducto romano, aquí se reconducen las tuberías que se dirigían hacia el barrio del Castillo, valiéndose del sistema de vasos comunicantes. Téngase en cuenta que la diferencia de altura (50 m aproximadamente en la iglesia, y 48 en Eras del Castillo), facilitaba ese trasvase, En resumen es coherente pensar que esta entrada no es más que el medio de vigilar y mantener el sistema de conducción a la zona superior.

Foto 15. Plaza del Ayuntamiento.

Al final de la escalinata de bajada puede verse el sistema abovedado del canal a derecha. La entrada está enlucida con estuco blanco que se encuentra algo deteriorado. Es lógico pensar que ese enlucido es posterior, que toda la estructura posterior está hecha con bóveda de ladrillos, de cierto calibre, y mortero romano.

Foto 16. Plaza del Ayuntamiento.

En este punto en canal abovedado da un pequeño giro a derecha.

Foto 17. Plaza del Ayuntamiento.

En ese giro a derecha, ya se puede observar un desvío a izquierda, Se trata de la conducción, también con galería adintelada, aunque de menor tamaño.

Foto 18. Plaza del Ayuntamiento.

En el desvío se puede ver en entubamiento de las tuberías con fuerte protección. Esto ha debido ser manipulado por los propietarios en el tiempo. Los muros laterales tienen una aparejo muy resistente, con ladrillos típicos de los usados en este nivel tanto en este edificio como en el lugar en que se encuentra la galería abovedada anterior. La cobertura es adintelada, cubierta con grandes lajas de piedra. El suelo del canal muestra en algunos tramos restos de haber estado cubierto con material impermeable.

Foto 19. Plaza del Ayuntamiento.

A partir del desvío, el canal continúa hasta adentrarse bajo tierra hasta llegar al espacio de la Plaza del Ayuntamiento. No se ha podido explorar más porque el sistema de alcantarillado moderno ha partido este conducto y no se puede avanzar más. Los antiguos propietarios refirieron que, tiempos atrás, se podía llegar hasta la conocida zona llamada Puerta de Granada, por donde naturalmente subía por el mismo sistema de vasos comunicantes, el agua hasta el depósito terminal emplazado por los romanos en el espacio que hoy ocupa la Iglesia Parroquial.

Foto 20. Plaza del Ayuntamiento.

Se abandona el canal subterráneo y situados en el patio porticado y. aprovechando un paro de los operarios que trabajaban en determinadas zonas de este gran edificio, a escondidas. se asciende a una altura considerable y se ve lo que se muestra: Una gran galería romana de dimensiones superiores a Cueva de Siete Palacios, que aparece con su bóveda enlucida mostrando material moderno, como se verá a continuación.

Foto 21. Plaza del Ayuntamiento.

Detalle más cercano conseguido con cierta dificultad, porque se estaban fotografiando elementos internos sin permiso y a escondidas. Pero el monumento estaba ahí y había que sacarlo a la luz para que la ciencia arqueológica e histórica lo estudie, y la gente lo conozca.

Foto 22. Plaza del Ayuntamiento.

Este es el fondo de la galería, con su bóveda enlucida con material moderno. Se nota que estuvo destinado a servir de taller de reparaciones. La familia tenía vehículos antiguos y los reparaban o limpiaban en este taller. Dichos vehículos se veían a veces en la calle.

Foto 23. Plaza del Ayuntamiento.

Esta imagen muestra los materiales de los operarios que estaban limpiando este espacio. Al fondo se puede ver el muro de separación de la galería de los otros elementos que se encuentran en esta zona de la casa. El material y la técnica es el opus incertum.

Foto 24. Calle Carmen Baja.

Se inicia la descripción desde el comienzo de la calle Carmen Baja, llegando hasta la calle Alta del Mar. Aquí sólo se ve la alineación de casas relativamente modernas. Y la distribución de espacios se ve bastante homogénea. Los interiores son los que poseen estructuras que no se pueden mostrar por recelo a hacerse público un elemento demasiado antiguo como es el caso de la estructura romana, que es lo que hay en su interior. En algunos momentos los restos se podrán ver en la calle, si no los ha borrado la remodelación de las calles.

Foto 25. Calle Carmen Baja.

Continúa la calle y tiene que girar forzada por la estructura de la roca que se encuentra como base en todo el recorrido. Los módulos son bastante similares.

Foto 26. Calle Carmen Baja.

En este punto, casi llegando a la calle Cuesta del Castillo, se ve esta casa-almacén que posee en su interior aparejos romanos en sus muros. Se tomó foto por la rendija superior.

Foto 27. Calle Carmen Baja.

Sobre su cubierta, al final, se ve aparejo antiguo algo enmascarado por los retoques modernos tanto a un lado como a otro.

Foto 28. Calle Carmen Baja.

Y éste es su interior, muy alterado por su estado de enlucidos. En su muro de fondo se ve el aparejo romano muy retocado, pero las piedras son evidentes.

Foto 29. Calle Carmen Baja.

En esta imagen se confirma lo dicho sobre el cambio de alineación de la calle. Este pasillo empinado muestra que la roca madre está a flor formando el suelo. Las casas se han tenido que adaptar a él, y el acceso ha tenido que utilizar escaleras por el desnivel entre la estructura interna y el piso de la calle-pasillo.

Foto 30. Calle Carmen Baja.

Y todo espacio válido por su nivel se usa para construir habitaciones.

Foto 31. Calle Carmen Baja.

Esta casa muestra sus muros interiores que se encuentran revestidos por el retoque moderno. Aquí existió galería, pero ha sido sustituida por vigas de madera para poder edificar encima y hacer en su interior una escalera empinada.

Foto 32. Calle Carmen Baja.

En este punto la calle se ensancha y se va a llegar a una zona realmente importante por la situación de un destacado torreón que colinda con calle San Joaquín y Carmen Baja. Pero lo más llamativo es el hallazgo de piletas de salazones en esta zona, cosa normal en lo que es una factoría como ésta. Piletas se hallan en todos lo niveles en mayor o menor cantidad. Pero haberlas, haylas.

Foto 33. Calle Carmen Baja.

Se desciende por calle antigua y vuelven a aparecer estructuras ocultas en los interiores, como ocurre en esta casa, y que se verá se seguido. El desnivel es muy notorio. y esta casa colinda con el asentamiento de un horno de pan en desuso, pero que ha usado, como otros lugares, las estructuras romanas como los muros de contención de terreno.

Foto 34. Calle Carmen Baja.

Y aquí se muestra el interior con sus muros bien enmascarados de materiales modernos. No se pudo entrar. Fotos desde fuera, como se ve.

Foto 35. Calle San Joaquín.

A continuación, salvando el desnivel, se ven casas modernas con estructuras romanas interiores, que se ven forzados a abrir ventas de respiración a ras de suelo, porque tiene que emparejar sus suelos por el desnivel que les causa la roca madre sobre la que se asienta todo.

Foto 36. Calle Antigua.

Y ya en el interior el citado horno de pan. puede observarse la estructura de sus muros interiores en los que se aprecia el opus incertum en todo el recinto de horno-casa habitación. Ha debido ser grande la estructura porque se han visto obligados a construir escaleras bastante pendientes debido a ello. Y precisamente la escalera es uno de los elementos que muestra en su descansillo un muro romano revestido de cal.

Foto 37. Calle Antigua.

En esta imagen se aprecia más aún el citado muro porque justo encima aparece el genuino sin revestimiento alguno.

Foto 38. Calle Antigua.

Esta imagen recoge un amplio espacio de la parte superior de la casa del horno con un aparejo que se trasluce en todas direcciones del alzado. Es el abundante opus incertum. Por rapidez de la vista no se pudo tomar medida de todos estos elementos arquitectónicos.

Foto 39. Calle Carmen Baja.

Vuelta de nuevo a calle Carmen Baja. Se ve a derecha muchos restos de muros muy desgastados por derribos entre otras cosas, A izquierda, una sobreelevación del terreno por la existencia de la roma madre bastante empinada.

Foto 40. Calle Carmen Baja.

Detalle del muro deteriorado donde se ven restos de hormigón romano y piedras del opus incertum.

Foto 41. Calle Carmen Baja.

Y lo más destacado de esta imagen es la aparición de muro en el suelo y contado sobre él, muro nuevo. Lo que quiere significar que ahí ha existido una estructura antigua que ha sido destruida. Su interior no ha sido visto, pero se sospecha que dentro debe haber formas romanas, porque eso es lo que aquí se está dando.

Foto 42. Calle Cuesta del Castillo.

Y la cuesta del Castillo es realmente una escalera hecha de casas asentadas sobre la estructura romana que debe existir, pero que tan sólo los accesos tan llamativos pueden demostrar. Y un detalle muy importante a favor de esta afirmación: ninguna de estas casas de la Cuesta ha registrado grietas en sus alzado jamás. Este detalle está indicando que las bases y elementos interiores son lo que mandan en la seguridad y estabilidad de todas estas casas.

CONCLUSIONES.

éste es uno de los sectores en lo que destaca son las grandes galerías como las citadas. Pero no queda atrás la importancia que tiene el sistema de distribución de aguas industriales. Sin duda es lo más llamativo porque aún no se había mostrado nada similar, salvo en el Majuelo. Y en cuanto a las galerías, aparte de ser grandes, cabe destacar que han existido en zonas que nadie pensaba verlas por ser un elemento propicio a ser ocupado como vivienda como se ha visto. Y es lógico pensar que estos elementos aparecidos en partes de la ciudad moderna y de estas características, haya subsistido hasta nuestros días, sin destruir. En resumen: lo más importante es la galería y la conducción subterránea.

ELEMENTOS INDUSTRIALES Y ALMACENES DEL

SECTOR S

En los elementos que aparecen este sector se manifiesta claramente una disminución de datos relativos a nuestro propósito de mostrar los materiales que se vienen describiendo exigidos por el fin propuesto en este trabajo. Tan sólo mostramos restos de edificaciones, cimentación de parte de murallas. Habrá un comentario de contexto por las características de los elementos vecinos, como son galerías abovedadas de varios metros tan sólo de los datos mostrados, al igual que la concatenación de estos restos con la muralla que se unirá a la contemplada en la Cuesta del Carmen.

Foto 1S

Aunque aparentemente este sector muestra pocos materiales, es conveniente advertir que en esta imagen se muestra un acceso bastante pendiente por encontrarse la roca madre muy inclinada. Pero a su lado se encuentran las estructuras romanas que se verán en otro de los sectores siguientes. Se opina, aunque no se ha podido probar con ejemplos, que dentro de las casas de la derecha según se baja, hay estructuras romanas que son prolongación del sector adyacente. Y aquí ha llegado a hundirse el terreno por la sobrecarga de los edificios modernos.

Foto 2S

Aquí aparece un muro de ladrillo que puede ser una sustitución del material que se contiene en las casas de calle Real, porque tal calle se encuentra sobre estructuras antiguas como se ha podido comprobar con una excavación casi reciente.

Foto 3S

Y sobre esa pendiente citada se ha practicado un rebaje de terreno que deja a descubierto cómo los muros antiguos romanos han profundizado sobre el terreno, pero tenemos dudas de que sea auténtico porque normalmente los romanos construían profundizando poco sobre la roca madre. Pero aquí se puede ver que el muro de edificio profundiza sobre un rebaje anteriormente practicado. Y el corte deja en el la duda si lo era, porque ya no se puede analizar.

Foto 4S

Sin embargo en esta especie de zapata se observa que el elemento constructivo es opus incertum, pero su contexto no ayuda mucha a dilucidar una correcta opinión. Lo que sí se sabe y muy bien es que en este solar se encontraron una gran cantidad de materiales romanos mezclados con árabes, pero se ignora su paradero para establecer algún criterio respecto a los elementos arquitectónicos escasamente vistos.

ELEMENTOS INDUSTRIALES Y ALMACENES DEL

SECTOR T

Foto de este Sector

Foto 1. Calle Cuesta del Carmen.

Calle Baja del Carmen. Calle Cuesta del Carmen. A través del tiempo, y por los cambios que ha experimentado esta calle, se han podido ver gran cantidad de materiales muy revueltos. Si se miran las fotos de finales del siglo XIX, y principios del XX, cualquier parecido con la realidad es poca. Todas las estructuras se han remozado hasta la saciedad y tan sólo se pueden ver restos ocultos bajo la sombra de las malezas que cubren los fragmentos de las murallas y torreones que circundaban la ciudad medieval y antigua.

Foto 2. Calle Cuesta del Carmen.

Calle Baja del Carmen. En esta antigua imagen donde se han montado varias industrias modernas, en las perforación para su construcción el material ha sido eminentemente romano-árabe. Pero todo se ha pedido, incluso la existencia de un horno de cerámica (Manuel Mateos, padre). Pero cabe destacar que también hubo restos de murallas reutilizadas en estas construcciones, con técnicas que difieren de una época a otra.

Foto 3. Calle San Joaquín: Muralla de contención.

Calle Baja del Carmen. Calle San Joaquín (debajo), y muralla romano-medieval. Ha sufrido muchos cambios por deterioro, sobre todo la parte superior más moderna. El aparejo muestra la piedra propia de la mampostería romana, pero muy retocada por las sucesivas reconstrucciones y el paso del tiempo.

Se puede ver, además, la construcción de un nueva casa justo cerca de la muralla. Cuando se realizaban las perforaciones para crear cimientos nuevos, los operarios encontraron piletas de salazones. Lógicamente se dieron cuenta conforme profundizaban. Localizaron cinco piletas y, además, comprobaron que las últimas limitaban con la casa contigua y se perdían en otros cimientos. El hecho es que escarbaron en ellas para ver si había algo de valor y se encontraron con una especie de saquito cilíndrico de una materia similar al cuero y vieron que eran monedas. Evidentemente se las repartieron entre ellos. Pasado un tiempo, se pudo saber que esas monedas eran romanas y, concretamente, denarios de plata. A la investigación llegaron veintisiete a las que se añadió posteriormente una más. Pero realmente fueron contabilizadas más de cuarenta y ocho. Hubo ejemplares que no se pudieron contabilizar por falta de colaboración. Han sido publicadas con su estudio correspondiente. Y como detalle y consecuencia del estudio, se ha comprobado que hay ejemplares cuya acuñación está datada en el año 46 a C., o sea, que las monedas han sido enterradas en una pileta, cosa que era habitual en los soldados cuando iban al combate. Quien fuera, las guardó en una pileta que, por sus características, ya estaba abandonada. Lo que se puede entender que la antigüedad de las piletas puede ser muy bien anterior a las monedas. Y entonces se plantea una duda seria: Si las monedas son de época de la Guerra Civil romana en España, cabe preguntarse qué antigüedad, de rebote, tiene el acueducto romano; porque las piletas necesitaban agua para construirlas y para trabajar con ellas. Los sesudos colegas hablan de la fecha del acueducto situándola en el siglo I d. de C. Después de esto, queda en el aire la edad arqueológica del acueducto romano de Sexs.

Foto 4. Calle San Joaquín: Muralla de contención.

Baja del Carmen. Detalle de la parte final de murallón en el extremo de San Joaquín. El aparejo ha sufrido retoques a través de los tiempos y ha sido restaurado a conveniencia de los usuarios de la zona. La base en romana cuyo excavación por obras dio como resultado la aparición de cinco piletas de salazones en una de ellas. Por su estado al encontrarlas, aparecieron como abandonadas de época. Dentro de una de ellas apareció lo que pudo ser el peculio de un soldado con envoltorio de piel y una cantidad aproximada de 50 denarios de plata, monedad con la que se solía pagar a los soldados.

Foto 5. Calle San Joaquín: Torreón Medieval sobre Muralla de contención.

Calle Baja del Carmen. Torreón medieval árabe que se construyó sobre la muralla, justo dando a la calle San Joaquín en la parte superior y Baja del Carmen, en inferior..

Foto 6. Calle San Joaquín: Torreón Medieval sobre Muralla de contención

Calle Baja del Carmen. Detalle de la profundidad del torreón adosado a la muralla. Su periferia ha sido excavada y se ha comprobado la existencia de elementos romanos rotos para su emplazamiento. Se encuentra muy cerca de las piletas de salazones localizadas aquí, como ha quedado dicho antes.

Foto 7. Calle Carmen Baja.

Calle Baja del Carmen. Esta foto queda como testigo en esta calle (Carmen Baja) del hallazgo de un peculio de soldado romano, aparecido dentro de una de las piletas localizadas. Hay que decir que las cinco piletas fueron desmontadas buscando algo más de valor.

Foto 8. Calle Carmen Baja.

Calle Baja del Carmen. Las casas de toda la calle han reutilizado las estructuras antiguas romanas.

Foto 9. Calle Carmen Baja.

Calle Baja del Carmen. Llama la atención el acceso a esta casa, con una altura superior al metro y escalones muy inclinados. Ello muestra que la parte habitada se encuentra a un nivel muy superior a la calle, con lo que las estructuras internas de las casas han usado los elementos romanos solamente allanado su interior.

Foto 10. Calle Carmen Baja.

Calle Baja del Carmen. Como en cualquier sitio del casco antiguo del pueblo, aparecen los restos de estructuras romanas tanto en los interiores de las casas como en superficie de las actuales calles. Aquí se produce un corte de elementos para poder acceder a una zona que mostraba gran cantidad de restos de estructuras que han sido rotas para poder pasar a zona difíciles de acceder. Y la entrada de esta derivación de calle es un ejemplo más. Los restos aparecen sobre los extremos del suelo que, oportunamente, la gente ha blanqueado.

Foto 11. Calle Carmen Baja.

Calle Baja del Carmen. Según se entra en esta derivación, se puede observar sobre el mismo suelo de calle, el escalonamiento de la misma para permitir el acceso a área superior. Todas estas calles registran en sus interiores de las casas, restos de galerías y estructuras industriales de piletas de salazón. A poca distancia de este punto han aparecido tales elementos y a poca distancia de la muralla de aterrazamiento del sector superior.

Foto 12. Calle Carmen Baja.

Calle Baja del Carmen. Tanto a un lado como a otro, se han reutilizado los elementos romanos de galerías para convertirlas en viviendas. Y en este punto no se ha podido comprobar la existencia de piletas. Según la altura del terreno, tan sólo se han podido comprobar dos niveles para los elementos industriales. Per9o las casas de este momento sí usan los muros romanos porque se han comprobado los alzados con una técnica que no es la actual. Desgraciadamente la remodelación de las calles como éstas han desaparecido de tal forma que no dejan indicios que demuestren su verdadera identidad.

Foto 13. Calle Carmen Baja.

Calle Baja del Carmen. Dentro de lo explicado antes, se puede mostrar los dos niveles de altura que se dan en esta zona. El punto 3 nos indica el escalonamiento del terreno por necesidad del terreno, que se apoya en toca madre. Y en segundo lugar, los dos niveles de alturas donde se han registrado estructuras en los interiores de las casas (1 y 2). La parte del fondo muestra viviendas que se encuentran adosadas a la muralla romana que se dirige hacia Levante.

Foto 14. Calle Carmen Baja.

Calle Baja del Carmen. Detalle de la parte superior de esta calle derivada para mostrar que han tenido que adaptar el terreno para poder acceder a las viviendas que se han hecho aprovechando las estructuras antiguas romanas En punto 3 señala una de las casas que se han construido sobre las estructuras romanas; y el punto 2 que señala un espacio por donde se puede pasar hasta la muralla situada bajo la calle San Joaquín; y el punto 1, la vivienda que casi llega a conectarse con las procedent4es de Cueva de Siete Palacios. Hasta ahora, la técnica observada sobre el terreno es la del opus incertum.

Foto 15. Calle Carmen Baja.

Calle Baja del Carmen. Rincón final de la derivación de la calle Principal. En ello restos se puede observar el citado uso del opus incertum que se deja ver en el mismo suelo.

Foto 16. Calle Carmen Baja.

Calle Baja del Carmen. Vista de detalle de la foto anterior para comprobar que el suelo es roca madre, lo que nos lleva a entender que los antiguos romanos solían levantar sobre firme roca madre. Y el ligero revestimiento de los muros de este tiempo, por la ligera capa de enlucido, permite ver el aparejo de su interior.

Foto 17. Calle Carmen Baja.

Calle Baja del Carmen. Tanto a derecha como a izquierda, se puede observar que los muros antiguos dejan ver los indicios de arranque de muros que cerraban las galerías aquí existentes y que, como en todos los niveles del pueblo, muchas galerías han sido destruidas por necesidad de ocupación. El arranque se ve en 1, a derecha. donde se aprecian dos, y en el 4, la necesidad de acceso elevado para la casa moderna, lo que implica que la solería interior necesariamente se encuentra sobrealzada por la forma de la estructura romana. El punto 3 tan sólo muestra si acceso para el que no ha sido necesario romper muro porque estaría a nivel del suelo. En este terreno mostrado en 2, se señala que habría sido rotas dos galerías al menos en sentido paralelo.

Foto 18. Calle Carmen Baja.

Calle Baja del Carmen. Continuación del sistema de muros romanos sobre la fachada de las casas modernas. Es detalle observar que, para la instalación de un contador de agua, ha sido necesario hacer una derivación pequeña sobre muro antiguo para poder instalar debido a la dureza del alzado romano. El espacio que se ve libre es debido a que ese paso era necesario y hubo que romper estructuras antiguas.

Foto 19. Calle Carmen Baja.

Calle Baja del Carmen. Imagen muy elocuente desde la foto anterior, porque aparece un lienzo de muro romano muy descarnado y blanqueado. El aparejo interior se trasluce con claridad haciendo perceptible las piedras que lo forman. Y es que ha sido reducido de volumen para crear un espacio que se necesitaba para poder pasar a las estructuras que se encuentran a continuación.

Foto 20. Calle Carmen Baja.

Calle Baja del Carmen. Es tan evidente la necesidad de reducir espacio cuando se encuentran los ocupantes con la cercanía de la muralla de Levante. Ligeramente se deja ver la muralla tras esa puerta moderna, donde queda al descubierto un trozo de muralla.

Foto 21. Calle Carmen Baja.

Calle Baja del Carmen. La parte derecha de la imagen muestra el aparejo de un moro romano algo degradado en su aspecto externo, cuyo aparejo se deja ver debido a que el enlucido moderno es débil y de baja calidad. Es un lienzo perteneciente al mismo muro visto en la foto 18T.

Foto 22. Calle Carmen Baja.

Calle Baja del Carmen. Esta foto de detalle muestra lo elevado que está el acceso a la vivienda moderna porque su muro de fachada es demasiado grueso para romperlo. La forma escalonada se ha hecho con material de derribo.

Foto 23. Calle Carmen Baja.

Calle Baja del Carmen. Este pequeño muro escalonado tiene la función de trabajar como contrafuerte. No es de acceso a nada, y está hecho aprovechando materiales superficiales de la estructura antigua romana.

ELEMENTOS INDUSTRIALES Y ALMACENES DEL

SECTOR U

Este sector está formado por tres elementos de la totalidad del conjunto: sistema de amurallamiento periférico-central, y sistemas de almacenaje o galerías abovedas. Su estado de conservación es malo, pero sí conserva los módulos esenciales que los integran: las medidas vienen siendo las mismas que en todo el conjunto. El terreno no daba para más y sus componentes se mantienen tanto en este sector como en los de Poniente.

Foto 1. Calle Carmen Baja.

Cuesta del Carmen. Aspecto parcial del murallón romano de Levante, situado debajo del primer subsector de U. Obsérvese la base vertical, de piedra gruesa, con sistema de opvs incertvm que se poya directamente sobre roca madre. Se encuentra sobre una base rocosa como en todas las estructuras. Es una de las murallas periféricas del complejo. Su trayectoria procede aquí de la zona de Cueva de siete Palacios y, desde este punto, se dirige hacia la muralla de Levante, en cuyo alzado Se ha descubierto hace poco la canalización del agua en dirección a las últimas dependencias romanas del complejo. En este tramo de muralla no se ha podido distinguir bien, debido al encalado, si los árabes reutilizaron la estructura romana en la parte superior de la misma, aunque el estado comprobado sobre el terreno no lo atestigua.

Foto 2. Calle Cuesta del Carmen.

Cuesta del Carmen. Vista casi total de la parte superior del murallón en este sector, donde se ve: sentido longitudinal de la muralla en un espacio de casi cien metros; en segundo lugar, se observa el alzado en posición inclinada con respecto a la base, con estructuras romanas y añadidos medievales y modernos; pero el basamento es romano, como ya se ha visto. Las viviendas modernas se apoyan sobre la muralla como punto de soporte que les da seguridad y estabilidad. Es una constante que se viene repitiendo en todos los niveles de la ciudad moderna: reutilización de los elementos más consistentes y resistentes que los romanos levantaron en este lugar.

Foto 3. Calle Cueva de Siete Palacios.

Calle Cueva de Siete Palacios. Vista superior del murallón, con intención de relacionarlo con su función arquitectónica, tanto hacia las estructuras de abajo, como a la calle Cueva de Siete Palacios. Aquí se observa lo que queda de la muralla en su parte más elevada. Su consistencia es resistente. No se ha desmoronado como ocurre con las murallas árabes que quedan en algunos espacios de la ciudad. La tierra prensada no resiste al tiempo y se degrada por los fuertes cambios estacionales o fenómenos atmosféricos y sísmicos. En la imagen ofrecida se ve la muralla en su parte superior justo en el centro de la foto en sentido vertical. Perspectiva más completa sobre la extensión que comprende el subsector sureste de este espacio. Se presenta esta imagen porque abarca tanto los restos de la muralla como los elementos modernos que se han añadido con el tiempo, de los que se sabe que han utilizado para levantar nuevas construcciones en toda la ciudad apoyándose en las estructuras previas de origen romano.

Foto 4. Calle Cueva de Siete Palacios.

Perspectiva de la calle Cueva de Siete Palacios que, como se puede observar en su parte derecha, está producida por una serie de cortes provocados en las secuencias que, en línea recta, se sitúan de forma casi rectangular sobre ella y conforman los sectores D y E. El momento ligeramente curvo es un fenómeno producido a lo largo de la apertura artificial de la propia calle y en razón de los intereses de aquellas personas que vieron la necesidad de hacerlo. A partir de este punto peraltado, el sector deja de identificarse, como parte probablemente integrante del sector L, o ámbito de la Cueva de Siete Palacios. A izquierda, según se baja, se encuentran dos calles transversales que van a reutilizar estancias en origen romanas, formadas por galería que han sido enrasadas o destruidas, como se verá.

Foto 5. Calle Cueva de Siete Palacios.

Calle Cueva de Siete Palacios. Vista tomada muy cerca del murallón. Se puede comprobar cómo esta calle ha sido creada dando cortes sin más cuidado que el de crear accesos a las nuevas viviendas. Esa es la razón para explicar la existencia de muros modernos que han sido levantados reutilizando los materiales de los respectivos derribos practicados con el paso de los años. En una de estas nuevas «calles» se verá alguna nave abovedada y muchos restos de ellas que han quedado como testigos de la existencia de una verdadera cadena en los diferentes niveles del casquete superior de la ciudad moderna.

Foto 6. Calle Cueva de Siete Palacios.

Calle Cueva de Siete Palacios. Aquí se nos muestra la calle tomada desde la parte sureste, es decir, desde el subsector que fue destruido para la edificación de las antedichas escuelas. Los puntos que se destacan se identifican como sigue: primer plano de acceso artificial al tercer pasillo interno del subsector; similar acceso, pero más simétrico que el anterior a izquierda; curva en perspectiva de la calle, pero vista desde el muro de las escuelas.

Foto 7. Calle Cueva de Siete Palacios.

Calle Cueva de Siete Palacios. Acceso artificial al tercer pasillo ciego. Hay dos pasos interiores más pequeños totalmente necesarios para poder ocupar las dependencias de la parte colindante con la Cueva. De esta forma se puede distinguir: paramento rectilíneo de opvs incertvm con revoque moderno; la altura de estos espacios es de una sola planta, porque tan sólo han usado las medidas de una galería tradicional, común a ambos lados de las estructuras del pasillo. En los muros laterales que dan al pasillo se observa con claridad que el aparejo en romano ya que se traslucen los elementos usados en la construcción.

Foto 8. Calle Cueva de Siete Palacios.

Calle Cueva de Siete Palacios. Detalle del paramento de la parte derecha, según se entra:  en la parte central se puede considerar la anchura de lo que pudo ser una nave destruida para poder ocupar las estancias que aquí se encontraban; se ha construido modernamente más de lo permitido a costa de acabar con las formas más antiguas, cosa que se verá a continuación. Puede observarse a derecha, en las jambas de una de las puertas modernas, el grosor de las mismas que se encuentra dentro del tradicional uso de las estructuras clásicas romanas: 60 cm.

Foto 9. Calle Cueva de Siete Palacios.

Calle Cueva de Siete Palacios. Detalle de la foto anterior para observar la anchura interior con indicación de la existencia de rebaje de terreno en el acceso a este espacio y comprobación del grosor del muro exterior de la serie, en toda la secuencia. 

Foto 10. Calle Cueva de Siete Palacios.

Calle Cueva de Siete Palacios. Detalle de la foto anterior para indicar la apertura de un nuevo paso mediante la rotura de paramento romano e indicación de los desniveles en el suelo para demostrar la existencia de relleno y el desnivel marcado por la pendiente natural del terreno.

Foto 11. Calle Cueva de Siete Palacios.

Calle Cueva de Siete Palacios. Tramo final del pasillo, en línea recta con el punto de salida, donde se ven los muros que marcan el cierre del mismo, a la vez que el uso de un espacio posterior a todas las puertas que se observan. Tras la puerta con rejas, se encuentra un murallón romano de aterrazamiento, que se continúa por los espacios antes estudiados hasta cerrar el pie de las antiguas escuelas. 

Foto 12. Calle Cueva de Siete Palacios.

Calle Cueva de Siete Palacios Segundo acceso interior dentro de este mismo subsector con paramento reutilizado para hacer habitaciones. El espacio que ocupan las habitaciones sucesivas sirven como base para considerar que eran los antiguos compartimentos que ocupaban las galerías romanas ocupadas y que se encuentran en línea con la serie que se inicia a la salida Este de la cueva de Siete Palacios. El espacio central de la imagen es justo el tamaño que vienen registrando las galerías localizadas en este nivel.

Foto 13. Calle Cueva de Siete Palacios.

Calle Cueva de Siete Palacios. Vista, en detalle, de la parte media de este mismo subsector. Paramento rectilíneo con los espacios internos ya citados. Muro de fondo remontado con edificación posterior encima. El nivel de altura es similar al de enfrente. Pasillo con las mismas dimensiones en cuanto a anchura.

Foto 14. Calle Cueva de Siete Palacios.

Calle Cueva de Siete Palacios. Detalle de fondo de la toma anterior. En ella se aprecia la anchura del pasillo y el muro de cierre superpuesto a otro de mayor potencia. Acceso a una de las naves (enrasadas), observándose sobre el suelo los restos de materiales romanos y el grosor normal de los paramentos de estas estancias.

Foto 15. Calle Cueva de Siete Palacios.

Calle Cueva de Siete Palacios. Vista, en detalle, de la parte media de este mismo subsector. Paramento rectilíneo con los espacios internos ya citados. Muro de fondo remontado con edificación posterior encima. El nivel de altura es similar al de enfrente. Pasillo con las mismas dimensiones en cuanto a anchura.

Foto 16. Calle Cueva de Siete Palacios.

Calle Cueva de Siete Palacios. Se inicia la descripción de los espacios que han sido originariamente usados como galerías, pero que las bóvedas han desaparecido en la adaptación moderna. Descripción de los interiores desde el fondo del segundo pasillo se observa muro romano que da a la calle artificial, muro romano de fondo, paralelo al de la calle y muro de fondo y separación de las estructuras romanas.

Foto 17. Calle Cueva de Siete Palacios.

Calle Cueva de Siete Palacios. Interior del siguiente espacio: paramentos que dejan entrever el opvs incertvm a derecha y al fondo. El suelo se encuentra con una ligera capa de cemento moderno sobre roca. 

Foto 18. Calle Cueva de Siete Palacios.

Calle Cueva de Siete Palacios. Estancia contigua a la anterior, mostrando las mismas características de muro romano vertical a el pasillo-calle, destacando la base que sobresale 0,80 m, aproximadamente y que forma la pared más resistente de la habitación, muro de fondo con revoque moderno y suelo con capa de cemento moderno y encalado en los extremos en el fondo. 

Foto 19. Calle Cueva de Siete Palacios.

Calle Cueva de Siete Palacios. Ángulo opuesto al anterior, en el que se puede diferenciar bien el muro romano de fondo y el muro, a derecha, con aparejo de opvs incertvm enmascarado por el uso de la cal, pero en el que se ven con claridad las piedras que sobresalen de la pared y que acusan, a la vez, el deterioro de la misma. 

Foto 20. Calle Cueva de Siete Palacios.

Calle Cueva de Siete Palacios. Compartimento contiguo al anterior, en el que se puede apreciar cubierta artificial. Se trata de un enrasamiento evidente, ya que lo que existe encima es otra nave enrasada, y a un nivel superior con respecto al suelo, cosa un tanto rara porque ese fenómeno se ha visto solo en el complejo de Cueva de Siete Palacios y en otros como calle San Joaquín. Otro indicio ofrece un bajante de aguas. El muro, a derecha de la imagen, muestra paramento romano con revoque moderno en el que se ven las piedras que hay tras él. Detrás de esta pared hay roca o materiales de relleno, al igual que en los muros contrafuertes que sujetan o descargan el peso de la estructura de la Cueva de Siete Palacios sobre la roca que tiene detrás. 

Foto 21. Calle Cueva de Siete Palacios.

Calle Cueva de Siete Palacios. Espacio de nave enrasada situada a derecha del pasillo ciego según se entra. Sus módulos y proporciones son los mismos que se ha comprobado en la serie de enfrente. Pared de fondo con revoque de argamasa moderna y cubierta enrasada. 

Foto 22. Calle Cueva de Siete Palacios.

Calle Cueva de Siete Palacios. Paramento de idénticas características al anterior y que se encuentra contiguo al mismo. Puede verse tanto los muros que lo conforman como la solería son modernas. Es la más retocada de todo este espacio.

Foto 23 Calle Cueva de Siete Palacios.

Calle Cueva de Siete Palacios. Parte final de la segunda transversal de la citada calle principal. En este reducto usado como trastero y corralito, es donde se aprecia con mayor evidencia los elementos constructivo romanos. La técnica usada es el opus latericium en todo su entorno. Se puede comprobar que el revestimiento moderno ha intentado enmascarar su verdadera identidad. En las restantes entradas ciegas de esta calle, esta misma técnica se puede comprobar si se quita la argamasa moderna. Los módulos de las galerías destruidas tienen como referencia las medidas que en la presente foto se pueden apreciar.

ELEMENTOS INDUSTRIALES Y ALMACENES DEL

SECTOR V

Foto 1. Calle Cueva de Siete Palacios.

Calle Real. Edificio con su estructura interna destruida, y donde se ha llevado a cabo una excavación de urgencia bastante completa en cuanto a ter reno a analizar.

Foto 2. Calle Derrumbadero.

Calle Derrumbadero. Zona posterior del mismo edificio, en donde se incluye otro subsector que también registró muros y gran cantidad de cerámica. Mas adelante se verán conducciones de cerámica romana que se reutilizarán en una moderna panadería. Muros medievales y modernos se han descubierto en el derribo de la estructura antigua de esta calle, que realmente se encuentra más en calle San José que en Derrumbadero.

Foto 3. Calle San José.

Calle Derrumbadero. Zona posterior del mismo edificio, en donde se incluye otro subsector que también registró muros y gran cantidad de cerámica. Mas adelante se verán conducciones de cerámica romana que se reutilizarán en una moderna panadería. Muros medievales y modernos se han descubierto en el derribo de la estructura antigua de esta calle, que realmente se encuentra más en calle San José que en Derrumbadero.

Foto 4. Calle San José.

Calle San José. En el interior de esta construcción, horno de pan, con motivo de innovación de vivienda han aparecido estructuras muradas que han aprovechado antiguas construcciones para abastecerse de agua necesaria para la industria de pan. Los agujeros que se observan en el muro de la derecha, son los entrantes de las tuberías romanas que desembocaban en una pequeña alberca o depósito de agua. Los elementos de cerámica se ven en parte del alzado de los muros maestros del horno de pan. Y por sus medidas se deduce que son del tipo que usaban los romanos en el alzado de las estructuras romanas.

Foto 5. Calle San José.

Calle San José. Detalle de la imagen anterior donde se muestran los agujeros en pared donde se encuentran las tuberías romanas a ras del enlucido.

Foto 6. Calle San José.

Calle San José. Detalle de otro de los huecos por donde circulaba el agua mediante tuberías de cerámica.

Foto 7. Calle San José.

Calle San José. Vistan frontal donde se encuentra una de las tuberías de cerámica romana. Es probable que esta conducción de agua tenga relación con el canal descubierto den la Huerta de Los Müller-Mateos, que procedía del interior de una de las dependencias del antiguo ayuntamiento de la ciudad. Había en la trayectoria hacia la huerta una deriva que se dirigía hacia la calle San José. Y esto puede ser su explicación.

Foto 8. Calle Baja del Mar.

Calle San José. Vista del interior de la tubería de cerámica romana que se encuentra empotrada en el muro del horno de pan. Es un sistema de tubería machihembrada de unos 30 cm de diámetros. Cuando se hizo la foto, aún había agua estancada del tiempo en que funcionaba la panadería moderna. Realmente el canal que se encontraba en el Ayuntamiento formaba parte de la red de distribución hacia la parte de Levante del complejo industrial de Sexs. Y éste, a su vez, recogía en agua, también entubada, del depósito terminal que se encontraba sobre el espacio que hoy ocupa la Iglesia Parroquial, y de esta forma van encajando todos los trozos de conducciones que van apareciendo bajo el suelo de la ciudad moderna superpuesta a la antigua Sexs.

Foto 9. Calle Real.

Calle Real. A unos 50 m de las imágenes anteriores en Plaza del Ayuntamiento. En el punto central de la calle Real, y más precisamente entre esta calle y la de San José: área de excavación de emergencia, donde se ha descubierto cierto número de estructuras, mezclas entre romano y medieval. Se ven dos grandes cortes con un muro testigo, de separación entre ellos, de un metro de grosor. En el primero han aparecido dos elementos: un arranque de muro en diagonal y, en el extremo del mismo, indicios de un posible pozo negro similar a los de la Plaza. En el segundo corte se puede contemplar cuatro cuadrículas, casi del todo diferentes entre sí: cada una tiene su propia peculiaridad. Pero los muros más relevantes tienen una composición resistente, siguiendo la tradición romana.

Foto 10. Calle Real.

Vista parcial del área de excavación, donde se pueden ver las cuatro cuadrículas, a las que se va a describir de forma individualizada y, a la vez, en conjunto. De izquierda a derecha se puede ver: muro romano superpuesto a otro más antiguo; probable pileta. Ciertamente no guardan relación los muros romanos con las formas superpuestas. Son el resultado del tiempo en que se produce esta mezcla de estructuras.

Foto 11. Calle Real.

Calle Real. Tercera cuadrícula situada junto a la primera: muro de escaso grosor (0,50 m), formando parte de una dependencia que, por ciertos indicios, ha sido una pileta de salazón o similar. Se puede observar la existencia de estuco como revestimiento; segundo murete componente de la misma pieza y con la misma función arquitectónica; suelo de probable pileta de salazón, con capa de pavimento, algo desgastada; elementos añadidos, con posterioridad, a los bordes de esta cuadrícula; revoque original que se extiende ampliando el espacio que debe tener tal elemento. El pavimento que se observa es del mismo material que se puede ver sobre el suelo interior de la cuadrícula, lo mismo que el indicado, y que se puede ver en la esquina superior izquierda de la misma pieza, sobre el murete. Las baldosas de cerámica, visibles aquí, son, sin duda, posteriores y de época árabe.

Foto 12. Calle Real.

Punto de la calle Real, en donde sufre una bifurcación para abrirse en un subsector, donde se halla un complejo de elementos romanos de cierta consideración. A derecha de la imagen existían grifos de agua pública. Esta parte del muro separador de calle, va a registrar una conducción de agua por medio de canalización y que se ha comprobado que es romana. El agua no va entubada, pero no lleva agua ahora, aunque podía haberse reutilizado para las introducir las tuberías modernas.

Foto 13. Calle Real.

Punto de bifurcación en calle Real. Inicio de las estructuras romanas más importantes, en cuanto a su conservación en este sector: indicación del espacio donde aparecieron formas de muros, cerámicas, cadáveres y un dolivm a izquierda de la imagen; indicación del punto donde se piensa empieza la secuencia de las naves de este sector, al fondo de la imagen a derecha. El fragmento de columna que divide la calle tiene aspecto de haberse usado como miliario. Hay otro en cuesta de la Iglesia. y restos de otros en diferentes esquinas de la ciudad utilizados como guarda-esquinas.

Foto 14. Calle Real.

En la imagen se ve, a izquierda, los grifos antes citados (s. XVI-II). Es uno de los puntos que registran el abastecimiento de agua para la población. Pero lo que aquí es de comentar es la aparición del canal romano para distribución de agua que se dirige hacia la zona baja de lo que fue parte de la factoría de salazones. Su estructura consta de los clásicos muretes laterales y cubierta con lajas de piedra. Y en cuanto a su procedencia es probable que proceda, como una derivación, de la canalización general procedente del punto distribuidor situado en el interior del antiguo ayuntamiento, punto del que se dirigía a la Huerta de los Müller-Mateos y desde donde, a su vez, se producía una deriva en dirección a calle Real, punto donde se ve la imagen presentada. Pero hay otra posibilidad, ya que en la misma calle Real, con motivo de remodelación de un establecimiento, justo detrás, aparecieron indicios de canal pero procedente de las cercanías de la estructura de la calle San Joaquín, donde la tradición cuenta que había una canalización que se dirigía hacia calle Real, y que era peligroso por su fuerte pendiente interior.

Foto 15. Calle Calle Real.

Detalle de la foto anterior donde se observa la estructura del canal y su cubierta. Faltó una exploración más completa sobre su trayectoria en ambos sentidos, tanto de origen como de destino.

Foto 16. Calle Baja del Mar.

Indicación de estructuras modernas, donde han aparecido indicios de componentes romanos: A derecha de la calle, cuando se practicaron las rebajas para una nueva construcción, en primer plano aparecieron numerosos cadáveres probablemente de época de la guerra napoleónica. Y en cuanto a elementos romanos, se vieron estructuras pertenecientes al sistema de almacenaje, restos de galerías rotas que estaría contiguas a las que se hundieron en una casa vecina al principio de la calle Alta del Mar. También apareció una vasija, tipo dolium, que posteriormente fue reutilizada como depósito de aguas residuales. Y desde este punto hasta la imagen 37V, se van a ver estructuras reutilizadas de forma continuada. A izquierda de la imagen, las casas que se ven muestran en su aparejo indicios de los materiales que fueron usados en su construcción. El aparejo está enmascarado con revestimientos modernos.

Plano de la parte baja en calle Baja del Mar.

Foto 17-V. Calle Baja del Mar.

En la casa que precede, en su interior se pudo ver el aparejo de su estructura y se comprobó el uso mezclado de opvs incertvm junto con ladrillos clásicos romanos, pero como casi siempre enmascarado con enlucido modernos, tal como se ve en la imagen presentada.

Foto 18. Calle Baja del Mar.

Detalle de la misma foto anterior donde se aprecia la técnica romana con su aparejo de opvs incertvm. A izquierda de la imagen se ve el grosor que presenta el muro de fondo.

Foto 19. Calle Baja del Mar.

Aspecto actual de la parte externa del lugar donde se encuentran las naves romanas. La estructura de la fachada ha sido fuertemente retocada, aunque en algunos de sus puntos se observa el grosor de los paramentos que se verán en las siguientes fotos.

Foto 20. Calle Baja del Mar-Cerrajeros.

Ampliación del espacio señalado en la toma anterior, para indicar el recorrido que va a experimentar la alineación de naves que hay dentro de tales estructuras. Los muros de la calle Cerrajeros tienen un aparejo muy similar a los que se van a ver con revoque en el interior de las naves. Pensamos que esta calle es artificial y que fue creada mediante una selección de formas romanas por parte del elemento árabe. Realmente se ignora el uso que le dieron los árabes. Se han examinado, tiempos atrás, las estructuras murales y distribución interna de las casas, al otro lado de la calle, y sus muros tenían los mismos componentes que aquí se ven. Todo este espacio ha sido totalmente modificado.

Foto 21. Calle Baja del Mar.

Desde el interior de la vivienda a que pertenecen o se encuentran la secuencia de naves romanas, se encuentra esta forma abovedada. En su estructura se ve el uso del ladrillo clásico romano, la forma arqueada del inicio de la entrada y el agujero central en la cubierta, tal como las demás bóvedas de las galerías romanas. Sus medidas son 3 x 3 x 4 m aproximadamente. La técnica constructiva es el opvs latericivm y el opus incertum.

Foto 22. Calle Baja del Mar-Cerrajeros.

Una vez situados en el interior de la casa, aproximadamente a tres metros de la línea de calle, justo en el espacio que hoy tiene el patio interior, según se entra, a izquierda, se puede ver la primera nave romana: sistema de bóveda construida, con la técnica del opvs latericivm y cuyos componentes son idénticos a los usados en el sector K; indicación de una agujero respiradero-entrada en el centro de la bóveda, componente usual en este tipo de estructuras; muro de cierre, retocado fuertemente en época árabe.

Foto 23. Calle Baja del Mar-Cerrajeros.

Paramento romano modificado abriendo en él una puerta de estilo árabe, arco califal. El arco no es una nueva construcción superpuesta a la pared del muro romano. Sus medidas son similares a las de la puerta de acceso moderno. El ladrillo usado no es el modelo romano sino el árabe, más delgado.

Foto 24. Calle Baja del Mar-Cerrajeros.

Detalle sobre la foto anterior, en el que se aprecia la existencia del arco de herradura en la entrada, llevado a cabo mediante la alteración del muro maestro de la nave romana y se observa que el ladrillo usado desde otro punto de vista es el romano y no el árabe. También la existencia de un tragaluz-respiradero. entrada romana, antigua abertura romana, en el centro de la bóveda: anchura del arco de herradura árabe; indicación del aparejo romano que forma la estructura general de todo este conjunto de naves encadenadas; abertura de la parte superior de la bóveda romana, convertida en lucernario, pero que, en origen, era el acceso a estas naves.

Foto 25. Calle Baja del Mar-Cerrajeros.

Detalle sobre la foto anterior para indicar la existencia de la nave tras la puerta con arco de herradura. En ella se observa el tragaluz en el centro del techo con forma de lucernario, bóveda romana rebajada, y paso hacia la siguiente nave.

Cuarto espacio ocupado por una de las naves que conforman este conjunto. Aquí, al igual que en la nave anterior, se puede observar la modificación llevada a cabo en la bóveda: se han empotrado sobre las esquinas de las bóvedas unos elementos arquitectónicos similares a pechinas, rellenándolos posteriormente de tal forma que la nave, que originariamente es de medio cañón, se ha convertido en casi hemisférica.

Foto 26. Calle Baja del Mar-Cerrajeros.

Se observan las bóvedas reformadas convertidas en casi rebajadas romanas. Y el paso de una nave a otro se hace rompiendo la estructura antigua romana.

Foto 37. Calle Baja del Mar-Cerrajeros.

Detalle sobre la foto anterior, para indicar: técnica con que se ha levantado el sistema de naves, usando la piedra como elemento fundamental; existencia del hormigón como elemento de revoque o enlucido; abertura romana para abrir paso entre los distinto compartimentos de este conjunto de naves abovedadas. Este agujero en la bóveda de la nave, ha sido transformado en lucernario central.

Foto 28. Calle Baja del Mar-Cerrajeros.

A partir del punto anterior (43V), hay una secuencia casi sin explorar, y que no ha sido reutilizada por el elemento árabe, como las anteriores sí lo fueron. Obsérvese cómo los muros, rotos para abrir paso, ya no muestran el uso del ladrillo, ni el perfil del corte dado sobre el paramento es homogéneo, sino roto indiscriminadamente, con el único motivo de comprobar, por curiosidad, hasta donde llega el sistema: muro romano roto, con revestimiento de época medieval; paramento de cierre de la pequeña nave existente entre 28-29V con indicación de la anchura del paso hacia otras naves. Pero, obsérvese cómo las naves se suceden a través de los espacios rotos recientemente, en el que se pueden ver alineados dos tramos más de naves romanas.

Foto 29. Calle Baja del Mar-Cerrajeros.

Rotura intencionada para poder acceder a las dependencias interiores del final supuesto de este conjunto de naves encadenadas: indicación de la dirección que siguen las estructuras; corte dado por los ocupantes medievales, creando lo que parece un muro de época, siendo un paso totalmente artificial.

Foto 30. Calle Baja del Mar-Cerrajeros.

Parte final del sistema de galerías romanas que muestra lo explorado hasta el momento. Aquí termina lo que se ha descubierto hasta ahora, pero que se continúa en dirección a calle Alta del Mar. El hecho es que, en las viviendas colindantes, cuando fueron modificadas por necesidad, aparecieron los restos de estructuras a nivel inferior por la variabilidad del terreno. Aquí sí se encuentra la roca madre.

Foto 31. Calle Alta del Mar.

La parte derecha de la imagen, a lo largo de la cuesta se encuentra una gran serie de galerías similares a las que se han descrito antes y que se encuentran en conexión con todo lo visto. Se ha podido comprobar, sobre todo en la parte superior de la cuesta, donde la última de las casas sufrió, años atrás, hundimiento de toda su base. Ello fue debido a las galerías que se encuentran debajo. Todas estas viviendas, tanto a un lado como a otro, se encuentran situadas sobre las estructuras primitivas romanas. Así que tuvieron que calzar toda la base con hormigón moderno.

Esto demuestra que la las estructuras romanas se encuentran casi todas en superficie o bajo tierra u que se han utilizado bien para formas nuevas casas o han sido destruidas. Lo más importante ha sido todo lo que los romanos dejaron al marcharse cuando el Imperio se desmoronó.

ELEMENTOS INDUSTRIALES Y ALMACENES DEL

SECTOR X

A pesar de su limitada extensión. este sector es uno de los más conflictivos a la hora del estudio del sistema de murallas defensivas del complejo. No sólo trata de establecer un sistema defensivo ante posibles invasiones, sino también de las acometidas de los temporales marítimos que podían asolarlo. A finales del siglo XVIII se pueden ver las técnicas que se tuvieron que aplicar para defenderse del mar con los fuertes temporales.

Foto 1. Grabado de la Puerta del Mar. Plaza de la Rosa.

Se refleja en él la puerta de acceso (arco) y a su lado una hornacina donde se encontraba una imagen de la Virgen del Rosario que se distinguí porque llevaba en su mano una rosa. De ahí nace en el nombre de la Plaza de la Rosa, por la flor que la Virgen llevaba en su mano.

Foto 2. Plaza de la Rosa.

En el centro de la imagen se encuentra el punto por donde se entraba desde la playa y por eso se llamaba Puerta del Mar. Hubo un tiempo en que ese paso no hace muchos años se podía ver parte de la construcción antigua de ese paso marino. Fue reutilizado como garaje hasta que se construyó el edificio que ahora se ve. Esa cancela tapa realmente el espacio por donde se extendía el trazado de la Puerta del Mar. Y justo a su lado se encontraba la muralla que protegía de los golpes de los temporales marinos.

Foto 3. Plaza de la Rosa.

El elemento que apareció a consecuencia de los rebajes para las nuevas construcciones, dio como resultado la aparición del conducto que formaba la Puerta del Mar. y que se puede observar con claridad. Es una construcción en forma de canal con cubierta rectangular que encaja con la imagen presentada en el grabado sobre la Puerta del Mar. La estructura no es romana y menos aún los materiales utilizados. Se consideran árabes. Pero que los sillares que se encuentran debajo del antiguo Cine Coliseo, sí son romanos. Lo que quiere decir que en época romana se protegían también de las tempestades del mar.

Foto 4. Plaza de la Rosa.

Imagen tomada del interior de una vivienda en la plaza. En ella se puede ver la muralla y con poca claridad los elementos que la componen. Este lienzo se extiende en sentido oeste pasando por el citado cine Coliseo, donde se ha detectado los sillares calizos de los cimientos de la muralla, imagen que se verá en el Sector Z. Pero aquí se observa una muralla que termina con la hilada de almenas y aspilleras como se va a ver, pero su adarve probablemente ha sido eliminado para ganar espacio modernamente. Se puede considerar que es una estructura árabe-moderna, pero con cimientos romanos, como se ha afirmado antes. La altura de la muralla, con almenas y adarve, alcanza aproximadamente los siete metros.

Foto 5. Plaza de la Rosa.

La muralla almenada vista desde un alto: contramuro adosado como elemento contrafuerte; almenas tipo medieval-moderno.

Foto 6. Paseo del Altillo en sus inicios.

Detalle para precisar mejor esta barrera de escombros y arena. El mar en época de temporales penetraba en casi toda la zona baja de la ciudad. Las edificaciones de la parte central de la imagen guardan en sus cimientos los restos de la antigua muralla romana, elementos que se mostrarán en el último capítulo de esta exposición. Al fondo derecha de la imagen se puede ver el espacio por donde se producía los desagües más recientes, cuando ya había algo de alcantarillado. Se encuentra en la zona llamada Puerta del Mar, ya de fecha relativamente reciente.

Foto 7. Encuentro de la zona Plaza de la Rosa con Baja del Mar.

Punto más bajo cota de toda la ciudad: lugar donde se han detectado elementos romanos en las cimentaciones abiertas para las nuevas casas y espacio donde existen restos romanos bajo tierra, a escasa profundidad; y dando a la calle Alta de Mar aparecieron gran cantidad de muros pertenecientes a una estructura industrial. Se hallaron algunas monedas, y materiales cerámicos.

Foto 8. Plaza de la Rosa-Aduana Vieja.

Espacio completo donde se han detectado restos señalados en la foto anterior destacando la indicación de la zona donde se han abierto los agujeros de las zapatas, en los que se han hecho patentes los muros de estructuras romanas; y lugar donde se encontraba la tercera parte, con arco de apoyo, de la Puerta del Mar. 

Foto 9. Plaza de la Roza-Aduana Vieja.

En esta zona existió un cine de espacio abierto. Aquí se vio, cuando hicieron las zapatas de la nueva construcción, un alfar romano, gran cantidad de cerámica romana y árabe y una verdadera cadena de tinajas de gran tamaño similares a los tipos conocidos como dolivm, de los que se conservan en casas particulares.

Foto 10. Plaza de la Roza-Aduana Vieja.

Operario excavando para extraer una de las vasijas grandes que aparecieron en casi todas las zapatas abiertas para montar los pilares de la nueva construcción. Fot. 8X. Plaza de la Rosa. Detalle de uno de los agujeros abiertos para la colocación de zapatas, y en cuyos laterales se han dejado ver los muros romanos.

Foto 11. Plaza de la Rosa-Aduana Vieja.

Recinto donde aparecieron restos romanos y árabes. Extracción de una tinaja. Restos de un horno de cerámica romano, tinajas tipo dolium, de fabricación árabe (3 piezas) y numerosos restos de material cerámico romano y árabe. La fecha aproximada de estos hallazgos tuvo lugar en los años 60s.

Foto 12. Calle Bilbao.

Espigón de puerto indicado en la foto anterior. No se pudo destruir y quedó bajo los cimientos de los bloques de casas.

Foto 13. Calle Bilbao.

Perspectiva del espigón, y observación de cómo se introduce bajo las estructuras de los bloques modernos, indicándose con ello que es mayor de lo que en este plano nos presenta.

ECTOR Y

Foto 1. Calle del Aire.

Detalle para destacar que los restos de base de la construcción romana que aquí existió debieron prolongarse hasta cerrar probablemente toda la calle del Aire que queda a espaldas de la Iglesia.

En este espacio, como se ha dicho antes, se encontraba el depósito terminal del acueducto romano de Sexs. Fue ya en el siglo XV cuando debió construirse la nueva iglesia parroquial. Fue derribado el depósito y en su lugar se construyó la actual iglesia. Los materiales de la demolición fueron reutilizados en el levantamiento de la misma. Hoy puede verse en el aparejo externo con toda claridad. Los árabes describieron bien la estructura de su alzado. Según sus cálculos, el depósito debió tener aproximadamente unos 25 m de altura. Como la cota base es de 25 m, la parte del depósito más elevada, podía alcanzar los 50 m. Y de esta forma se producía un equilibrio de presión hidrostática entre el depósito de la Santa Cruz, que se encontraba en la cota 50, y la cota 50 de la iglesia, a una distancia de un km aproximadamente, con lo que la presión del agua, que no pasaba de un 5%, no rompiera el equilibrio y no sufriera a consecuencia de la diferencia de niveles o presión hidrostática. La cota del depósito permitió distribuir el agua a todos los niveles desde esta altura. Para ello fue necesario la entubación de los canales que van a ir apareciendo en toda la periferia de la factoría emplazada en el área de la industria de salazones del complejo romano.

Foto 2. Calle del Aire.

Primer plano de la parte superior de esta secuencia de estructura romana: primer tramo de muro romano retocado y que ocupa la parte norte del alzado del depósito romano; y desde el punto más elevado: altura que ha debido ser eliminada en el rebaje producido para el levantamiento del alzado de la Iglesia. Se considera que esta altura ha debido alcanzar, por lo menos, a la vista del fuerte desnivel entre los puntos de arriba y el de abajo, aproximadamente los 7 m. E decir: aquí se ve que la iglesia utiliza como base la parte baja del aparejo del depósito y se observa que los materiales romanos están a la vista con el alzado de la iglesia justo encima. Los sillares que formaban parte de las esquinas del depósito, han sido reutilizados en toda la periferia, y al mismo nivel de altura sobre el actual suelo en el que se asienta.

Foto 3. Calle del Aire.

Restos de muro, que fue la base del depósito terminal del acueducto, sobre el que se asienta la estructura de la Iglesia Parroquial.

Foto 4 Calle del Aire.

Detalle sobre la parte superior de los cimientos romanos de la Iglesia, para remarcar la rotura que sobre el aparejo se ha practicado. Los sillares que la primera parte del alzado pertenecen a la antigua Torre de Descarga del acueducto romano, situada en este lugar de la ciudad. Los cimientos, de opvs incertvm, hoy están tapados y camuflados. El opvs quadratvm se ha utilizado en todo el alzado del depósito.

Foto 5.  Calle Parra.

Cimientos del oeste de la Iglesia. Detalle de las fotos anteriores para hacer ver el uso de la piedra toba en el perímetro del edificio y la base sobre la que se apoya. Obsérvese el segundo nivel de estos cimientos para comprobar que son sillares de piedra toba romanos reutilizados.

Foto 6. Calle Parra.

Cimientos del oeste de la Iglesia. Perspectiva donde se amplía la visión de conjunto de la vertiente de Poniente: indicación de hasta dónde llegan el opvs incertvm y el caementicivm; línea mínima de la base, de opvs caementicivm; observación de que en el alzado de la Iglesia el uso de la piedra toba alcanza los dos metros de altura en todo su perímetro. El muro-base ha sido retocado en parte y se ve cómo se monta el aparejo de la iglesia sobre el muro romano en la base.

Foto 7. Calle Fuente Nueva.

Atrio de la iglesia. Parte oeste. Cimientos romanos del atrio de la Iglesia. Detalle sobre la toma en el punto de cierre, donde apreciamos: altura, al exterior, que conserva la base romana; espacio abierto considerado artificial. Evidentemente el espacio del atrio era mayor de lo que se ve.

Foto 8. Calle Fuente Nueva.

Cimientos romanos del atrio de la Iglesia. Detalle sobre la toma precedente, para indicar cómo se ha roto la estructura romana con el fin de hacer comunicables todos los accesos planificados a propósito de la construcción de la nueva Iglesia Parroquial.

Foto 9. Calle Fuente Nueva.

Cimientos romanos del atrio de la Iglesia. Ampliación de detalle sobre la foto precedente para anotar la inexistencia de línea de aparejo externo, lo que lleva a corroborar que, cuanto se viene afirmando de que todo este espacio, constituía una plataforma de grandes proporciones destinada a montar sobre ella todo el sistema de abastecimiento hídrico, fuente de alimentación de todo el complejo industrial de Sexs.

Foto 10. Cuesta del Derrumbadero.

Esta imagen muestra, a izquierda, una fuerte pendiente provocada por la propia estructura rocosa del subsuelo, por donde ha debido pasar la muralla perimetral que se dirigía hacia el Callejón de Valdivia (Avenida de Madrid), separando lo que se conocía como Huerta de los Frailes, hasta empalmar con la muralla perimetral romana en la zona de Plaza de la Rosa. Se considera romana porque en las construcciones que se llevaron a cabo muy cerca de la Huerta de los Müller-Mateos, no se pudieron hacer zapatas en su cimentación, dada la dureza que presentaban. Hoy se encuentran esos muros soterrados sin tocarlos por la misma razón que el material de puerto aparecido en la calle Bilbao.

Foto 11. Cuesta del Derrumbadero.

Indicación del muro de contención perteneciente al depósito adicional que se encontraba junto a la Torre de descarga o Depósito Terminal situado en la zona donde se encuentra hoy la iglesia parroquial. Se extiende a lo largo de unos 50 m, aproximadamente. Su altura es imprevisible, dado el revestimiento moderno que ha sufrido. En la pared donde se ha localizado ese muro, se ha puesto al descubierto, de forma espontánea, el aparejo romano interior, que, a su vez, es la forma externa del muro romano, como se verá a continuación.

Foto 12. Cuesta del Derrumbadero.

Detalle de la imagen anterior para hacer resaltar el uso de la piedra y del cemento romano usados en la mampostería. Todo se encuentra enmascarado por el revestimiento moderno que se ha desprendido porque la argamasa moderna estaba formada por arena de playa con salitre, causa de su deterioro.

Foto 13. Cuesta del Derrumbadero.

Detalle de la imagen anterior para hacer resaltar el uso de la piedra y del cemento romano usados en la mampostería. Todo se encuentra enmascarado por el revestimiento moderno que se ha desprendido porque la argamasa moderna estaba formada por arena de playa con salitre, causa de su deterioro.

Foto 14. Avenida de Andalucía.

Detalle de la perspectiva anterior para precisar mejor los datos sobre medida y aparejo. Hacia la derecha de este muro, se han conservado hasta no hace muchos años, restos de muralla sobre roca madre, cuando aún no se había construido obra moderna sobre esta zona. También se conservaba un torreón, que ha quedado dentro de una vivienda en calle Derrumbadero. 

Foto 15. Tramo de la calle Cuesta del Derrumbadero, junto a la Huerta de los Müller, donde se indica una secuencia de casas relativamente modernas, que se apoyan en la estructura posterior, formada por los restos de la muralla de circunvalación.

Foto 16. Avenida de Andalucía.

Huerta de los Müller-Mateos. Aparejo romano, prolongación del visto en la foto anterior. En él se ve una abertura que pertenece a un canal de conducción de agua para la probable zona de piletas de salazones situada en este lugar. Lo extraño es el hecho de que su bocana aparezca cegada desde tiempos antiguos.

Nota. Se tiene información de su existencia por un señor que experimentó su existencia haciendo el recorrido de su trayectoria y que, partiendo desde una habitación del ayuntamiento, llegó a salir él y otros, por ese canal.

Foto 17. Avenida de Andalucía.

Huerta de los Müller-Mateos. Vista del canal de conducción de agua que, procedente de la zona y del antiguo Ayuntamiento, e Iglesia parroquial actual, desemboca en un ramal de la misma sobre esta huerta. Este canal pasaba por la antigua letrina del viejo ayuntamiento. Detalle sobre la foto anterior para hacer notar el aparejo de opvs signinvm de sus muretes laterales. Al fondo se observa el paso del canal que continúa a través del subsuelo de la calle Derrumbadero. El suelo del canal está completamente desgastado por la erosión. La cubierta está formada por lajas de piedra pizarrosa. Se puede observar que el fondo del canal tiene una derivación que discurre en sentido calle Real.

Foto 18. Avenida de Andalucía.

Huerta de los Müller-Mateos. Resto de una tubería doble, de cerámica romana, que formaría parte de la red de distribución de agua en esta zona. Apareció en a removida de terreno cuando se estaba rebajando para crear los cimientos. Su forma deja ver que era muy resistente para poder soportar fuerte presión.

Foto 19. Avenida de Andalucía.

Huerta de los Müller-Mateos. Capitel romano de estilo corintio. Sus medidas aproximadas son 75 x 40 cm. Se localizó en un garaje dentro de la nueva construcción, hecho que hace ver que formaba parte de una estructura arquitectónica de relevancia, como la existencia de un foro o templo romano. Sin duda que se ha perdido mucho material que formaba parte de esta supuesta estructura.

Foto 20. Calle Derrumbadero.

Huerta de los Müller-Mateos. Capitel romano de estilo corintio. Sus medidas aproximadas son 75 x 40 cm. Se localizó en un garaje dentro de la nueva construcción, hecho que hace ver que formaba parte de una estructura arquitectónica de relevancia, como la existencia de un foro o templo romano. Sin duda que se ha perdido mucho material que formaba parte de esta supuesta estructura.

Foto 21. Calle del Derrumbadero.

Calle artificial, ya que en este punto debía cerrarse, debido a la existencia de un murallón de circunvalación, que se verá a continuación: espacio de calle artificialmente abierto; indicación del punto (segunda puerta a derecha) por donde se entra en casa moderna que tiene en su interior un torreón de tierra prensada, similar al visto en el sector T. Dicho torreón da sobre el talud, de no mucha altura, sobre la actual carretera de circunvalación que forma hoy la Avenida de Madrid.

Foto 22. Puerta de Granada.

Espacio del antiguo recinto de la Puerta de Granada, de la sólo se podían apreciar vestigios en algunas viviendas sobre la empinada cuesta. Esta entrada podía tener cierta relación estratégica con la configuración del acceso, según se entra viniendo desde el barrio de San Sebastián, con su característica forma en zig-zag. Aquí se observa: pendiente con fuerte desnivel que debe ser superado por el sistema de arribada del canal del sifón procedente y a través del último tramo de puente del acueducto romano; espacio libre forzado por la necesidad de abrir paso hacia la ciudad medieval.

Nota. Los antiguos habitantes de la ciudad cuentan y se sabe por tradición oral, que este acceso se encontraba precedido por una vaguada de cierta profundidad. Se cree también que las aguas de río Seco llegaron a pasar por aquí, aunque se considera muy difícil por encontrarse con la estructura del acueducto romano. Y que río Seco pasaba por aquí no se duda, pero cuando se producían desbordamientos del mismo, lo cual ha provocado daños cada vez que se producía. Incluso recientemente se siguen repitiendo.

Foto 23-Y. Calle Angustias Vieja.

Aspecto de la misma sección de muralla, donde ya se ha levantado la Casa de la Cultura, con la eliminación de los restos de muralla que aquí se pueden apreciar. Debajo de este espacio aparecieron enterramientos romanos y medievales modernos.

Foto 24. Puerta de Granada.

Estado de la muralla tras la realización del rebaje practicado. Todo esto se encuentra bajo los cimientos de la Casa de la Cultura. Como la excavación se practicó se detenerse a ver con cuidado lo que estaba apareciendo, fue imposible determinar la procedencia y recorrido de estos muros, ni siquiera la forma de su aparejo. Su conexión con los elementos romanos y árabes es imposible de determinar. Se pude ver muro y algo de torreón.

Foto 25. Puerta de Granada.

Muralla medieval y estructura de hormigón romano. El sentido que se observa en su trazado le hace conectar con las estructuras conservadas en el tramo final de la Avenida de Cala. En esta imagen se ve una especie de opvs caementicivm, probablemente relacionado con el sistema de canalización del sifón del acueducto; línea de muralla; espacio donde la muralla experimenta un giro a izquierda, ligero, para continuar en dirección hacia el punto antes indicado.

Foto 26. Avenida de Cala.

La Parte derecha de la imagen muestra una secuencia de muros elevado que se han montado sobre la muralla perimetral del casco antiguo de la ciudad. El grosor llega a alcanzar un 1,2 m, aunque ha sido disminuido por los propietarios de las casas para ganar espacio. Es parte de la muralla árabe.

Foto 27.  Avenida de Cala y cruce con Carrera de la Concepción.

Espacios internos del punto 27Y,1, donde se puede comprobar la anchura de murallón, conservado en su totalidad y que alcanzaba 1,20 m de grosor. Hoy día está totalmente destruido. 

Foto 28. Avenida de Cala.

Lienzo de la muralla a izquierda con una longitud aproximada de 200 m. Es continuación del tramo visto en el lienzo de muralla dentro de un bar. El portón a izquierda muestra parte del grosor de la muralla que fue reducida por necesidad de espacio.

Foto 29. Avenida de Cala.

Tercer tramo del espacio ocupado por la muralla árabe. Sobre la esquina derecha existía un típico bar en el que se podía comprobar la anchura de la muralla porque se encontraba a la vista. A izquierda se practicó un rebaje de terreno para nueva edificación. Se pudo comprobar la existencia de limo con una profundidad de más de cinco metros de potencia. No se pudo averiguar más por falta de exploración profunda. Posiblemente se habría encontrado arna de playa, como ocurre en la zona de carretera de Málaga.

Foto 30. Avenida de Cala.

A izquierda de la imagen se encontraba la muralla perimetral que llegaba hasta la Puerta de Vélez. El aparejo de estas construcciones se encuentra montado sobre la ruina de la muralla. Debido a ello y por su altura, se hizo necesario hacer un acceso elevado, ya que hay desnivel entre Avenida de Cala y Calle Vélez. Al final de este tramo, con motivo de derribo de casas, han aparecido también muros romanos más propios de estructuras industriales que defensivos.

Foto 31. Avenida de Cala.

Imagen de detalle de uno de los accesos elevados de las casas de este tramo de calle. El desnivel llega a los dos metros del suelo y calle Vélez.

Foto 32. Cruce entre Avenida de Cala y Torres Quevedo).

Punto donde finaliza la expansión de la factoría del Majuelo: de frente: edificio del que se ha comprobado que sus cimientos tienen estructuras romanas debajo; y en primer plano: restos de muros romanos como punto final de la factoría del Majuelo, en su expansión hacia el Norte.

Foto 33. Cruce entre Avenida de Cala y Torres Quevedo.

Solar del antiguo cine Galiardo. Detalle de la foto anterior para observar su técnica de opvs incertvm y la dimensión del muro romano descubierto.

Foto 34. Callejón de la Najarra. (Avda. de Europa).

Situados en un área muy cercana a la llamada Puerta de Vélez, denominada Callejón de la Najarra, inicio y a la vez fin de la factoría de salazones del Majuelo: espacio donde se han podido detectar numerosas estructuras industriales pertenecientes a dicha factoría en sentido norte; a derecha ocurre otro tanto. Ahí se han encontrado muchos materiales que han hecho desaparecer por miedo a la prohibición por hallarse en terreno arqueológico.

RESUMEN PARA CONCLUSIONES REALES

En conclusión cabe afirmar que los elementos más relevantes de Sexs se pueden definir como los que determinan la consideración de zona eminentemente destinada a la fabricación de salazones y complementarios como el garum. En realidad se han estudiado todos los indicios que se encaminan a demostrar que la factoría era todo lo que se viene considerando núcleo urbano aunque no es una ciudad como tal. Y no se ciñe tan sólo a una zona como el Majuelo, sino que abarca la totalidad de las estructuras que se han venido usando durante los casi ocho siglos de fabricación. Se han localizado elementos industriales después de tanta reutilización medieval y moderna, en cotas que los estudiosos de pasada no han sabido interpretar o tenían una idea preconcebida de los que realmente era la localidad Sexs. Los intereses particulares y políticos han deformado el uso real que los romanos fundamentalmente desarrollaron en esta localidad. No son casualidades los hechos de que aparezcan piletas de salazones en todos los niveles y sistemas de almacenamientos dedicados proteger y guardar las materias que se elaboraban en donde se trabajaba la salazón. Por esta razón las piletas ha aparecido tanto en la cota 13 como en 35 o 48 en lo que hoy es casco urbano antiguo. Y haciendo recuento sobre este tema, los lugares donde se han visto y comprobado la existencia de salazones, podemos afirmar que se encuentran en las siguientes partes: el Majuelo, como la mas representativa, y considerando que su extensión no es la que hoy se puede ver, sino que la mayor parte de las piletas de salazones localizadas en esta área se encuentra bajo tierra y en mayor número de las que se podrían ver. En segundo lugar se encuentra toda la zona de Poniente abarcando las calles Morería Alta, Clavelicos y Morería Baja. En tercer lugar son relativamente recientes las piletas localizadas en Carmen Baja. En cuarto lugar Transversal de la calle San Joaquín. Pero hay una zona donde no se ha podido explorar debido a la rapidez de las nuevas construcciones, como es la Avenida de Madrid, y principalmente el terreno conocido como la Huerta de los Müller, donde la aparición de materiales y estructuras son bien evidentes, En Plaza de la Rosa también se han localizado estructuras industriales.

En cuanto a las estructuras de almacenaje se puede afirmar que han aparecido en todos los niveles también. Abarca desde Eras del Castillo hasta la calle Baja del Mar. De esta última parte, poca gente tiene información. Y en cuanto a los edificios públicos. claramente se puede hablar del Foro del Majuelo, donde los elementos que quedan son claramente evidentes, a pesar del abandono y falta de protección. También se tiene información real de la probable existencia de un foro en la citada Huerta, de la que se tienen datos que muestran su realidad.

Y, por último, el sistema vital de todo emporio industrial de salazón: el agua. Hay un acueducto que recoge el agua en las cercanías de Otívar y llega hasta el punto más idóneo de control de agua en la zona industrial. Ese punto se encuentra en el lugar donde hoy se levanta la Iglesia Parroquial. En sus cimientos se encuentran los elementos que lo prueban. La citada iglesia no tiene cimientos propios, sino que está montada sobre los muros que formaron la base del depósito terminal del acueducto construido ahí por los romanos. Y desde este punto, por medio da canalizaciones y sistema de vasos comunicantes, se distribuía por todo el recinto industrial, llegando a todas las cotas del casco urbano antiguo y Peñón del Santo.